
Zoetsmeerweg 6 is een adres in Haps, dat zich bevindt binnen de gemeentegrenzen van Haps en de grenzen van de provincie Noord-Brabant. Het object heeft een oppervlakte van 182 m², wat relatief groot is. Het perceel waarop het adres ligt is 2055 m² groot. Het object is klein ten opzichte van de andere adressen in de straat. Het grootste verblijfsobject is 4680 m² groot en het kleinste is 7 m². In Nederland komt het grootste deel van de gebouwen uit de periode 1965-1984. Ook het bouwjaar van Zoetsmeerweg 6 is afkomstig uit die periode: het betreft namelijk een pand uit 1975. Vergeleken met de andere panden in de straat is dit gebouw nieuw. Het vroegste bouwjaar is er 1910 en het laatste is 2016. Voor het verblijfsobject gelden deze gebruiksdoelen: 'woonfunctie' en 'logiesfunctie'.
Deze woning is voor het laatst verkocht op 1 mei 2025. Meer informatie over deze transactie? Bestel het Woningtransactierapport om de verkoopprijs en andere informatie te zien.
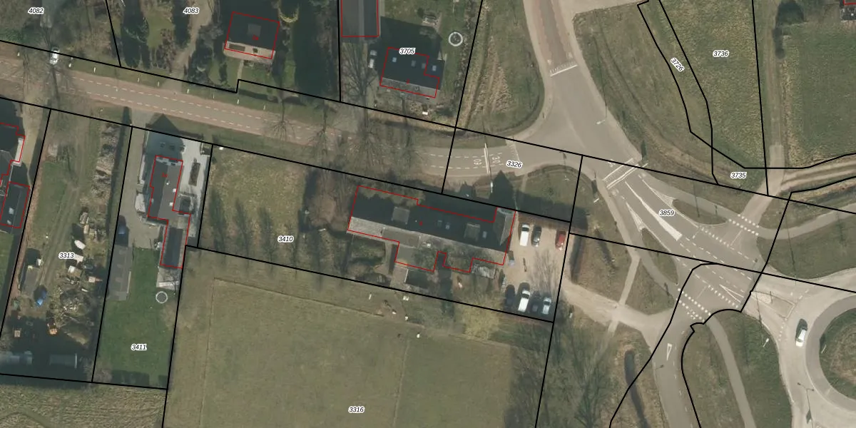
Het perceel waarop het adres ligt is CUI00-L-3410. De afkorting 'CUI00' staat voor kadastrale gemeente Cuijk. De gemiddelde perceelgrootte in Cuijk is 3857,81 m². Dit perceel is kleiner: de perceeloppervlakte bedraagt 2055 m². Het grootste perceel in de kadastrale gemeente is 72,5 ha. Het kleinste perceel heeft een oppervlakte van 0 m². Dit is het enige adres dat aanwezig is op het perceel. De huidige grenzen van het perceel zijn digitaal in de Basisregistratie Kadaster (BRK) geregistreerd op 29-06-2005.
Bij de laatste meting is voor het adres het energielabel B geregistreerd. Het hoogste energielabel in de straat is A++; het laagste is G. Het gemiddelde energielabel is er B. Het adres Zoetsmeerweg 6 heeft als status: 'verblijfsobject in gebruik'. Het pand waarin dit adres ligt heeft als status: 'pand in gebruik'.
Zoetsmeerweg 6 is een adres gelegen in de gemeente Land van Cuijk, provincie Noord-Brabant. Dit adres is geregistreerd in de Basisregistratie Adressen en Gebouwen (BAG) met als unieke identificatie 1684010000011553.
Het pand op Zoetsmeerweg 6 is gebouwd in 1975, wat betekent dat het 51 jaar oud is. Dit is een ouder pand. Het pand heeft mogelijk aanzienlijke renovaties nodig om aan de huidige standaarden te voldoen.
De woning op Zoetsmeerweg 6 heeft een gebruiksoppervlakte van 182 m². Dit is ruim vergeleken met de gemiddelde Nederlandse woning, die een oppervlakte heeft van ongeveer 119 m². De gebruiksoppervlakte is de maat die wordt gebruikt in de BAG-registratie, de landelijke registratie van de Nederlandse overheid.
Zoetsmeerweg 6 heeft als functie: wonen en logies/verblijf. Deze gebruiksfunctie(s) zijn vastgelegd in de BAG-registratie en geven aan waarvoor het adres officieel mag worden gebruikt.
Zoetsmeerweg 6 is gelegen op kadastraal perceel CUI00L3410. Deze kadastrale aanduiding is uniek en wordt gebruikt door het Kadaster om eigendomsrechten en andere zakelijke rechten vast te leggen. Het perceel maakt onderdeel uit van de kadastrale gemeente Cuijk.
Het perceel waarop Zoetsmeerweg 6 staat heeft een oppervlakte van 2055 m². Dit is een zeer groot perceel. De perceeloppervlakte wordt geregistreerd door het Kadaster. Gedetailleerde informatie over de maten van dit perceel kunt u vinden in het rapport Kadastrale kaart met maatvoering van Zoetsmeerweg 6.
De eigenaar van Zoetsmeerweg 6 is op te vragen op deze pagina.
De informatie over dit adres is afkomstig uit officiële overheidsregistraties, voornamelijk de Basisregistratie Adressen en Gebouwen (BAG) en de Basisregistratie Kadaster (BRK). Deze gegevens worden beheerd door respectievelijk gemeenten en het Kadaster, en worden regelmatig bijgewerkt. Energielabelgegevens komen uit de database van de Rijksdienst voor Ondernemend Nederland (RVO).
