
Goeman Borgesiuslaan 263 is gelegen in de plaats Harderwijk, de gemeente Harderwijk en de provincie Gelderland. Het perceel waarop het adres gelegen is heeft een oppervlakte van 1475 m². Het verblijfsobject is met 82 m² relatief klein. Het object is klein ten opzichte van de andere adressen in de straat. Het grootste verblijfsobject is 134 m² groot en het kleinste is 9 m². In Nederland komt het grootste deel van de gebouwen uit de periode 1965-1984. Ook het bouwjaar van Goeman Borgesiuslaan 263 is afkomstig uit die periode: het betreft namelijk een pand uit 1971. Vergeleken met de andere panden in de straat is dit gebouw nieuw. Het vroegste bouwjaar is er 1958 en het laatste is 1972. Voor het verblijfsobject gelden deze gebruiksdoelen: 'woonfunctie'.
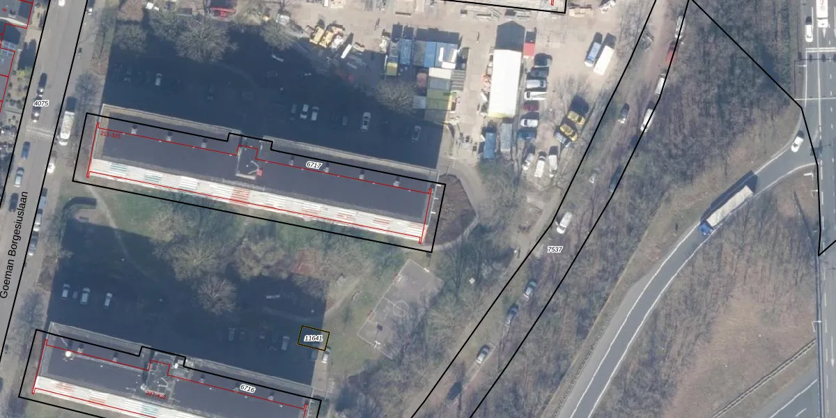
Het perceel waarop het adres ligt is HDW00-D-6717. De afkorting 'HDW00' staat voor kadastrale gemeente Harderwijk. De gemiddelde perceelgrootte in Harderwijk is 2356,71 m². Dit perceel is kleiner: de perceeloppervlakte bedraagt 1475 m². Het grootste perceel in de kadastrale gemeente is 1,96 km². Het kleinste perceel heeft een oppervlakte van 0 m². Er zijn 64 adressen aanwezig op het perceel. De laatste wijziging in het de Basisregistratie Kadaster (BRK) was op 20-08-2009.
Het adres ligt in een gebouw van het type 'appartement met het subtype hoekmidden'. Bij de laatste meting is voor het adres het energielabel A geregistreerd. Het hoogste energielabel in de straat is A+; het laagste is G. Het gemiddelde energielabel is er A. Het adres Goeman Borgesiuslaan 263 heeft als status: 'verblijfsobject in gebruik'. Het pand waarin dit adres ligt heeft als status: 'pand in gebruik'.
Goeman Borgesiuslaan 263 is een adres gelegen in de gemeente Harderwijk, provincie Gelderland. Dit adres is geregistreerd in de Basisregistratie Adressen en Gebouwen (BAG) met als unieke identificatie 0243010001341282.
Het pand op Goeman Borgesiuslaan 263 is gebouwd in 1971, wat betekent dat het 55 jaar oud is. Dit is een ouder pand. Het pand heeft mogelijk aanzienlijke renovaties nodig om aan de huidige standaarden te voldoen.
De woning op Goeman Borgesiuslaan 263 heeft een gebruiksoppervlakte van 82 m². Dit is onder het gemiddelde vergeleken met de gemiddelde Nederlandse woning, die een oppervlakte heeft van ongeveer 119 m². De gebruiksoppervlakte is de maat die wordt gebruikt in de BAG-registratie, de landelijke registratie van de Nederlandse overheid.
Goeman Borgesiuslaan 263 heeft als functie: wonen. Deze gebruiksfunctie(s) zijn vastgelegd in de BAG-registratie en geven aan waarvoor het adres officieel mag worden gebruikt.
Goeman Borgesiuslaan 263 is gelegen op kadastraal perceel HDW00D6717. Deze kadastrale aanduiding is uniek en wordt gebruikt door het Kadaster om eigendomsrechten en andere zakelijke rechten vast te leggen. Het perceel maakt onderdeel uit van de kadastrale gemeente Harderwijk.
Het perceel waarop Goeman Borgesiuslaan 263 staat heeft een oppervlakte van 1475 m². Dit is een zeer groot perceel. De perceeloppervlakte wordt geregistreerd door het Kadaster. Gedetailleerde informatie over de maten van dit perceel kunt u vinden in het rapport Kadastrale kaart met maatvoering van Goeman Borgesiuslaan 263.
De eigenaar van Goeman Borgesiuslaan 263 is op te vragen op deze pagina.
De informatie over dit adres is afkomstig uit officiële overheidsregistraties, voornamelijk de Basisregistratie Adressen en Gebouwen (BAG) en de Basisregistratie Kadaster (BRK). Deze gegevens worden beheerd door respectievelijk gemeenten en het Kadaster, en worden regelmatig bijgewerkt. Energielabelgegevens komen uit de database van de Rijksdienst voor Ondernemend Nederland (RVO).
