
Het adres Leidsestraatweg 22 bevindt zich in de plaats Harmelen, in de gemeente Harmelen en de provincie Utrecht. Het verblijfsobject is 146 m² groot en bevindt zich op een perceel met een oppervlakte van 1450 m². Gemiddeld hebben adressen in Nederland een oppervlakte van 119 m². De oppervlakte van het adres is klein vergeleken met de andere objecten in de straat. De oppervlakte van het kleinste object in de straat bedraagt 41 m², terwijl het grootste object 1630 m² groot is. De meeste Nederlandse gebouwen zijn gebouwd in de periode 1965-1984. Zo ook het pand waarin Leidsestraatweg 22 ligt, dat gebouwd is in 1970. Vergeleken met de andere panden in de straat is dit gebouw nieuw. Het vroegste bouwjaar is er 1920 en het laatste is 2008. De volgende gebruiksdoelen zijn geregistreerd voor dit adres: 'woonfunctie'.
Deze woning is voor het laatst verkocht op 1 oktober 2015. Meer informatie over deze transactie? Bestel het Woningtransactierapport om de verkoopprijs en andere informatie te zien.
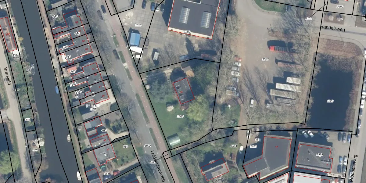
Het adres is gelegen op perceel 1808 in de sectie L en de kadastrale gemeente Harmelen. De kadastrale aanduiding is aldus HML01-L-1808. Het perceel is 1450 m² groot. Dat is kleiner dan de gemiddelde perceeloppervlakte in Harmelen, dat op 4215,79 m² ligt. De grootste perceeloppervlakte in de kadastrale gemeente is 25,5 ha. De kleinste oppervlakte bedraagt 0 m². Dit is het enige adres dat aanwezig is op het perceel. In de Basisregistratie Kadaster (BRK) werden de grenzen van het perceel geregistreerd op 25-08-2005.
Het adres ligt in een gebouw van het type 'vrijstaande woning'. Bij de laatste meting is voor het adres het energielabel B geregistreerd. Het hoogste energielabel in de straat is A+++++; het laagste is G. Het gemiddelde energielabel is er C. Het adres Leidsestraatweg 22 heeft als status: 'verblijfsobject in gebruik'. Het pand waarin dit adres ligt heeft als status: 'pand in gebruik'.
Leidsestraatweg 22 is een adres gelegen in de gemeente Woerden, provincie Utrecht. Dit adres is geregistreerd in de Basisregistratie Adressen en Gebouwen (BAG) met als unieke identificatie 0632010000051704.
Het pand op Leidsestraatweg 22 is gebouwd in 1970, wat betekent dat het 56 jaar oud is. Dit is een ouder pand. Het pand heeft mogelijk aanzienlijke renovaties nodig om aan de huidige standaarden te voldoen.
De woning op Leidsestraatweg 22 heeft een gebruiksoppervlakte van 146 m². Dit is gemiddeld vergeleken met de gemiddelde Nederlandse woning, die een oppervlakte heeft van ongeveer 119 m². De gebruiksoppervlakte is de maat die wordt gebruikt in de BAG-registratie, de landelijke registratie van de Nederlandse overheid.
Leidsestraatweg 22 heeft als functie: wonen. Deze gebruiksfunctie(s) zijn vastgelegd in de BAG-registratie en geven aan waarvoor het adres officieel mag worden gebruikt.
Leidsestraatweg 22 is gelegen op kadastraal perceel HML01L1808. Deze kadastrale aanduiding is uniek en wordt gebruikt door het Kadaster om eigendomsrechten en andere zakelijke rechten vast te leggen. Het perceel maakt onderdeel uit van de kadastrale gemeente Harmelen.
Het perceel waarop Leidsestraatweg 22 staat heeft een oppervlakte van 1450 m². Dit is een zeer groot perceel. De perceeloppervlakte wordt geregistreerd door het Kadaster. Gedetailleerde informatie over de maten van dit perceel kunt u vinden in het rapport Kadastrale kaart met maatvoering van Leidsestraatweg 22.
De eigenaar van Leidsestraatweg 22 is op te vragen op deze pagina.
De informatie over dit adres is afkomstig uit officiële overheidsregistraties, voornamelijk de Basisregistratie Adressen en Gebouwen (BAG) en de Basisregistratie Kadaster (BRK). Deze gegevens worden beheerd door respectievelijk gemeenten en het Kadaster, en worden regelmatig bijgewerkt. Energielabelgegevens komen uit de database van de Rijksdienst voor Ondernemend Nederland (RVO).
