
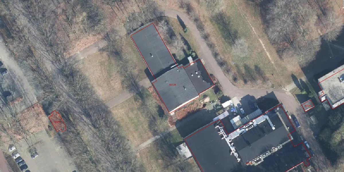
Otterloseweg 5-D-128 is gelegen in de plaats Harskamp, de gemeente Ede en de provincie Gelderland. De oppervlakte van het verblijfsobject is met 953 m² aan de grote kant. Het perceel heeft een oppervlakte van 55,4 ha. In vergelijking met de andere adressen in de straat is de oppervlakte van dit object relatief groot. Het grootste verblijfsobject heeft een oppervlakte van 4113 m², de oppervlakte van het kleinste object bedraagt 3 m². Otterloseweg 5-D-128 bevindt zich in een pand uit het jaar 1953. Daarmee behoort het tot de groep relatief oude panden in Nederland die gebouwd zijn vóór 1965. Het nieuwste gebouw in de straat komt uit 2008 en het oudste uit 1898. Dit object is relatief oud. Het verblijfsobject heeft de volgende gebruiksdoelen: 'onderwijsfunctie'.
Het perceel waarop het adres ligt is OTL02-A-1833. De afkorting 'OTL02' staat voor kadastrale gemeente Otterlo. De gemiddelde perceeloppervlakte in de kadastrale gemeente Otterlo is 2,7 ha. Dit perceel is met zijn 55,4 ha dus groter dan gemiddeld. Het grootste perceel in de kadastrale gemeente is 11,55 km². Het kleinste perceel heeft een oppervlakte van 0 m². Op het perceel liggen in totaal 54 adressen. De laatste wijziging in het de Basisregistratie Kadaster (BRK) was op 24-08-2023.
Er is geen energielabel geregistreerd voor het adres. Het hoogste energielabel in de straat is A++; het laagste is G. Het gemiddelde energielabel is er D. Het adres Otterloseweg 5-D-128 heeft als status: 'verblijfsobject in gebruik'. Het pand waarin dit adres ligt heeft als status: 'pand in gebruik'.
Otterloseweg 5-D-128 is een adres gelegen in de gemeente Ede, provincie Gelderland. Dit adres is geregistreerd in de Basisregistratie Adressen en Gebouwen (BAG) met als unieke identificatie 0228010000043969.
Het pand op Otterloseweg 5-D-128 is gebouwd in 1953, wat betekent dat het 73 jaar oud is. Dit is een ouder pand. Het pand heeft mogelijk aanzienlijke renovaties nodig om aan de huidige standaarden te voldoen.
De woning op Otterloseweg 5-D-128 heeft een gebruiksoppervlakte van 953 m². Dit is ruim vergeleken met de gemiddelde Nederlandse woning, die een oppervlakte heeft van ongeveer 119 m². De gebruiksoppervlakte is de maat die wordt gebruikt in de BAG-registratie, de landelijke registratie van de Nederlandse overheid.
Otterloseweg 5-D-128 heeft als functie: onderwijs. Deze gebruiksfunctie(s) zijn vastgelegd in de BAG-registratie en geven aan waarvoor het adres officieel mag worden gebruikt.
Otterloseweg 5-D-128 is gelegen op kadastraal perceel OTL02A1833. Deze kadastrale aanduiding is uniek en wordt gebruikt door het Kadaster om eigendomsrechten en andere zakelijke rechten vast te leggen. Het perceel maakt onderdeel uit van de kadastrale gemeente Otterlo.
Het perceel waarop Otterloseweg 5-D-128 staat heeft een oppervlakte van 55,4 ha. Dit is een zeer groot perceel. De perceeloppervlakte wordt geregistreerd door het Kadaster. Gedetailleerde informatie over de maten van dit perceel kunt u vinden in het rapport Kadastrale kaart met maatvoering van Otterloseweg 5-D-128.
De eigenaar van Otterloseweg 5-D-128 is op te vragen op deze pagina.
De informatie over dit adres is afkomstig uit officiële overheidsregistraties, voornamelijk de Basisregistratie Adressen en Gebouwen (BAG) en de Basisregistratie Kadaster (BRK). Deze gegevens worden beheerd door respectievelijk gemeenten en het Kadaster, en worden regelmatig bijgewerkt. Energielabelgegevens komen uit de database van de Rijksdienst voor Ondernemend Nederland (RVO).
