
Het adres Palmenhuizerweg 1-R-BV21 bevindt zich in de plaats Harskamp, in de gemeente Harskamp en de provincie Gelderland. Het verblijfsobject is vergeleken met het Nederlandse gemiddelde aan de kleine kant: de oppervlakte is 40 m². Het perceel waarop het adres zich bevindt heeft een oppervlakte van 1,1 ha. In de straat is dit het kleinste object. Het grootste verblijfsobject heeft een oppervlakte van 175 m². De gemiddelde grootte is er 41 m². In het jaar 2025 is het pand waarin Palmenhuizerweg 1-R-BV21 ligt gebouwd. Dat is relatief recent: de meeste gebouwen in Nederland zijn gebouwd in de periode 1965-1984. Dit pand is het meest recent exemplaar in de straat. Het oudste object komt er uit 1980 en het gemiddelde bouwjaar is 2010. De volgende gebruiksdoelen zijn geregistreerd voor dit adres: 'logiesfunctie'.
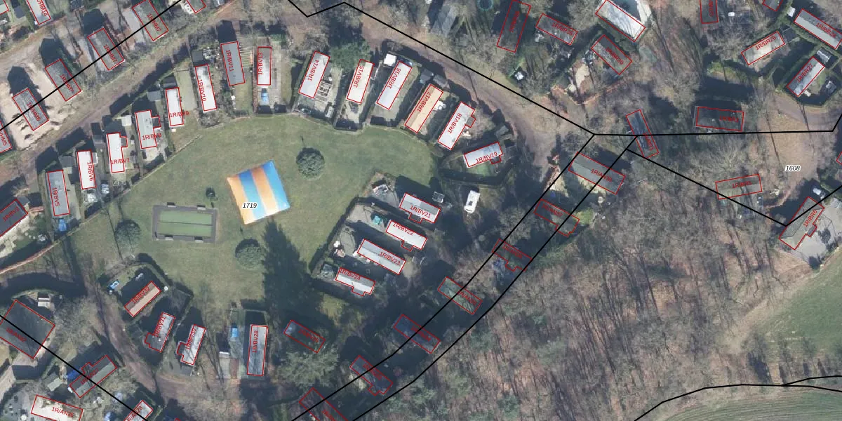
Het perceel waarop het adres ligt is OTL02-A-1719. De afkorting 'OTL02' staat voor kadastrale gemeente Otterlo. Het perceel is 1,1 ha groot. Dat is kleiner dan de gemiddelde perceeloppervlakte in Otterlo, dat op 2,7 ha ligt. De grootste perceeloppervlakte in de kadastrale gemeente is 11,55 km². De kleinste oppervlakte bedraagt 0 m². Op het perceel liggen in totaal 27 adressen. In de Basisregistratie Kadaster (BRK) werden de grenzen van het perceel geregistreerd op 28-01-2003.
Er is geen energielabel geregistreerd voor het adres. Het hoogste energielabel in de straat is G; het laagste is G. Het gemiddelde energielabel is er G. Het adres Palmenhuizerweg 1-R-BV21 heeft als status: 'verblijfsobject in gebruik'. Het pand waarin dit adres ligt heeft als status: 'pand in gebruik'.
Palmenhuizerweg 1-R-BV21 is een adres gelegen in de gemeente Ede, provincie Gelderland. Dit adres is geregistreerd in de Basisregistratie Adressen en Gebouwen (BAG) met als unieke identificatie 0228010000072035.
Het pand op Palmenhuizerweg 1-R-BV21 is gebouwd in 2025, wat betekent dat het 1 jaar oud is. Dit is een vrij nieuw pand. Het pand is dus waarschijnlijk goed geïsoleerd, geluidsdicht en voldoet aan de huidige bouwstandaarden. Op korte termijn zijn er waarschijnlijk weinig onderhoudskosten.
De woning op Palmenhuizerweg 1-R-BV21 heeft een gebruiksoppervlakte van 40 m². Dit is relatief klein vergeleken met de gemiddelde Nederlandse woning, die een oppervlakte heeft van ongeveer 119 m². De gebruiksoppervlakte is de maat die wordt gebruikt in de BAG-registratie, de landelijke registratie van de Nederlandse overheid.
Palmenhuizerweg 1-R-BV21 heeft als functie: logies/verblijf. Deze gebruiksfunctie(s) zijn vastgelegd in de BAG-registratie en geven aan waarvoor het adres officieel mag worden gebruikt.
Palmenhuizerweg 1-R-BV21 is gelegen op kadastraal perceel OTL02A1719. Deze kadastrale aanduiding is uniek en wordt gebruikt door het Kadaster om eigendomsrechten en andere zakelijke rechten vast te leggen. Het perceel maakt onderdeel uit van de kadastrale gemeente Otterlo.
Het perceel waarop Palmenhuizerweg 1-R-BV21 staat heeft een oppervlakte van 1,1 ha. Dit is een zeer groot perceel. De perceeloppervlakte wordt geregistreerd door het Kadaster. Gedetailleerde informatie over de maten van dit perceel kunt u vinden in het rapport Kadastrale kaart met maatvoering van Palmenhuizerweg 1-R-BV21.
De eigenaar van Palmenhuizerweg 1-R-BV21 is op te vragen op deze pagina.
De informatie over dit adres is afkomstig uit officiële overheidsregistraties, voornamelijk de Basisregistratie Adressen en Gebouwen (BAG) en de Basisregistratie Kadaster (BRK). Deze gegevens worden beheerd door respectievelijk gemeenten en het Kadaster, en worden regelmatig bijgewerkt. Energielabelgegevens komen uit de database van de Rijksdienst voor Ondernemend Nederland (RVO).
