
Palmenhuizerweg 1-R-WE9 is een adres in Harskamp, dat zich bevindt binnen de gemeentegrenzen van Harskamp en de grenzen van de provincie Gelderland. Het verblijfsobject is vergeleken met het Nederlandse gemiddelde aan de kleine kant: de oppervlakte is 40 m². Het perceel waarop het adres zich bevindt heeft een oppervlakte van 6,2 ha. In de straat is dit het kleinste object. Het grootste verblijfsobject heeft een oppervlakte van 175 m². De gemiddelde grootte is er 41 m². Palmenhuizerweg 1-R-WE9 ligt in een gebouw uit het jaar 2000. Daarmee behoort het tot de groep panden van na 1984, die we als relatief nieuw bestempelen. Het nieuwste gebouw in de straat komt uit 2025 en het oudste uit 1980. Dit object is relatief oud. De volgende gebruiksdoelen zijn geregistreerd voor dit adres: 'logiesfunctie'.
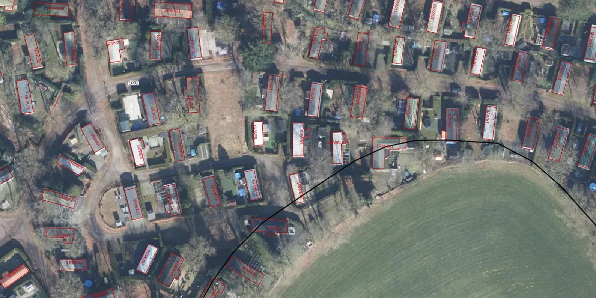
Het perceel waarop het adres ligt is OTL02-A-1092. De afkorting 'OTL02' staat voor kadastrale gemeente Otterlo. De oppervlakte van het perceel is 6,2 ha. Dat is groter dan gemiddeld in Otterlo, waar de gemiddelde perceeloppervlakte op 2,7 ha ligt. Het grootste perceel in de kadastrale gemeente is 11,55 km². Het kleinste perceel heeft een oppervlakte van 0 m². Op het perceel liggen in totaal 166 adressen. De huidige grenzen van het perceel zijn digitaal in de Basisregistratie Kadaster (BRK) geregistreerd op 25-02-2016.
Er is geen energielabel geregistreerd voor het adres. Het hoogste energielabel in de straat is G; het laagste is G. Het gemiddelde energielabel is er G. Het adres Palmenhuizerweg 1-R-WE9 heeft als status: 'verblijfsobject in gebruik'. Het pand waarin dit adres ligt heeft als status: 'pand in gebruik'.
Palmenhuizerweg 1-R-WE9 is een adres gelegen in de gemeente Ede, provincie Gelderland. Dit adres is geregistreerd in de Basisregistratie Adressen en Gebouwen (BAG) met als unieke identificatie 0228010000072154.
Het pand op Palmenhuizerweg 1-R-WE9 is gebouwd in 2000, wat betekent dat het 26 jaar oud is. Dit is een pand van middelbare leeftijd. Het pand is van gemiddelde leeftijd en zal waarschijnlijk verouderde elementen bevatten.
De woning op Palmenhuizerweg 1-R-WE9 heeft een gebruiksoppervlakte van 40 m². Dit is relatief klein vergeleken met de gemiddelde Nederlandse woning, die een oppervlakte heeft van ongeveer 119 m². De gebruiksoppervlakte is de maat die wordt gebruikt in de BAG-registratie, de landelijke registratie van de Nederlandse overheid.
Palmenhuizerweg 1-R-WE9 heeft als functie: logies/verblijf. Deze gebruiksfunctie(s) zijn vastgelegd in de BAG-registratie en geven aan waarvoor het adres officieel mag worden gebruikt.
Palmenhuizerweg 1-R-WE9 is gelegen op kadastraal perceel OTL02A1092. Deze kadastrale aanduiding is uniek en wordt gebruikt door het Kadaster om eigendomsrechten en andere zakelijke rechten vast te leggen. Het perceel maakt onderdeel uit van de kadastrale gemeente Otterlo.
Het perceel waarop Palmenhuizerweg 1-R-WE9 staat heeft een oppervlakte van 6,2 ha. Dit is een zeer groot perceel. De perceeloppervlakte wordt geregistreerd door het Kadaster. Gedetailleerde informatie over de maten van dit perceel kunt u vinden in het rapport Kadastrale kaart met maatvoering van Palmenhuizerweg 1-R-WE9.
De eigenaar van Palmenhuizerweg 1-R-WE9 is op te vragen op deze pagina.
De informatie over dit adres is afkomstig uit officiële overheidsregistraties, voornamelijk de Basisregistratie Adressen en Gebouwen (BAG) en de Basisregistratie Kadaster (BRK). Deze gegevens worden beheerd door respectievelijk gemeenten en het Kadaster, en worden regelmatig bijgewerkt. Energielabelgegevens komen uit de database van de Rijksdienst voor Ondernemend Nederland (RVO).
