
Palmenhuizerweg 1-R-XV12 is een adres in Harskamp, dat zich bevindt binnen de gemeentegrenzen van Harskamp en de grenzen van de provincie Gelderland. De oppervlakte van het object bedraagt 40 m². Dat is klein vergeleken met het Nederlandse gemiddelde. Het perceel waarop het adres ligt is 6,2 ha groot. In de straat is dit het kleinste object. Het grootste verblijfsobject heeft een oppervlakte van 175 m². De gemiddelde grootte is er 41 m². Het pand waarin Palmenhuizerweg 1-R-XV12 ligt is gebouwd in het jaar 2019. Panden die gebouwd zijn na het jaar 1984 noemen we hier relatief nieuw. Veel andere gebouwen in de straat zijn ouder dan dit pand. Het oudste pand komt uit het jaar 1980 en het nieuwste uit 2025. De volgende gebruiksdoelen zijn geregistreerd voor dit adres: 'logiesfunctie'.
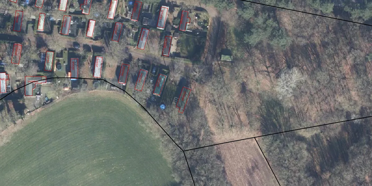
Het perceel waarop het adres ligt is OTL02-A-1092. De afkorting 'OTL02' staat voor kadastrale gemeente Otterlo. De oppervlakte van het perceel is 6,2 ha. Dat is groter dan gemiddeld in Otterlo, waar de gemiddelde perceeloppervlakte op 2,7 ha ligt. Het kleinste perceel in de kadastrale gemeente is 0 m² groot. De grootste perceeloppervlakte is 11,55 km². Op het perceel zijn 166 adressen aanwezig. De huidige grenzen van het perceel zijn digitaal in de Basisregistratie Kadaster (BRK) geregistreerd op 25-02-2016.
Er is geen energielabel geregistreerd voor het adres. Het hoogste energielabel in de straat is G; het laagste is G. Het gemiddelde energielabel is er G. Het adres Palmenhuizerweg 1-R-XV12 heeft als status: 'verblijfsobject in gebruik'. Het pand waarin dit adres ligt heeft als status: 'pand in gebruik'.
Palmenhuizerweg 1-R-XV12 is een adres gelegen in de gemeente Ede, provincie Gelderland. Dit adres is geregistreerd in de Basisregistratie Adressen en Gebouwen (BAG) met als unieke identificatie 0228010000072176.
Het pand op Palmenhuizerweg 1-R-XV12 is gebouwd in 2019, wat betekent dat het 7 jaar oud is. Dit is een vrij nieuw pand. Het pand is dus waarschijnlijk goed geïsoleerd, geluidsdicht en voldoet aan de huidige bouwstandaarden. Op korte termijn zijn er waarschijnlijk weinig onderhoudskosten.
De woning op Palmenhuizerweg 1-R-XV12 heeft een gebruiksoppervlakte van 40 m². Dit is relatief klein vergeleken met de gemiddelde Nederlandse woning, die een oppervlakte heeft van ongeveer 119 m². De gebruiksoppervlakte is de maat die wordt gebruikt in de BAG-registratie, de landelijke registratie van de Nederlandse overheid.
Palmenhuizerweg 1-R-XV12 heeft als functie: logies/verblijf. Deze gebruiksfunctie(s) zijn vastgelegd in de BAG-registratie en geven aan waarvoor het adres officieel mag worden gebruikt.
Palmenhuizerweg 1-R-XV12 is gelegen op kadastraal perceel OTL02A1092. Deze kadastrale aanduiding is uniek en wordt gebruikt door het Kadaster om eigendomsrechten en andere zakelijke rechten vast te leggen. Het perceel maakt onderdeel uit van de kadastrale gemeente Otterlo.
Het perceel waarop Palmenhuizerweg 1-R-XV12 staat heeft een oppervlakte van 6,2 ha. Dit is een zeer groot perceel. De perceeloppervlakte wordt geregistreerd door het Kadaster. Gedetailleerde informatie over de maten van dit perceel kunt u vinden in het rapport Kadastrale kaart met maatvoering van Palmenhuizerweg 1-R-XV12.
De eigenaar van Palmenhuizerweg 1-R-XV12 is op te vragen op deze pagina.
De informatie over dit adres is afkomstig uit officiële overheidsregistraties, voornamelijk de Basisregistratie Adressen en Gebouwen (BAG) en de Basisregistratie Kadaster (BRK). Deze gegevens worden beheerd door respectievelijk gemeenten en het Kadaster, en worden regelmatig bijgewerkt. Energielabelgegevens komen uit de database van de Rijksdienst voor Ondernemend Nederland (RVO).
