
Het adres Palmenhuizerweg 1-R-BR8 bevindt zich in de plaats Harskamp, in de gemeente Harskamp en de provincie Gelderland. Het verblijfsobject is vergeleken met het Nederlandse gemiddelde aan de kleine kant: de oppervlakte is 40 m². Het perceel waarop het adres zich bevindt heeft een oppervlakte van 1255 m². In de straat is dit het kleinste object. Het grootste verblijfsobject heeft een oppervlakte van 175 m². De gemiddelde grootte is er 41 m². Het pand waarin Palmenhuizerweg 1-R-BR8 ligt is gebouwd in het jaar 2005. Panden die gebouwd zijn na het jaar 1984 noemen we hier relatief nieuw. Het nieuwste gebouw in de straat komt uit 2025 en het oudste uit 1980. Dit object is relatief oud. De volgende gebruiksdoelen zijn geregistreerd voor dit adres: 'logiesfunctie'.
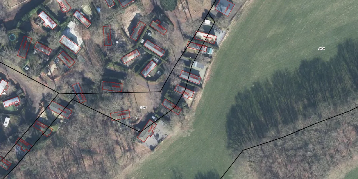
Het perceel waarop het adres ligt is OTL02-A-1608. De afkorting 'OTL02' staat voor kadastrale gemeente Otterlo. Het perceel is 1255 m² groot. Dat is kleiner dan de gemiddelde perceeloppervlakte in Otterlo, dat op 2,7 ha ligt. Het kleinste perceel in de kadastrale gemeente is 0 m² groot. De grootste perceeloppervlakte is 11,55 km². Op het perceel liggen in totaal 6 adressen. In de Basisregistratie Kadaster (BRK) werden de grenzen van het perceel geregistreerd op 28-01-2003.
Er is geen energielabel geregistreerd voor het adres. Het hoogste energielabel in de straat is G; het laagste is G. Het gemiddelde energielabel is er G. Het adres Palmenhuizerweg 1-R-BR8 heeft als status: 'verblijfsobject in gebruik'. Het pand waarin dit adres ligt heeft als status: 'pand in gebruik'.
Palmenhuizerweg 1-R-BR8 is een adres gelegen in de gemeente Ede, provincie Gelderland. Dit adres is geregistreerd in de Basisregistratie Adressen en Gebouwen (BAG) met als unieke identificatie 0228010000072247.
Het pand op Palmenhuizerweg 1-R-BR8 is gebouwd in 2005, wat betekent dat het 21 jaar oud is. Dit is een relatief modern pand. Ten opzichte van de nationale woningvoorraad is het pand relatief modern, maar er kunnen enkele verouderde elementen zijn die aandacht nodig hebben.
De woning op Palmenhuizerweg 1-R-BR8 heeft een gebruiksoppervlakte van 40 m². Dit is relatief klein vergeleken met de gemiddelde Nederlandse woning, die een oppervlakte heeft van ongeveer 119 m². De gebruiksoppervlakte is de maat die wordt gebruikt in de BAG-registratie, de landelijke registratie van de Nederlandse overheid.
Palmenhuizerweg 1-R-BR8 heeft als functie: logies/verblijf. Deze gebruiksfunctie(s) zijn vastgelegd in de BAG-registratie en geven aan waarvoor het adres officieel mag worden gebruikt.
Palmenhuizerweg 1-R-BR8 is gelegen op kadastraal perceel OTL02A1608. Deze kadastrale aanduiding is uniek en wordt gebruikt door het Kadaster om eigendomsrechten en andere zakelijke rechten vast te leggen. Het perceel maakt onderdeel uit van de kadastrale gemeente Otterlo.
Het perceel waarop Palmenhuizerweg 1-R-BR8 staat heeft een oppervlakte van 1255 m². Dit is een zeer groot perceel. De perceeloppervlakte wordt geregistreerd door het Kadaster. Gedetailleerde informatie over de maten van dit perceel kunt u vinden in het rapport Kadastrale kaart met maatvoering van Palmenhuizerweg 1-R-BR8.
De eigenaar van Palmenhuizerweg 1-R-BR8 is op te vragen op deze pagina.
De informatie over dit adres is afkomstig uit officiële overheidsregistraties, voornamelijk de Basisregistratie Adressen en Gebouwen (BAG) en de Basisregistratie Kadaster (BRK). Deze gegevens worden beheerd door respectievelijk gemeenten en het Kadaster, en worden regelmatig bijgewerkt. Energielabelgegevens komen uit de database van de Rijksdienst voor Ondernemend Nederland (RVO).
