
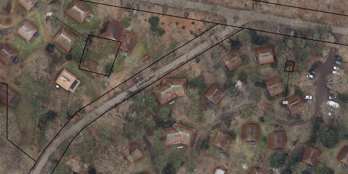
Leemkuilen 6-120 is gelegen in de plaats Hattem, de gemeente Hattem en de provincie Gelderland. De oppervlakte van het adres is 145 m². Dat is vergelijkbaar met het gemiddelde Nederlandse oppervlakte van 119 m². De oppervlakte van het perceel waarin het adres ligt is 5,8 ha. De oppervlakte van dit adres is groot vergeleken met de oppervlaktes van andere adressen in de straat. De kleinste oppervlakte bedraagt er 30 m², de grootste 543 m². Leemkuilen 6-120 ligt in een gebouw uit het jaar 2005. Daarmee behoort het tot de groep panden van na 1984, die we als relatief nieuw bestempelen. Dit object is relatief nieuw in de straat. Het nieuwste gebouw komt er uit het jaar 2017 en het oudste uit het jaar 1950. Voor het verblijfsobject gelden deze gebruiksdoelen: 'logiesfunctie'.
Het adres ligt op het perceel HTM00-C-643, dat zich in de kadastrale gemeente Hattem bevindt. Het perceel is met 5,8 ha relatief groot. Het gemiddelde ligt in de kadastrale gemeente Hattem op 3319,46 m². Het grootste perceel in de kadastrale gemeente is 60,9 ha. Het kleinste perceel heeft een oppervlakte van 0 m². Op het perceel liggen in totaal 61 adressen. De laatste wijziging in het de Basisregistratie Kadaster (BRK) was op 23-12-2004.
Het adres ligt in een gebouw van het type 'logieswoning'. Bij de laatste meting is voor het adres het energielabel C geregistreerd. Het hoogste energielabel in de straat is A; het laagste is G. Het gemiddelde energielabel is er D. Het adres Leemkuilen 6-120 heeft als status: 'verblijfsobject in gebruik'. Het pand waarin dit adres ligt heeft als status: 'pand in gebruik'.
Leemkuilen 6-120 is een adres gelegen in de gemeente Hattem, provincie Gelderland. Dit adres is geregistreerd in de Basisregistratie Adressen en Gebouwen (BAG) met als unieke identificatie 0244010000005724.
Het pand op Leemkuilen 6-120 is gebouwd in 2005, wat betekent dat het 21 jaar oud is. Dit is een relatief modern pand. Ten opzichte van de nationale woningvoorraad is het pand relatief modern, maar er kunnen enkele verouderde elementen zijn die aandacht nodig hebben.
De woning op Leemkuilen 6-120 heeft een gebruiksoppervlakte van 145 m². Dit is gemiddeld vergeleken met de gemiddelde Nederlandse woning, die een oppervlakte heeft van ongeveer 119 m². De gebruiksoppervlakte is de maat die wordt gebruikt in de BAG-registratie, de landelijke registratie van de Nederlandse overheid.
Leemkuilen 6-120 heeft als functie: logies/verblijf. Deze gebruiksfunctie(s) zijn vastgelegd in de BAG-registratie en geven aan waarvoor het adres officieel mag worden gebruikt.
Leemkuilen 6-120 is gelegen op kadastraal perceel HTM00C643. Deze kadastrale aanduiding is uniek en wordt gebruikt door het Kadaster om eigendomsrechten en andere zakelijke rechten vast te leggen. Het perceel maakt onderdeel uit van de kadastrale gemeente Hattem.
Het perceel waarop Leemkuilen 6-120 staat heeft een oppervlakte van 5,8 ha. Dit is een zeer groot perceel. De perceeloppervlakte wordt geregistreerd door het Kadaster. Gedetailleerde informatie over de maten van dit perceel kunt u vinden in het rapport Kadastrale kaart met maatvoering van Leemkuilen 6-120.
De eigenaar van Leemkuilen 6-120 is op te vragen op deze pagina.
De informatie over dit adres is afkomstig uit officiële overheidsregistraties, voornamelijk de Basisregistratie Adressen en Gebouwen (BAG) en de Basisregistratie Kadaster (BRK). Deze gegevens worden beheerd door respectievelijk gemeenten en het Kadaster, en worden regelmatig bijgewerkt. Energielabelgegevens komen uit de database van de Rijksdienst voor Ondernemend Nederland (RVO).
