
Prins Bernhardlaan 3 is een adres in Hattem, dat zich bevindt binnen de gemeentegrenzen van Hattem en de grenzen van de provincie Gelderland. Het object heeft een oppervlakte van 323 m², wat relatief groot is. Het perceel waarop het adres ligt is 1033 m² groot. De oppervlakte van dit adres is groot vergeleken met de oppervlaktes van andere adressen in de straat. De kleinste oppervlakte bedraagt er 164 m², de grootste 386 m². Prins Bernhardlaan 3 bevindt zich in een pand uit het jaar 1964. Daarmee behoort het tot de groep relatief oude panden in Nederland die gebouwd zijn vóór 1965. Vergeleken met de andere panden in de straat is dit gebouw nieuw. Het vroegste bouwjaar is er 1925 en het laatste is 2003. De volgende gebruiksdoelen zijn geregistreerd voor dit adres: 'woonfunctie'.
Deze woning is voor het laatst verkocht op 1 april 2015. Meer informatie over deze transactie? Bestel het Woningtransactierapport om de verkoopprijs en andere informatie te zien.
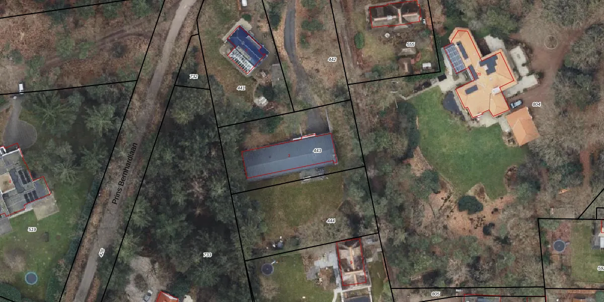
Het adres ligt op het perceel HTM00-C-443, dat zich in de kadastrale gemeente Hattem bevindt. Het perceel is 1033 m² groot. Dat is kleiner dan de gemiddelde perceeloppervlakte in Hattem, dat op 3319,92 m² ligt. Het grootste perceel in de kadastrale gemeente is 60,9 ha. Het kleinste perceel heeft een oppervlakte van 0 m². Dit is het enige adres dat aanwezig is op het perceel. De huidige grenzen van het perceel zijn digitaal in de Basisregistratie Kadaster (BRK) geregistreerd op 13-10-2023.
Er is geen energielabel geregistreerd voor het adres. Het hoogste energielabel in de straat is A; het laagste is G. Het gemiddelde energielabel is er D. Het adres Prins Bernhardlaan 3 heeft als status: 'verblijfsobject in gebruik'. Het pand waarin dit adres ligt heeft als status: 'pand in gebruik'.
Prins Bernhardlaan 3 is een adres gelegen in de gemeente Hattem, provincie Gelderland. Dit adres is geregistreerd in de Basisregistratie Adressen en Gebouwen (BAG) met als unieke identificatie 0244010000003971.
Het pand op Prins Bernhardlaan 3 is gebouwd in 1964, wat betekent dat het 62 jaar oud is. Dit is een ouder pand. Het pand heeft mogelijk aanzienlijke renovaties nodig om aan de huidige standaarden te voldoen.
De woning op Prins Bernhardlaan 3 heeft een gebruiksoppervlakte van 323 m². Dit is ruim vergeleken met de gemiddelde Nederlandse woning, die een oppervlakte heeft van ongeveer 119 m². De gebruiksoppervlakte is de maat die wordt gebruikt in de BAG-registratie, de landelijke registratie van de Nederlandse overheid.
Prins Bernhardlaan 3 heeft als functie: wonen. Deze gebruiksfunctie(s) zijn vastgelegd in de BAG-registratie en geven aan waarvoor het adres officieel mag worden gebruikt.
Prins Bernhardlaan 3 is gelegen op kadastraal perceel HTM00C443. Deze kadastrale aanduiding is uniek en wordt gebruikt door het Kadaster om eigendomsrechten en andere zakelijke rechten vast te leggen. Het perceel maakt onderdeel uit van de kadastrale gemeente Hattem.
Het perceel waarop Prins Bernhardlaan 3 staat heeft een oppervlakte van 1033 m². Dit is een zeer groot perceel. De perceeloppervlakte wordt geregistreerd door het Kadaster. Gedetailleerde informatie over de maten van dit perceel kunt u vinden in het rapport Kadastrale kaart met maatvoering van Prins Bernhardlaan 3.
De eigenaar van Prins Bernhardlaan 3 is op te vragen op deze pagina.
De informatie over dit adres is afkomstig uit officiële overheidsregistraties, voornamelijk de Basisregistratie Adressen en Gebouwen (BAG) en de Basisregistratie Kadaster (BRK). Deze gegevens worden beheerd door respectievelijk gemeenten en het Kadaster, en worden regelmatig bijgewerkt. Energielabelgegevens komen uit de database van de Rijksdienst voor Ondernemend Nederland (RVO).
