
Eikenkamp 5-M1 is een adres in Hattemerbroek, dat zich bevindt binnen de gemeentegrenzen van Hattemerbroek en de grenzen van de provincie Gelderland. De oppervlakte van het adres is 136 m². Dat is vergelijkbaar met het gemiddelde Nederlandse oppervlakte van 119 m². De oppervlakte van het perceel waarin het adres ligt is 2640 m². Het object is klein ten opzichte van de andere adressen in de straat. Het grootste verblijfsobject is 238 m² groot en het kleinste is 44 m². Het adres Eikenkamp 5-M1 ligt in een relatief oud pand uit het jaar 1963. Panden van vóór het jaar 1965 hebben we hier geclassificeerd als oud. Het nieuwste gebouw in de straat komt uit 2004 en het oudste uit 1922. Dit object is relatief oud. De volgende gebruiksdoelen zijn geregistreerd voor dit adres: 'woonfunctie'.
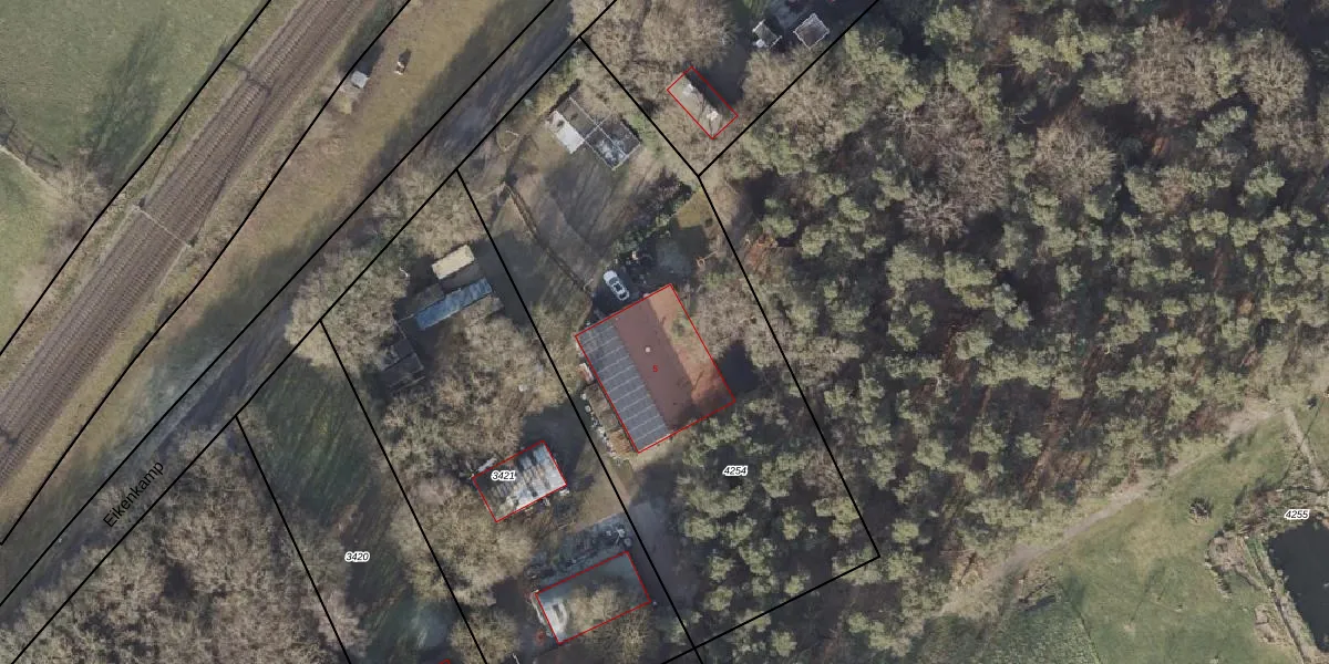
Het perceel waarop het adres ligt is ODB01-F-4254. De afkorting 'ODB01' staat voor kadastrale gemeente Oldebroek. Het perceel is 2640 m² groot. Dat is kleiner dan de gemiddelde perceeloppervlakte in Oldebroek, dat op 5941,41 m² ligt. De grootste perceeloppervlakte in de kadastrale gemeente is 4,56 km². De kleinste oppervlakte bedraagt 0 m². Op het perceel liggen in totaal 2 adressen. De huidige grenzen van het perceel zijn digitaal in de Basisregistratie Kadaster (BRK) geregistreerd op 07-10-2004.
Er is geen energielabel geregistreerd voor het adres. Het hoogste energielabel in de straat is C; het laagste is G. Het gemiddelde energielabel is er C. Het adres Eikenkamp 5-M1 heeft als status: 'verblijfsobject in gebruik'. Het pand waarin dit adres ligt heeft als status: 'pand in gebruik'.
Eikenkamp 5-M1 is een adres gelegen in de gemeente Oldebroek, provincie Gelderland. Dit adres is geregistreerd in de Basisregistratie Adressen en Gebouwen (BAG) met als unieke identificatie 0269010000012062.
Het pand op Eikenkamp 5-M1 is gebouwd in 1963, wat betekent dat het 63 jaar oud is. Dit is een ouder pand. Het pand heeft mogelijk aanzienlijke renovaties nodig om aan de huidige standaarden te voldoen.
De woning op Eikenkamp 5-M1 heeft een gebruiksoppervlakte van 136 m². Dit is gemiddeld vergeleken met de gemiddelde Nederlandse woning, die een oppervlakte heeft van ongeveer 119 m². De gebruiksoppervlakte is de maat die wordt gebruikt in de BAG-registratie, de landelijke registratie van de Nederlandse overheid.
Eikenkamp 5-M1 heeft als functie: wonen. Deze gebruiksfunctie(s) zijn vastgelegd in de BAG-registratie en geven aan waarvoor het adres officieel mag worden gebruikt.
Eikenkamp 5-M1 is gelegen op kadastraal perceel ODB01F4254. Deze kadastrale aanduiding is uniek en wordt gebruikt door het Kadaster om eigendomsrechten en andere zakelijke rechten vast te leggen. Het perceel maakt onderdeel uit van de kadastrale gemeente Oldebroek.
Het perceel waarop Eikenkamp 5-M1 staat heeft een oppervlakte van 2640 m². Dit is een zeer groot perceel. De perceeloppervlakte wordt geregistreerd door het Kadaster. Gedetailleerde informatie over de maten van dit perceel kunt u vinden in het rapport Kadastrale kaart met maatvoering van Eikenkamp 5-M1.
De eigenaar van Eikenkamp 5-M1 is op te vragen op deze pagina.
De informatie over dit adres is afkomstig uit officiële overheidsregistraties, voornamelijk de Basisregistratie Adressen en Gebouwen (BAG) en de Basisregistratie Kadaster (BRK). Deze gegevens worden beheerd door respectievelijk gemeenten en het Kadaster, en worden regelmatig bijgewerkt. Energielabelgegevens komen uit de database van de Rijksdienst voor Ondernemend Nederland (RVO).
