
Tuinstraat 45-B-26 is gelegen in de plaats Hauwert, de gemeente Medemblik en de provincie Noord-Holland. De oppervlakte van het verblijfsobject is met 157 m² aan de grote kant. Het perceel heeft een oppervlakte van 3990 m². De oppervlakte van het adres is klein vergeleken met de andere objecten in de straat. De oppervlakte van het kleinste object in de straat bedraagt 38 m², terwijl het grootste object 296 m² groot is. Tuinstraat 45-B-26 bevindt zich in een pand uit het jaar null. Daarmee behoort het tot de groep relatief oude panden in Nederland die gebouwd zijn vóór 1965. Gemiddeld zijn de gebouwen in de straat gebouwd in 1986. Dit is het oudste pand in de straat. Het meest recente komt uit het jaar 2025. Voor het verblijfsobject gelden deze gebruiksdoelen: 'standplaats'.
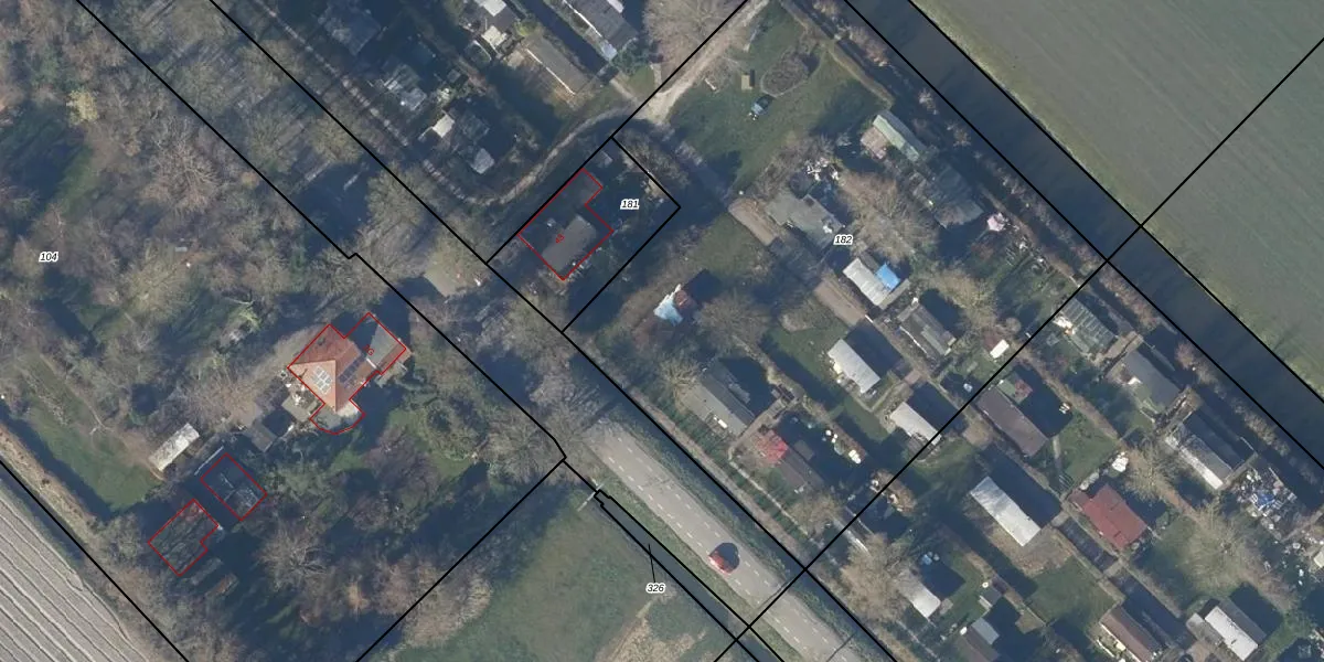
Het adres is gelegen op perceel 182 in de sectie L en de kadastrale gemeente Noorder-Koggenland. De kadastrale aanduiding is aldus KGL01-L-182. De gemiddelde perceelgrootte in Noorder-Koggenland is 6758,91 m². Dit perceel is kleiner: de perceeloppervlakte bedraagt 3990 m². Het grootste perceel in de kadastrale gemeente is 41,8 ha. Het kleinste perceel heeft een oppervlakte van 0 m². Op het perceel liggen in totaal 13 adressen. De laatste wijziging in het de Basisregistratie Kadaster (BRK) was op 17-06-2008.
Er is geen energielabel geregistreerd voor het adres. Het hoogste energielabel in de straat is A++++; het laagste is G. Het gemiddelde energielabel is er B. Het adres Tuinstraat 45-B-26 heeft als status: 'plaats aangewezen'. Het pand waarin dit adres ligt heeft als status: 'undefined'.
Tuinstraat 45-B-26 is een adres gelegen in de gemeente Medemblik, provincie Noord-Holland. Dit adres is geregistreerd in de Basisregistratie Adressen en Gebouwen (BAG) met als unieke identificatie 0420030000000554.
De woning op Tuinstraat 45-B-26 heeft een gebruiksoppervlakte van 157 m². Dit is ruim vergeleken met de gemiddelde Nederlandse woning, die een oppervlakte heeft van ongeveer 119 m². De gebruiksoppervlakte is de maat die wordt gebruikt in de BAG-registratie, de landelijke registratie van de Nederlandse overheid.
Tuinstraat 45-B-26 heeft als functie: standplaats. Deze gebruiksfunctie(s) zijn vastgelegd in de BAG-registratie en geven aan waarvoor het adres officieel mag worden gebruikt.
Tuinstraat 45-B-26 is gelegen op kadastraal perceel KGL01L182. Deze kadastrale aanduiding is uniek en wordt gebruikt door het Kadaster om eigendomsrechten en andere zakelijke rechten vast te leggen. Het perceel maakt onderdeel uit van de kadastrale gemeente Noorder-Koggenland.
Het perceel waarop Tuinstraat 45-B-26 staat heeft een oppervlakte van 3990 m². Dit is een zeer groot perceel. De perceeloppervlakte wordt geregistreerd door het Kadaster. Gedetailleerde informatie over de maten van dit perceel kunt u vinden in het rapport Kadastrale kaart met maatvoering van Tuinstraat 45-B-26.
De eigenaar van Tuinstraat 45-B-26 is op te vragen op deze pagina.
De informatie over dit adres is afkomstig uit officiële overheidsregistraties, voornamelijk de Basisregistratie Adressen en Gebouwen (BAG) en de Basisregistratie Kadaster (BRK). Deze gegevens worden beheerd door respectievelijk gemeenten en het Kadaster, en worden regelmatig bijgewerkt. Energielabelgegevens komen uit de database van de Rijksdienst voor Ondernemend Nederland (RVO).
