
Havelter Schapendrift 15-a is een adres in Havelte, dat zich bevindt binnen de gemeentegrenzen van Havelte en de grenzen van de provincie Drenthe. De oppervlakte van het verblijfsobject is met 364 m² aan de grote kant. Het perceel heeft een oppervlakte van 409 m². Vergeleken met de andere verblijfsobjecten in de straat is dit object groot. De oppervlakte van het grootste object in de straat is 1591 m², die van het kleinste bedraagt 44 m². De gemiddelde bouwperiode van gebouwen in Nederland ligt tussen de jaren 1965-1984. Dat geldt ook voor het bouwjaar van Havelter Schapendrift 15-a: het is gebouwd in het jaar 1965. Het nieuwste gebouw in de straat komt uit 2024 en het oudste uit 1938. Dit object is relatief oud. De volgende gebruiksdoelen zijn geregistreerd voor dit adres: 'industriefunctie'.
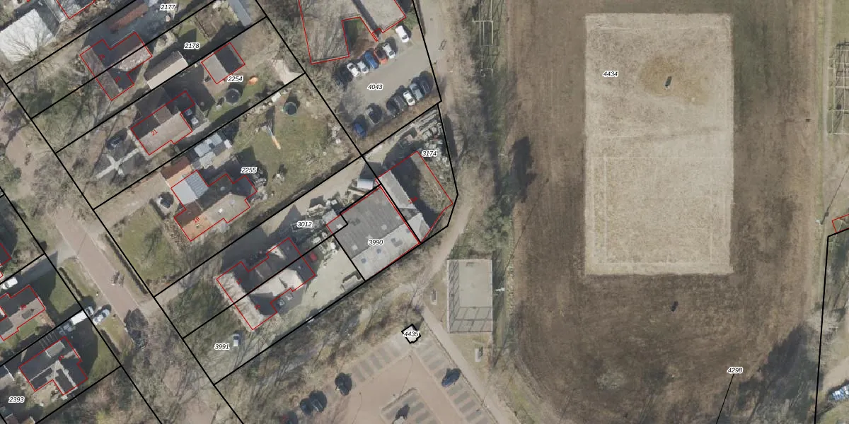
Het adres is gelegen op perceel 3174 in de sectie I en de kadastrale gemeente Havelte. De kadastrale aanduiding is aldus HVT03-I-3174. Het perceel is 409 m² groot. Dat is kleiner dan de gemiddelde perceeloppervlakte in Havelte, dat op 1,1 ha ligt. Het kleinste perceel in de kadastrale gemeente is 0 m² groot. De grootste perceeloppervlakte is 1,09 km². Op het perceel bevinden zich geen andere adressen. De huidige grenzen van het perceel zijn digitaal in de Basisregistratie Kadaster (BRK) geregistreerd op 15-04-2011.
Er is geen energielabel geregistreerd voor het adres. Het hoogste energielabel in de straat is A+++; het laagste is G. Het gemiddelde energielabel is er C. Het adres Havelter Schapendrift 15-a heeft als status: 'verblijfsobject in gebruik'. Het pand waarin dit adres ligt heeft als status: 'pand in gebruik'.
Havelter Schapendrift 15-a is een adres gelegen in de gemeente Westerveld, provincie Drenthe. Dit adres is geregistreerd in de Basisregistratie Adressen en Gebouwen (BAG) met als unieke identificatie 1701010000239781.
Het pand op Havelter Schapendrift 15-a is gebouwd in 1965, wat betekent dat het 61 jaar oud is. Dit is een ouder pand. Het pand heeft mogelijk aanzienlijke renovaties nodig om aan de huidige standaarden te voldoen.
De woning op Havelter Schapendrift 15-a heeft een gebruiksoppervlakte van 364 m². Dit is ruim vergeleken met de gemiddelde Nederlandse woning, die een oppervlakte heeft van ongeveer 119 m². De gebruiksoppervlakte is de maat die wordt gebruikt in de BAG-registratie, de landelijke registratie van de Nederlandse overheid.
Havelter Schapendrift 15-a heeft als functie: industrie. Deze gebruiksfunctie(s) zijn vastgelegd in de BAG-registratie en geven aan waarvoor het adres officieel mag worden gebruikt.
Havelter Schapendrift 15-a is gelegen op kadastraal perceel HVT03I3174. Deze kadastrale aanduiding is uniek en wordt gebruikt door het Kadaster om eigendomsrechten en andere zakelijke rechten vast te leggen. Het perceel maakt onderdeel uit van de kadastrale gemeente Havelte.
Het perceel waarop Havelter Schapendrift 15-a staat heeft een oppervlakte van 409 m². Dit is een groot perceel. De perceeloppervlakte wordt geregistreerd door het Kadaster. Gedetailleerde informatie over de maten van dit perceel kunt u vinden in het rapport Kadastrale kaart met maatvoering van Havelter Schapendrift 15-a.
De eigenaar van Havelter Schapendrift 15-a is op te vragen op deze pagina.
De informatie over dit adres is afkomstig uit officiële overheidsregistraties, voornamelijk de Basisregistratie Adressen en Gebouwen (BAG) en de Basisregistratie Kadaster (BRK). Deze gegevens worden beheerd door respectievelijk gemeenten en het Kadaster, en worden regelmatig bijgewerkt. Energielabelgegevens komen uit de database van de Rijksdienst voor Ondernemend Nederland (RVO).
