
Het adres Burgemeester Smitweg 13 bevindt zich in de plaats Hazerswoude-Dorp, in de gemeente Hazerswoude-Dorp en de provincie Zuid-Holland. De oppervlakte bedraagt 575 m², waarmee het adres groter dan gemiddeld is. De grootte van het perceel waarop het adres ligt is 1,4 ha. De oppervlakte van dit adres is groot vergeleken met de oppervlaktes van andere adressen in de straat. De kleinste oppervlakte bedraagt er 19 m², de grootste 7927 m². In Nederland komt het grootste deel van de gebouwen uit de periode 1965-1984. Ook het bouwjaar van Burgemeester Smitweg 13 is afkomstig uit die periode: het betreft namelijk een pand uit 1970. In de straat komt het nieuwste gebouw uit het jaar 2026 en het oudste uit 1961. Het bouwjaar van dit object is relatief oud. Voor het verblijfsobject gelden deze gebruiksdoelen: 'industriefunctie'.
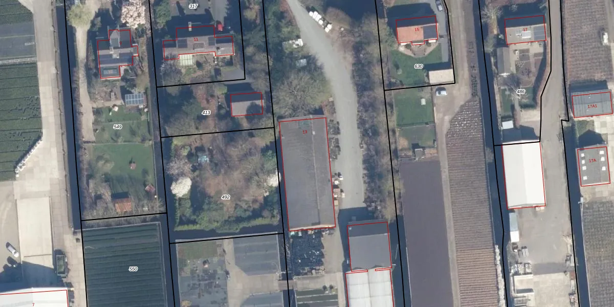
Het adres ligt op het perceel HZW00-K-319, dat zich in de kadastrale gemeente Hazerswoude bevindt. Het perceel is met 1,4 ha relatief groot. Het gemiddelde ligt in de kadastrale gemeente Hazerswoude op 4640,2 m². Het grootste perceel in de kadastrale gemeente is 34,4 ha. Het kleinste perceel heeft een oppervlakte van 0 m². Er zijn geen andere adressen aanwezig op het perceel. In de Basisregistratie Kadaster (BRK) werden de grenzen van het perceel geregistreerd op 14-07-2011.
Er is geen energielabel geregistreerd voor het adres. Het hoogste energielabel in de straat is A; het laagste is G. Het gemiddelde energielabel is er C. Het adres Burgemeester Smitweg 13 heeft als status: 'verblijfsobject in gebruik'. Het pand waarin dit adres ligt heeft als status: 'pand in gebruik'.
Burgemeester Smitweg 13 is een adres gelegen in de gemeente Alphen aan den Rijn, provincie Zuid-Holland. Dit adres is geregistreerd in de Basisregistratie Adressen en Gebouwen (BAG) met als unieke identificatie 1672010000007589.
Het pand op Burgemeester Smitweg 13 is gebouwd in 1970, wat betekent dat het 56 jaar oud is. Dit is een ouder pand. Het pand heeft mogelijk aanzienlijke renovaties nodig om aan de huidige standaarden te voldoen.
De woning op Burgemeester Smitweg 13 heeft een gebruiksoppervlakte van 575 m². Dit is ruim vergeleken met de gemiddelde Nederlandse woning, die een oppervlakte heeft van ongeveer 119 m². De gebruiksoppervlakte is de maat die wordt gebruikt in de BAG-registratie, de landelijke registratie van de Nederlandse overheid.
Burgemeester Smitweg 13 heeft als functie: industrie. Deze gebruiksfunctie(s) zijn vastgelegd in de BAG-registratie en geven aan waarvoor het adres officieel mag worden gebruikt.
Burgemeester Smitweg 13 is gelegen op kadastraal perceel HZW00K319. Deze kadastrale aanduiding is uniek en wordt gebruikt door het Kadaster om eigendomsrechten en andere zakelijke rechten vast te leggen. Het perceel maakt onderdeel uit van de kadastrale gemeente Hazerswoude.
Het perceel waarop Burgemeester Smitweg 13 staat heeft een oppervlakte van 1,4 ha. Dit is een zeer groot perceel. De perceeloppervlakte wordt geregistreerd door het Kadaster. Gedetailleerde informatie over de maten van dit perceel kunt u vinden in het rapport Kadastrale kaart met maatvoering van Burgemeester Smitweg 13.
De eigenaar van Burgemeester Smitweg 13 is op te vragen op deze pagina.
De informatie over dit adres is afkomstig uit officiële overheidsregistraties, voornamelijk de Basisregistratie Adressen en Gebouwen (BAG) en de Basisregistratie Kadaster (BRK). Deze gegevens worden beheerd door respectievelijk gemeenten en het Kadaster, en worden regelmatig bijgewerkt. Energielabelgegevens komen uit de database van de Rijksdienst voor Ondernemend Nederland (RVO).
