
Heemsteedse Dreef 247 is gelegen in de plaats Heemstede, de gemeente Heemstede en de provincie Noord-Holland. Het object heeft een oppervlakte van 267 m², wat relatief groot is. Het perceel waarop het adres ligt is 584 m² groot. De oppervlakte van dit adres is groot vergeleken met de oppervlaktes van andere adressen in de straat. De kleinste oppervlakte bedraagt er 18 m², de grootste 448 m². Heemsteedse Dreef 247 bevindt zich in een pand uit het jaar 1934. Daarmee behoort het tot de groep relatief oude panden in Nederland die gebouwd zijn vóór 1965. Het bouwjaar is oud vergeleken met dat van de andere panden in de straat. Het oudste bouwjaar is er 1920 en de nieuwste is 2017. Voor het verblijfsobject gelden deze gebruiksdoelen: 'woonfunctie'.
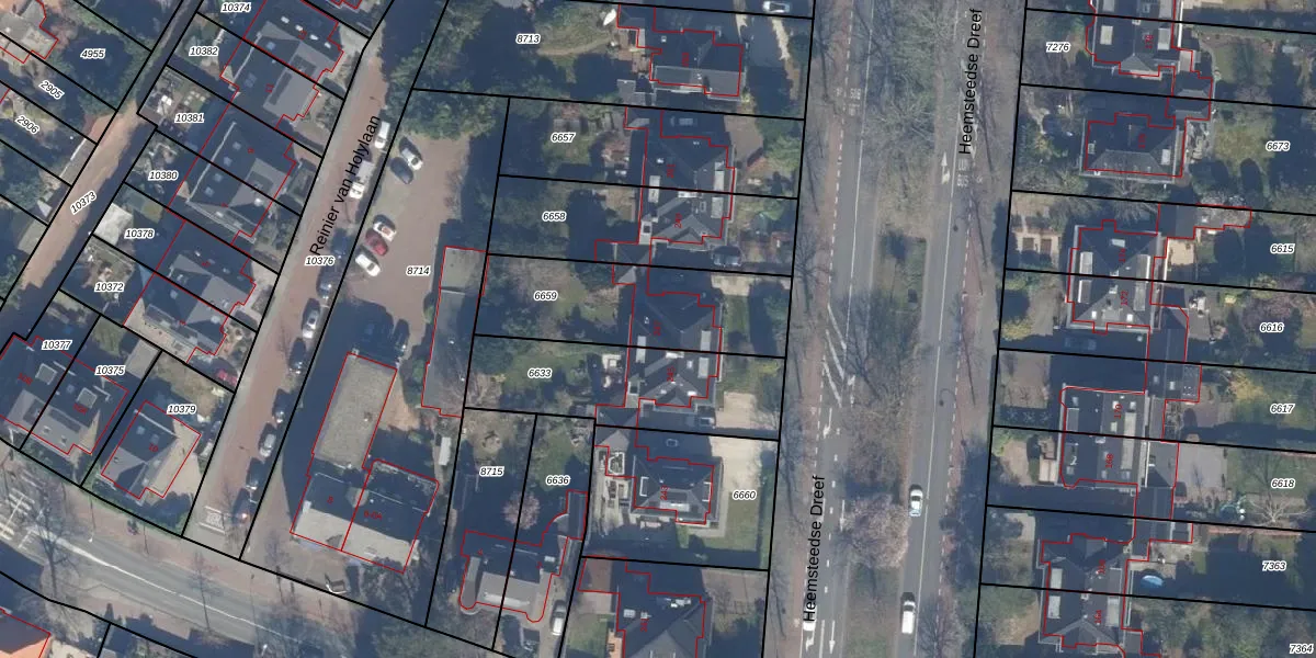
Het adres ligt op het perceel HSD01-A-6659, dat zich in de kadastrale gemeente Heemstede bevindt. De gemiddelde perceelgrootte in Heemstede is 916,75 m². Dit perceel is kleiner: de perceeloppervlakte bedraagt 584 m². Het grootste perceel in de kadastrale gemeente is 67,9 ha. Het kleinste perceel heeft een oppervlakte van 0 m². Dit is het enige adres dat aanwezig is op het perceel. De laatste wijziging in het de Basisregistratie Kadaster (BRK) was op 20-07-2000.
Er is geen energielabel geregistreerd voor het adres. Het hoogste energielabel in de straat is A+; het laagste is G. Het gemiddelde energielabel is er C. Het adres Heemsteedse Dreef 247 heeft als status: 'verblijfsobject in gebruik'. Het pand waarin dit adres ligt heeft als status: 'pand in gebruik'.
Heemsteedse Dreef 247 is een adres gelegen in de gemeente Heemstede, provincie Noord-Holland. Dit adres is geregistreerd in de Basisregistratie Adressen en Gebouwen (BAG) met als unieke identificatie 0397010000005796.
Het pand op Heemsteedse Dreef 247 is gebouwd in 1934, wat betekent dat het 92 jaar oud is. Dit is een ouder pand. Het pand heeft mogelijk aanzienlijke renovaties nodig om aan de huidige standaarden te voldoen.
De woning op Heemsteedse Dreef 247 heeft een gebruiksoppervlakte van 267 m². Dit is ruim vergeleken met de gemiddelde Nederlandse woning, die een oppervlakte heeft van ongeveer 119 m². De gebruiksoppervlakte is de maat die wordt gebruikt in de BAG-registratie, de landelijke registratie van de Nederlandse overheid.
Heemsteedse Dreef 247 heeft als functie: wonen. Deze gebruiksfunctie(s) zijn vastgelegd in de BAG-registratie en geven aan waarvoor het adres officieel mag worden gebruikt.
Heemsteedse Dreef 247 is gelegen op kadastraal perceel HSD01A6659. Deze kadastrale aanduiding is uniek en wordt gebruikt door het Kadaster om eigendomsrechten en andere zakelijke rechten vast te leggen. Het perceel maakt onderdeel uit van de kadastrale gemeente Heemstede.
Het perceel waarop Heemsteedse Dreef 247 staat heeft een oppervlakte van 584 m². Dit is een groot perceel. De perceeloppervlakte wordt geregistreerd door het Kadaster. Gedetailleerde informatie over de maten van dit perceel kunt u vinden in het rapport Kadastrale kaart met maatvoering van Heemsteedse Dreef 247.
De eigenaar van Heemsteedse Dreef 247 is op te vragen op deze pagina.
De informatie over dit adres is afkomstig uit officiële overheidsregistraties, voornamelijk de Basisregistratie Adressen en Gebouwen (BAG) en de Basisregistratie Kadaster (BRK). Deze gegevens worden beheerd door respectievelijk gemeenten en het Kadaster, en worden regelmatig bijgewerkt. Energielabelgegevens komen uit de database van de Rijksdienst voor Ondernemend Nederland (RVO).
