
Het adres Beukenlaan 1 bevindt zich in de plaats Heerde, in de gemeente Heerde en de provincie Gelderland. De oppervlakte van het verblijfsobject is met 341 m² aan de grote kant. Het perceel heeft een oppervlakte van 4585 m². Dit is het adres met de grootste oppervlakte van alle adressen in de straat. Gemiddeld hebben de objecten in de straat een oppervlakte van 221 m². De kleinste oppervlakte is er 148 m². Het gebouw waarin Beukenlaan 1 ligt komt uit het jaar 1950. Objecten die gebouwd zijn vóór 1965 classificeren we hier als oud. Gemiddeld zijn de gebouwen in de straat gebouwd in 1963. Dit is het oudste pand in de straat. Het meest recente komt uit het jaar 1967. De volgende gebruiksdoelen zijn geregistreerd voor dit adres: 'woonfunctie'.
Deze woning is voor het laatst verkocht op 1 september 2023. Meer informatie over deze transactie? Bestel het Woningtransactierapport om de verkoopprijs en andere informatie te zien.
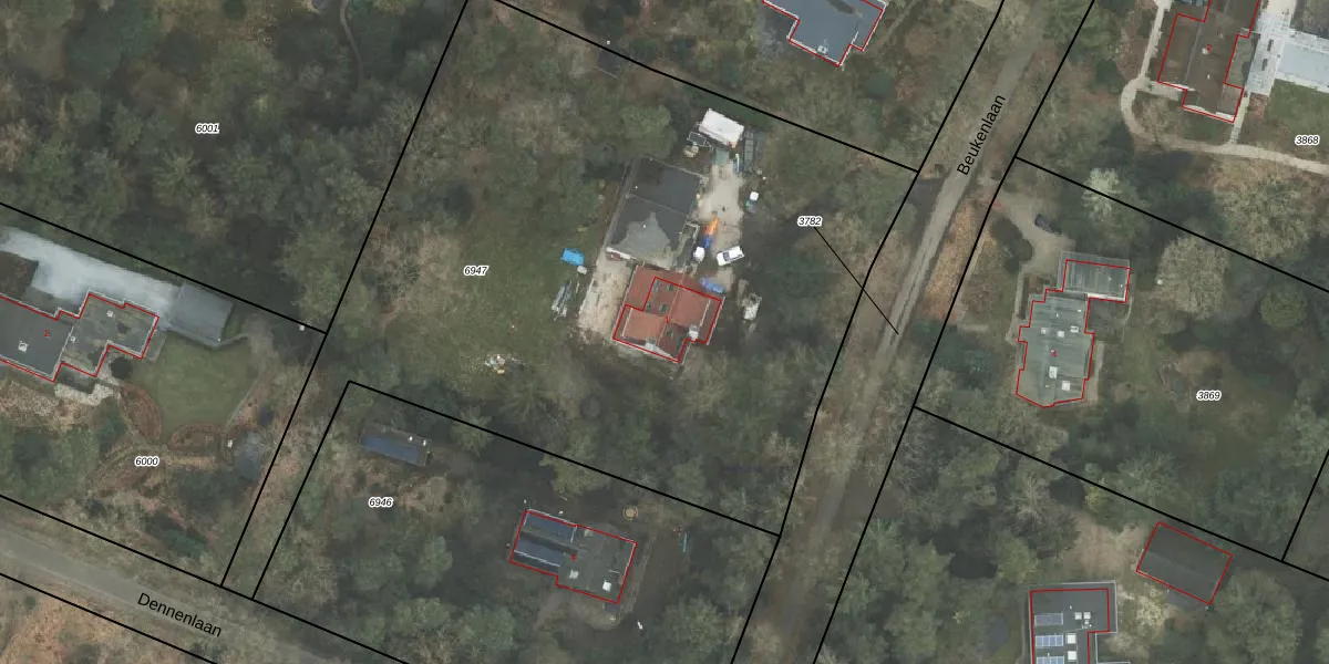
Het adres ligt op het perceel HDE00-K-6947, dat zich in de kadastrale gemeente Heerde bevindt. Het perceel is 4585 m² groot. Dat is kleiner dan de gemiddelde perceeloppervlakte in Heerde, dat op 6321,19 m² ligt. Het kleinste perceel in de kadastrale gemeente is 0 m² groot. De grootste perceeloppervlakte is 1,56 km². Op het perceel bevinden zich geen andere adressen. In de Basisregistratie Kadaster (BRK) werden de grenzen van het perceel geregistreerd op 13-04-2000.
Het adres ligt in een gebouw van het type 'vrijstaande woning'. Bij de laatste meting is voor het adres het energielabel E geregistreerd. Het hoogste energielabel in de straat is D; het laagste is G. Het gemiddelde energielabel is er D. Het adres Beukenlaan 1 heeft als status: 'verblijfsobject in gebruik (niet ingemeten)'. Het pand waarin dit adres ligt heeft als status: 'pand in gebruik (niet ingemeten)'.
Beukenlaan 1 is een adres gelegen in de gemeente Heerde, provincie Gelderland. Dit adres is geregistreerd in de Basisregistratie Adressen en Gebouwen (BAG) met als unieke identificatie 0246010000000482.
Het pand op Beukenlaan 1 is gebouwd in 1950, wat betekent dat het 76 jaar oud is. Dit is een ouder pand. Het pand heeft mogelijk aanzienlijke renovaties nodig om aan de huidige standaarden te voldoen.
De woning op Beukenlaan 1 heeft een gebruiksoppervlakte van 341 m². Dit is ruim vergeleken met de gemiddelde Nederlandse woning, die een oppervlakte heeft van ongeveer 119 m². De gebruiksoppervlakte is de maat die wordt gebruikt in de BAG-registratie, de landelijke registratie van de Nederlandse overheid.
Beukenlaan 1 heeft als functie: wonen. Deze gebruiksfunctie(s) zijn vastgelegd in de BAG-registratie en geven aan waarvoor het adres officieel mag worden gebruikt.
Beukenlaan 1 is gelegen op kadastraal perceel HDE00K6947. Deze kadastrale aanduiding is uniek en wordt gebruikt door het Kadaster om eigendomsrechten en andere zakelijke rechten vast te leggen. Het perceel maakt onderdeel uit van de kadastrale gemeente Heerde.
Het perceel waarop Beukenlaan 1 staat heeft een oppervlakte van 4585 m². Dit is een zeer groot perceel. De perceeloppervlakte wordt geregistreerd door het Kadaster. Gedetailleerde informatie over de maten van dit perceel kunt u vinden in het rapport Kadastrale kaart met maatvoering van Beukenlaan 1.
De eigenaar van Beukenlaan 1 is op te vragen op deze pagina.
De informatie over dit adres is afkomstig uit officiële overheidsregistraties, voornamelijk de Basisregistratie Adressen en Gebouwen (BAG) en de Basisregistratie Kadaster (BRK). Deze gegevens worden beheerd door respectievelijk gemeenten en het Kadaster, en worden regelmatig bijgewerkt. Energielabelgegevens komen uit de database van de Rijksdienst voor Ondernemend Nederland (RVO).
