
Het adres De Tichel 53 bevindt zich in de plaats Heerlen, in de gemeente Heerlen en de provincie Limburg. Het verblijfsobject is vergeleken met het Nederlandse gemiddelde aan de kleine kant: de oppervlakte is 69 m². Het perceel waarop het adres zich bevindt heeft een oppervlakte van 1,1 ha. Het adres is klein vergeleken met andere objecten in de straat. Het grootste object in de straat heeft een oppervlakte van 114 m², het kleinste is 61 m² groot. De meeste Nederlandse gebouwen zijn gebouwd in de periode 1965-1984. Zo ook het pand waarin De Tichel 53 ligt, dat gebouwd is in 1975. Gemiddeld zijn de gebouwen in de straat gebouwd in 1977. Dit is het oudste pand in de straat. Het meest recente komt uit het jaar 2024. Het verblijfsobject heeft de volgende gebruiksdoelen: 'woonfunctie'.
Deze woning is voor het laatst verkocht op 1 december 2017. Meer informatie over deze transactie? Bestel het Woningtransactierapport om de verkoopprijs en andere informatie te zien.
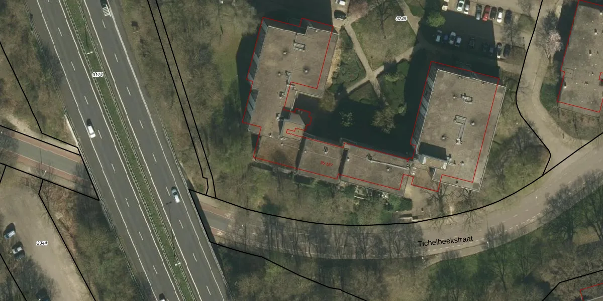
Het adres ligt op het perceel HLN01-H-3245, dat zich in de kadastrale gemeente Heerlen bevindt. De gemiddelde perceeloppervlakte in de kadastrale gemeente Heerlen is 1399,78 m². Dit perceel is met zijn 1,1 ha dus groter dan gemiddeld. De grootste perceeloppervlakte in de kadastrale gemeente is 86,1 ha. De kleinste oppervlakte bedraagt 0 m². Op het perceel liggen in totaal 133 adressen. In de Basisregistratie Kadaster (BRK) werden de grenzen van het perceel geregistreerd op 21-04-2009.
Er is geen energielabel geregistreerd voor het adres. Het hoogste energielabel in de straat is A; het laagste is G. Het gemiddelde energielabel is er B. Het adres De Tichel 53 heeft als status: 'verblijfsobject in gebruik'. Het pand waarin dit adres ligt heeft als status: 'pand in gebruik'.
De Tichel 53 is een adres gelegen in de gemeente Heerlen, provincie Limburg. Dit adres is geregistreerd in de Basisregistratie Adressen en Gebouwen (BAG) met als unieke identificatie 0917010000004192.
Het pand op De Tichel 53 is gebouwd in 1975, wat betekent dat het 51 jaar oud is. Dit is een ouder pand. Het pand heeft mogelijk aanzienlijke renovaties nodig om aan de huidige standaarden te voldoen.
De woning op De Tichel 53 heeft een gebruiksoppervlakte van 69 m². Dit is relatief klein vergeleken met de gemiddelde Nederlandse woning, die een oppervlakte heeft van ongeveer 119 m². De gebruiksoppervlakte is de maat die wordt gebruikt in de BAG-registratie, de landelijke registratie van de Nederlandse overheid.
De Tichel 53 heeft als functie: wonen. Deze gebruiksfunctie(s) zijn vastgelegd in de BAG-registratie en geven aan waarvoor het adres officieel mag worden gebruikt.
De Tichel 53 is gelegen op kadastraal perceel HLN01H3245. Deze kadastrale aanduiding is uniek en wordt gebruikt door het Kadaster om eigendomsrechten en andere zakelijke rechten vast te leggen. Het perceel maakt onderdeel uit van de kadastrale gemeente Heerlen.
Het perceel waarop De Tichel 53 staat heeft een oppervlakte van 1,1 ha. Dit is een zeer groot perceel. De perceeloppervlakte wordt geregistreerd door het Kadaster. Gedetailleerde informatie over de maten van dit perceel kunt u vinden in het rapport Kadastrale kaart met maatvoering van De Tichel 53.
De eigenaar van De Tichel 53 is op te vragen op deze pagina.
De informatie over dit adres is afkomstig uit officiële overheidsregistraties, voornamelijk de Basisregistratie Adressen en Gebouwen (BAG) en de Basisregistratie Kadaster (BRK). Deze gegevens worden beheerd door respectievelijk gemeenten en het Kadaster, en worden regelmatig bijgewerkt. Energielabelgegevens komen uit de database van de Rijksdienst voor Ondernemend Nederland (RVO).
