
Heibloemsedijk 11 is een adres in Heeswijk-Dinther, dat zich bevindt binnen de gemeentegrenzen van Heeswijk-Dinther en de grenzen van de provincie Noord-Brabant. De oppervlakte bedraagt 371 m², waarmee het adres groter dan gemiddeld is. De grootte van het perceel waarop het adres ligt is 6317 m². De oppervlakte van dit adres is groot vergeleken met de oppervlaktes van andere adressen in de straat. De kleinste oppervlakte bedraagt er 80 m², de grootste 1100 m². De meeste Nederlandse gebouwen zijn gebouwd in de periode 1965-1984. Zo ook het pand waarin Heibloemsedijk 11 ligt, dat gebouwd is in 1970. In de straat komt het nieuwste gebouw uit het jaar 2021 en het oudste uit 1895. Het bouwjaar van dit object is relatief oud. Het verblijfsobject heeft de volgende gebruiksdoelen: 'woonfunctie'.
Deze woning is voor het laatst verkocht op 1 maart 2021. Meer informatie over deze transactie? Bestel het Woningtransactierapport om de verkoopprijs en andere informatie te zien.
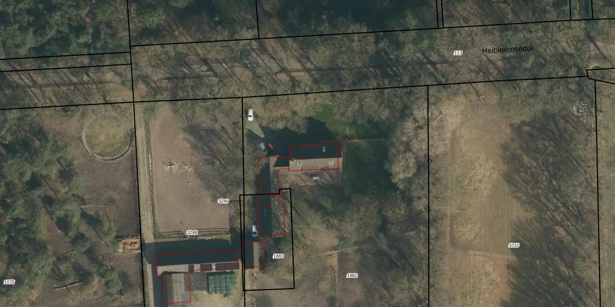
Het adres ligt op het perceel HWK02-D-1882, dat zich in de kadastrale gemeente Heeswijk-Dinther bevindt. De gemiddelde perceeloppervlakte in de kadastrale gemeente Heeswijk-Dinther is 4904,42 m². Dit perceel is met zijn 6317 m² dus groter dan gemiddeld. De grootste perceeloppervlakte in de kadastrale gemeente is 23,1 ha. De kleinste oppervlakte bedraagt 0 m². Er zijn geen andere adressen aanwezig op het perceel. De huidige grenzen van het perceel zijn digitaal in de Basisregistratie Kadaster (BRK) geregistreerd op 15-12-2021.
Het adres ligt in een gebouw van het type 'vrijstaande woning'. Bij de laatste meting is voor het adres het energielabel C geregistreerd. Het hoogste energielabel in de straat is A; het laagste is G. Het gemiddelde energielabel is er D. Het adres Heibloemsedijk 11 heeft als status: 'verblijfsobject in gebruik'. Het pand waarin dit adres ligt heeft als status: 'pand in gebruik'.
Heibloemsedijk 11 is een adres gelegen in de gemeente Bernheze, provincie Noord-Brabant. Dit adres is geregistreerd in de Basisregistratie Adressen en Gebouwen (BAG) met als unieke identificatie 1721010000007471.
Het pand op Heibloemsedijk 11 is gebouwd in 1970, wat betekent dat het 56 jaar oud is. Dit is een ouder pand. Het pand heeft mogelijk aanzienlijke renovaties nodig om aan de huidige standaarden te voldoen.
De woning op Heibloemsedijk 11 heeft een gebruiksoppervlakte van 371 m². Dit is ruim vergeleken met de gemiddelde Nederlandse woning, die een oppervlakte heeft van ongeveer 119 m². De gebruiksoppervlakte is de maat die wordt gebruikt in de BAG-registratie, de landelijke registratie van de Nederlandse overheid.
Heibloemsedijk 11 heeft als functie: wonen. Deze gebruiksfunctie(s) zijn vastgelegd in de BAG-registratie en geven aan waarvoor het adres officieel mag worden gebruikt.
Heibloemsedijk 11 is gelegen op kadastraal perceel HWK02D1882. Deze kadastrale aanduiding is uniek en wordt gebruikt door het Kadaster om eigendomsrechten en andere zakelijke rechten vast te leggen. Het perceel maakt onderdeel uit van de kadastrale gemeente Heeswijk-Dinther.
Het perceel waarop Heibloemsedijk 11 staat heeft een oppervlakte van 6317 m². Dit is een zeer groot perceel. De perceeloppervlakte wordt geregistreerd door het Kadaster. Gedetailleerde informatie over de maten van dit perceel kunt u vinden in het rapport Kadastrale kaart met maatvoering van Heibloemsedijk 11.
De eigenaar van Heibloemsedijk 11 is op te vragen op deze pagina.
De informatie over dit adres is afkomstig uit officiële overheidsregistraties, voornamelijk de Basisregistratie Adressen en Gebouwen (BAG) en de Basisregistratie Kadaster (BRK). Deze gegevens worden beheerd door respectievelijk gemeenten en het Kadaster, en worden regelmatig bijgewerkt. Energielabelgegevens komen uit de database van de Rijksdienst voor Ondernemend Nederland (RVO).
