
Het adres Spanjaardsdijk 29 bevindt zich in de plaats Heeten, in de gemeente Heeten en de provincie Overijssel. De oppervlakte van het object bedraagt 12 m². Dat is klein vergeleken met het Nederlandse gemiddelde. Het perceel waarop het adres ligt is 97 m² groot. In de straat is dit het kleinste object. Het grootste verblijfsobject heeft een oppervlakte van 545 m². De gemiddelde grootte is er 193 m². Het adres Spanjaardsdijk 29 ligt in een relatief oud pand uit het jaar 1964. Panden van vóór het jaar 1965 hebben we hier geclassificeerd als oud. Veel andere gebouwen in de straat zijn ouder dan dit pand. Het oudste pand komt uit het jaar 1900 en het nieuwste uit 2018. Het verblijfsobject heeft de volgende gebruiksdoelen: 'overige gebruiksfunctie'.
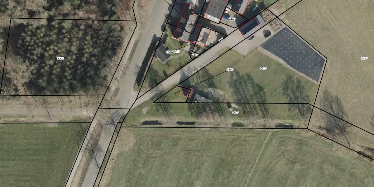
Het perceel waarop het adres ligt is RTE00-H-3360. De afkorting 'RTE00' staat voor kadastrale gemeente Raalte. Het perceel is kleiner dan gemiddeld in Raalte. Het perceel is 97 m² groot, terwijl het gemiddelde ligt op 6668,44 m². De grootste perceeloppervlakte in de kadastrale gemeente is 1,34 km². De kleinste oppervlakte bedraagt 0 m². Er zijn geen andere adressen aanwezig op het perceel. In de Basisregistratie Kadaster (BRK) werden de grenzen van het perceel geregistreerd op 25-04-2003.
Er is geen energielabel geregistreerd voor het adres. Het hoogste energielabel in de straat is A+; het laagste is G. Het gemiddelde energielabel is er C. Het adres Spanjaardsdijk 29 heeft als status: 'verblijfsobject in gebruik'. Het pand waarin dit adres ligt heeft als status: 'pand in gebruik'.
Spanjaardsdijk 29 is een adres gelegen in de gemeente Raalte, provincie Overijssel. Dit adres is geregistreerd in de Basisregistratie Adressen en Gebouwen (BAG) met als unieke identificatie 0177010000225386.
Het pand op Spanjaardsdijk 29 is gebouwd in 1964, wat betekent dat het 62 jaar oud is. Dit is een ouder pand. Het pand heeft mogelijk aanzienlijke renovaties nodig om aan de huidige standaarden te voldoen.
De woning op Spanjaardsdijk 29 heeft een gebruiksoppervlakte van 12 m². Dit is relatief klein vergeleken met de gemiddelde Nederlandse woning, die een oppervlakte heeft van ongeveer 119 m². De gebruiksoppervlakte is de maat die wordt gebruikt in de BAG-registratie, de landelijke registratie van de Nederlandse overheid.
Spanjaardsdijk 29 heeft als functie: overige doeleinden. Deze gebruiksfunctie(s) zijn vastgelegd in de BAG-registratie en geven aan waarvoor het adres officieel mag worden gebruikt.
Spanjaardsdijk 29 is gelegen op kadastraal perceel RTE00H3360. Deze kadastrale aanduiding is uniek en wordt gebruikt door het Kadaster om eigendomsrechten en andere zakelijke rechten vast te leggen. Het perceel maakt onderdeel uit van de kadastrale gemeente Raalte.
Het perceel waarop Spanjaardsdijk 29 staat heeft een oppervlakte van 97 m². Dit is een klein perceel. De perceeloppervlakte wordt geregistreerd door het Kadaster. Gedetailleerde informatie over de maten van dit perceel kunt u vinden in het rapport Kadastrale kaart met maatvoering van Spanjaardsdijk 29.
De eigenaar van Spanjaardsdijk 29 is op te vragen op deze pagina.
De informatie over dit adres is afkomstig uit officiële overheidsregistraties, voornamelijk de Basisregistratie Adressen en Gebouwen (BAG) en de Basisregistratie Kadaster (BRK). Deze gegevens worden beheerd door respectievelijk gemeenten en het Kadaster, en worden regelmatig bijgewerkt. Energielabelgegevens komen uit de database van de Rijksdienst voor Ondernemend Nederland (RVO).
