
Curtiuslaan 7 is een adres in Heiloo, dat zich bevindt binnen de gemeentegrenzen van Heiloo en de grenzen van de provincie Noord-Holland. De oppervlakte bedraagt 186 m², waarmee het adres groter dan gemiddeld is. De grootte van het perceel waarop het adres ligt is 1070 m². Het adres is klein vergeleken met andere objecten in de straat. Het grootste object in de straat heeft een oppervlakte van 362 m², het kleinste is 173 m² groot. Het adres Curtiuslaan 7 ligt in een relatief oud pand uit het jaar 1951. Panden van vóór het jaar 1965 hebben we hier geclassificeerd als oud. In de straat komt het nieuwste gebouw uit het jaar 2025 en het oudste uit 1930. Het bouwjaar van dit object is relatief oud. Het verblijfsobject heeft de volgende gebruiksdoelen: 'woonfunctie'.
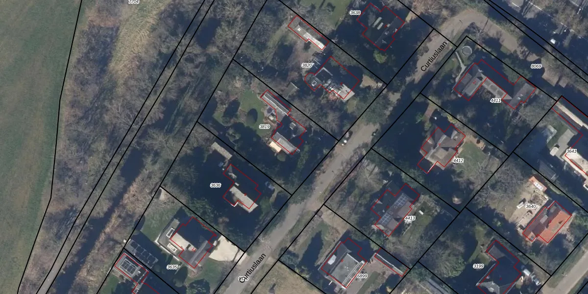
Het adres ligt op het perceel HLO00-A-3819, dat zich in de kadastrale gemeente Heiloo bevindt. Het perceel is kleiner dan gemiddeld in Heiloo. Het perceel is 1070 m² groot, terwijl het gemiddelde ligt op 1545,7 m². De grootste perceeloppervlakte in de kadastrale gemeente is 25,8 ha. De kleinste oppervlakte bedraagt 0 m². Er zijn geen andere adressen aanwezig op het perceel. De huidige grenzen van het perceel zijn digitaal in de Basisregistratie Kadaster (BRK) geregistreerd op 11-08-2003.
Het adres ligt in een gebouw van het type 'vrijstaande woning'. Bij de laatste meting is voor het adres het energielabel D geregistreerd. Het hoogste energielabel in de straat is C; het laagste is G. Het gemiddelde energielabel is er E. Het adres Curtiuslaan 7 heeft als status: 'verblijfsobject in gebruik'. Het pand waarin dit adres ligt heeft als status: 'pand in gebruik'.
Curtiuslaan 7 is een adres gelegen in de gemeente Heiloo, provincie Noord-Holland. Dit adres is geregistreerd in de Basisregistratie Adressen en Gebouwen (BAG) met als unieke identificatie 0399010000001144.
Het pand op Curtiuslaan 7 is gebouwd in 1951, wat betekent dat het 75 jaar oud is. Dit is een ouder pand. Het pand heeft mogelijk aanzienlijke renovaties nodig om aan de huidige standaarden te voldoen.
De woning op Curtiuslaan 7 heeft een gebruiksoppervlakte van 186 m². Dit is ruim vergeleken met de gemiddelde Nederlandse woning, die een oppervlakte heeft van ongeveer 119 m². De gebruiksoppervlakte is de maat die wordt gebruikt in de BAG-registratie, de landelijke registratie van de Nederlandse overheid.
Curtiuslaan 7 heeft als functie: wonen. Deze gebruiksfunctie(s) zijn vastgelegd in de BAG-registratie en geven aan waarvoor het adres officieel mag worden gebruikt.
Curtiuslaan 7 is gelegen op kadastraal perceel HLO00A3819. Deze kadastrale aanduiding is uniek en wordt gebruikt door het Kadaster om eigendomsrechten en andere zakelijke rechten vast te leggen. Het perceel maakt onderdeel uit van de kadastrale gemeente Heiloo.
Het perceel waarop Curtiuslaan 7 staat heeft een oppervlakte van 1070 m². Dit is een zeer groot perceel. De perceeloppervlakte wordt geregistreerd door het Kadaster. Gedetailleerde informatie over de maten van dit perceel kunt u vinden in het rapport Kadastrale kaart met maatvoering van Curtiuslaan 7.
De eigenaar van Curtiuslaan 7 is op te vragen op deze pagina.
De informatie over dit adres is afkomstig uit officiële overheidsregistraties, voornamelijk de Basisregistratie Adressen en Gebouwen (BAG) en de Basisregistratie Kadaster (BRK). Deze gegevens worden beheerd door respectievelijk gemeenten en het Kadaster, en worden regelmatig bijgewerkt. Energielabelgegevens komen uit de database van de Rijksdienst voor Ondernemend Nederland (RVO).
