
Het adres Opzoomerlaan 113-a bevindt zich in de plaats Hellevoetsluis, in de gemeente Hellevoetsluis en de provincie Zuid-Holland. De oppervlakte bedraagt 203 m², waarmee het adres groter dan gemiddeld is. De grootte van het perceel waarop het adres ligt is 318 m². Vergeleken met de andere verblijfsobjecten in de straat is dit object groot. De oppervlakte van het grootste object in de straat is 839 m², die van het kleinste bedraagt 47 m². Het adres Opzoomerlaan 113-a ligt in een relatief oud pand uit het jaar 1866. Panden van vóór het jaar 1965 hebben we hier geclassificeerd als oud. In de straat komt het nieuwste gebouw uit het jaar 2012 en het oudste uit 1665. Het bouwjaar van dit object is relatief oud. Het verblijfsobject heeft de volgende gebruiksdoelen: 'winkelfunctie'.
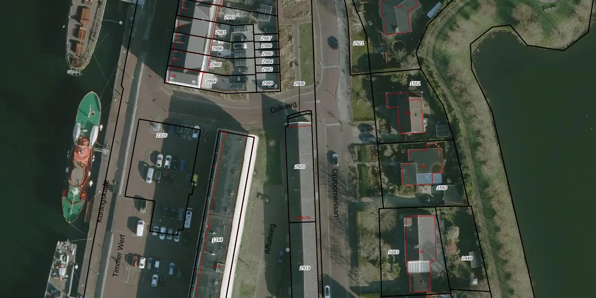
Het adres is gelegen op perceel 2920 in de sectie A en de kadastrale gemeente Hellevoetsluis. De kadastrale aanduiding is aldus HLV01-A-2920. Het perceel is kleiner dan gemiddeld in Hellevoetsluis. Het perceel is 318 m² groot, terwijl het gemiddelde ligt op 2833,39 m². De grootste perceeloppervlakte in de kadastrale gemeente is 7,30 km². De kleinste oppervlakte bedraagt 0 m². Op het perceel zijn 3 adressen aanwezig. In de Basisregistratie Kadaster (BRK) werden de grenzen van het perceel geregistreerd op 31-07-2018.
Er is geen energielabel geregistreerd voor het adres. Het hoogste energielabel in de straat is A+; het laagste is G. Het gemiddelde energielabel is er B. Het adres Opzoomerlaan 113-a heeft als status: 'verblijfsobject in gebruik'. Het pand waarin dit adres ligt heeft als status: 'pand in gebruik'.
Opzoomerlaan 113-a is een adres gelegen in de gemeente Voorne aan Zee, provincie Zuid-Holland. Dit adres is geregistreerd in de Basisregistratie Adressen en Gebouwen (BAG) met als unieke identificatie 0530010002125380.
Het pand op Opzoomerlaan 113-a is gebouwd in 1866, wat betekent dat het 160 jaar oud is. Dit is een ouder pand. Het pand heeft mogelijk aanzienlijke renovaties nodig om aan de huidige standaarden te voldoen.
De woning op Opzoomerlaan 113-a heeft een gebruiksoppervlakte van 203 m². Dit is ruim vergeleken met de gemiddelde Nederlandse woning, die een oppervlakte heeft van ongeveer 119 m². De gebruiksoppervlakte is de maat die wordt gebruikt in de BAG-registratie, de landelijke registratie van de Nederlandse overheid.
Opzoomerlaan 113-a heeft als functie: winkel/handel. Deze gebruiksfunctie(s) zijn vastgelegd in de BAG-registratie en geven aan waarvoor het adres officieel mag worden gebruikt.
Opzoomerlaan 113-a is gelegen op kadastraal perceel HLV01A2920. Deze kadastrale aanduiding is uniek en wordt gebruikt door het Kadaster om eigendomsrechten en andere zakelijke rechten vast te leggen. Het perceel maakt onderdeel uit van de kadastrale gemeente Hellevoetsluis.
Het perceel waarop Opzoomerlaan 113-a staat heeft een oppervlakte van 318 m². Dit is een groot perceel. De perceeloppervlakte wordt geregistreerd door het Kadaster. Gedetailleerde informatie over de maten van dit perceel kunt u vinden in het rapport Kadastrale kaart met maatvoering van Opzoomerlaan 113-a.
De eigenaar van Opzoomerlaan 113-a is op te vragen op deze pagina
De informatie over dit adres is afkomstig uit officiële overheidsregistraties, voornamelijk de Basisregistratie Adressen en Gebouwen (BAG) en de Basisregistratie Kadaster (BRK). Deze gegevens worden beheerd door respectievelijk gemeenten en het Kadaster, en worden regelmatig bijgewerkt. Energielabelgegevens komen uit de database van de Rijksdienst voor Ondernemend Nederland (RVO).
