
Het adres Aarle-Rixtelseweg 111 bevindt zich in de plaats Helmond, in de gemeente Helmond en de provincie Noord-Brabant. Het perceel waarop het verblijfsobject staat is 693 m² groot. De oppervlakte van het adres is 120 m², wat zich rond het Nederlandse gemiddelde van 119 m² bevindt. De oppervlakte van het adres is klein vergeleken met de andere objecten in de straat. De oppervlakte van het kleinste object in de straat bedraagt 4 m², terwijl het grootste object 896 m² groot is. Het adres Aarle-Rixtelseweg 111 ligt in een relatief oud pand uit het jaar 1936. Panden van vóór het jaar 1965 hebben we hier geclassificeerd als oud. In de straat komt het nieuwste gebouw uit het jaar 2023 en het oudste uit 1870. Het bouwjaar van dit object is relatief oud. Voor het verblijfsobject gelden deze gebruiksdoelen: 'woonfunctie'.
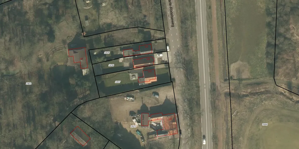
Het adres is gelegen op perceel 1837 in de sectie L en de kadastrale gemeente Helmond. De kadastrale aanduiding is aldus HMD00-L-1837. De gemiddelde perceelgrootte in Helmond is 1470,79 m². Dit perceel is kleiner: de perceeloppervlakte bedraagt 693 m². De grootste perceeloppervlakte in de kadastrale gemeente is 1,14 km². De kleinste oppervlakte bedraagt 0 m². Er zijn geen andere adressen aanwezig op het perceel. In de Basisregistratie Kadaster (BRK) werden de grenzen van het perceel geregistreerd op 16-07-2024.
Er is geen energielabel geregistreerd voor het adres. Het hoogste energielabel in de straat is A++++; het laagste is G. Het gemiddelde energielabel is er D. Het adres Aarle-Rixtelseweg 111 heeft als status: 'verblijfsobject in gebruik'. Het pand waarin dit adres ligt heeft als status: 'pand in gebruik'.
Aarle-Rixtelseweg 111 is een adres gelegen in de gemeente Helmond, provincie Noord-Brabant. Dit adres is geregistreerd in de Basisregistratie Adressen en Gebouwen (BAG) met als unieke identificatie 0794010000103980.
Het pand op Aarle-Rixtelseweg 111 is gebouwd in 1936, wat betekent dat het 90 jaar oud is. Dit is een ouder pand. Het pand heeft mogelijk aanzienlijke renovaties nodig om aan de huidige standaarden te voldoen.
De woning op Aarle-Rixtelseweg 111 heeft een gebruiksoppervlakte van 120 m². Dit is gemiddeld vergeleken met de gemiddelde Nederlandse woning, die een oppervlakte heeft van ongeveer 119 m². De gebruiksoppervlakte is de maat die wordt gebruikt in de BAG-registratie, de landelijke registratie van de Nederlandse overheid.
Aarle-Rixtelseweg 111 heeft als functie: wonen. Deze gebruiksfunctie(s) zijn vastgelegd in de BAG-registratie en geven aan waarvoor het adres officieel mag worden gebruikt.
Aarle-Rixtelseweg 111 is gelegen op kadastraal perceel HMD00L1837. Deze kadastrale aanduiding is uniek en wordt gebruikt door het Kadaster om eigendomsrechten en andere zakelijke rechten vast te leggen. Het perceel maakt onderdeel uit van de kadastrale gemeente Helmond.
Het perceel waarop Aarle-Rixtelseweg 111 staat heeft een oppervlakte van 693 m². Dit is een groot perceel. De perceeloppervlakte wordt geregistreerd door het Kadaster. Gedetailleerde informatie over de maten van dit perceel kunt u vinden in het rapport Kadastrale kaart met maatvoering van Aarle-Rixtelseweg 111.
De eigenaar van Aarle-Rixtelseweg 111 is op te vragen op deze pagina.
De informatie over dit adres is afkomstig uit officiƫle overheidsregistraties, voornamelijk de Basisregistratie Adressen en Gebouwen (BAG) en de Basisregistratie Kadaster (BRK). Deze gegevens worden beheerd door respectievelijk gemeenten en het Kadaster, en worden regelmatig bijgewerkt. Energielabelgegevens komen uit de database van de Rijksdienst voor Ondernemend Nederland (RVO).
