
Alphonsusplantsoen 116 is een adres in Helmond, dat zich bevindt binnen de gemeentegrenzen van Helmond en de grenzen van de provincie Noord-Brabant. Het perceel waarop het adres gelegen is heeft een oppervlakte van 1576 m². Het verblijfsobject is met 57 m² relatief klein. Dit is het kleinste object van de straat. De gemiddelde oppervlakte van verblijfsobjecten is er 58 m². De grootste oppervlakte in de straat is 70 m². In het jaar 1987 is het pand waarin Alphonsusplantsoen 116 ligt gebouwd. Dat is relatief recent: de meeste gebouwen in Nederland zijn gebouwd in de periode 1965-1984. Het gemiddelde bouwjaar in de straat is 1987 en dat van het oudste pand is 1987. Dit is het nieuwste object in de straat. Voor het verblijfsobject gelden deze gebruiksdoelen: 'woonfunctie'.
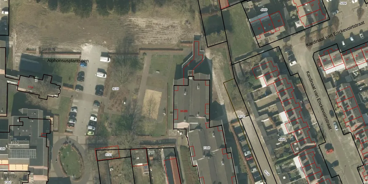
Het adres is gelegen op perceel 7348 in de sectie T en de kadastrale gemeente Helmond. De kadastrale aanduiding is aldus HMD00-T-7348. Het perceel is met 1576 m² relatief groot. Het gemiddelde ligt in de kadastrale gemeente Helmond op 1470,79 m². De grootste perceeloppervlakte in de kadastrale gemeente is 1,14 km². De kleinste oppervlakte bedraagt 0 m². Er zijn 51 adressen aanwezig op het perceel. De huidige grenzen van het perceel zijn digitaal in de Basisregistratie Kadaster (BRK) geregistreerd op 10-09-2009.
Er is geen energielabel geregistreerd voor het adres. Het hoogste energielabel in de straat is G; het laagste is G. Het gemiddelde energielabel is er G. Het adres Alphonsusplantsoen 116 heeft als status: 'verblijfsobject in gebruik'. Het pand waarin dit adres ligt heeft als status: 'pand in gebruik'.
Alphonsusplantsoen 116 is een adres gelegen in de gemeente Helmond, provincie Noord-Brabant. Dit adres is geregistreerd in de Basisregistratie Adressen en Gebouwen (BAG) met als unieke identificatie 0794010000104005.
Het pand op Alphonsusplantsoen 116 is gebouwd in 1987, wat betekent dat het 39 jaar oud is. Dit is een pand van middelbare leeftijd. Het pand is van gemiddelde leeftijd en zal waarschijnlijk verouderde elementen bevatten.
De woning op Alphonsusplantsoen 116 heeft een gebruiksoppervlakte van 57 m². Dit is relatief klein vergeleken met de gemiddelde Nederlandse woning, die een oppervlakte heeft van ongeveer 119 m². De gebruiksoppervlakte is de maat die wordt gebruikt in de BAG-registratie, de landelijke registratie van de Nederlandse overheid.
Alphonsusplantsoen 116 heeft als functie: wonen. Deze gebruiksfunctie(s) zijn vastgelegd in de BAG-registratie en geven aan waarvoor het adres officieel mag worden gebruikt.
Alphonsusplantsoen 116 is gelegen op kadastraal perceel HMD00T7348. Deze kadastrale aanduiding is uniek en wordt gebruikt door het Kadaster om eigendomsrechten en andere zakelijke rechten vast te leggen. Het perceel maakt onderdeel uit van de kadastrale gemeente Helmond.
Het perceel waarop Alphonsusplantsoen 116 staat heeft een oppervlakte van 1576 m². Dit is een zeer groot perceel. De perceeloppervlakte wordt geregistreerd door het Kadaster. Gedetailleerde informatie over de maten van dit perceel kunt u vinden in het rapport Kadastrale kaart met maatvoering van Alphonsusplantsoen 116.
De eigenaar van Alphonsusplantsoen 116 is op te vragen op deze pagina.
De informatie over dit adres is afkomstig uit officiële overheidsregistraties, voornamelijk de Basisregistratie Adressen en Gebouwen (BAG) en de Basisregistratie Kadaster (BRK). Deze gegevens worden beheerd door respectievelijk gemeenten en het Kadaster, en worden regelmatig bijgewerkt. Energielabelgegevens komen uit de database van de Rijksdienst voor Ondernemend Nederland (RVO).
