
de Wilmskamp 1 is een adres in Hengelo, dat zich bevindt binnen de gemeentegrenzen van Hengelo en de grenzen van de provincie Overijssel. De oppervlakte van het verblijfsobject is met 239 m² aan de grote kant. Het perceel heeft een oppervlakte van 895 m². Vergeleken met de andere verblijfsobjecten in de straat is dit object groot. De oppervlakte van het grootste object in de straat is 412 m², die van het kleinste bedraagt 8 m². De gemiddelde bouwperiode van gebouwen in Nederland ligt tussen de jaren 1965-1984. Dat geldt ook voor het bouwjaar van de Wilmskamp 1: het is gebouwd in het jaar 1967. Gemiddeld zijn de gebouwen in de straat gebouwd in 1977. Dit is het oudste pand in de straat. Het meest recente komt uit het jaar 1977. De volgende gebruiksdoelen zijn geregistreerd voor dit adres: 'woonfunctie'.
Deze woning is voor het laatst verkocht op 1 december 2006. Meer informatie over deze transactie? Bestel het Woningtransactierapport om de verkoopprijs en andere informatie te zien.
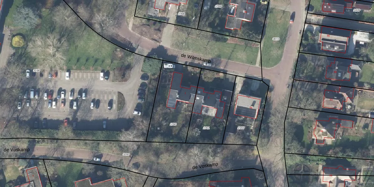
Het adres is gelegen op perceel 1760 in de sectie M en de kadastrale gemeente Hengelo Overijssel. De kadastrale aanduiding is aldus HGL01-M-1760. Het perceel is 895 m² groot. Dat is kleiner dan de gemiddelde perceeloppervlakte in Hengelo Overijssel, dat op 1639,76 m² ligt. Het kleinste perceel in de kadastrale gemeente is 0 m² groot. De grootste perceeloppervlakte is 57,4 ha. Op het perceel bevinden zich geen andere adressen. De huidige grenzen van het perceel zijn digitaal in de Basisregistratie Kadaster (BRK) geregistreerd op 07-04-2003.
Er is geen energielabel geregistreerd voor het adres. Het hoogste energielabel in de straat is A+; het laagste is G. Het gemiddelde energielabel is er B. Het adres de Wilmskamp 1 heeft als status: 'verblijfsobject in gebruik'. Het pand waarin dit adres ligt heeft als status: 'pand in gebruik'.
de Wilmskamp 1 is een adres gelegen in de gemeente Hengelo, provincie Overijssel. Dit adres is geregistreerd in de Basisregistratie Adressen en Gebouwen (BAG) met als unieke identificatie 0164010000005110.
Het pand op de Wilmskamp 1 is gebouwd in 1967, wat betekent dat het 59 jaar oud is. Dit is een ouder pand. Het pand heeft mogelijk aanzienlijke renovaties nodig om aan de huidige standaarden te voldoen.
De woning op de Wilmskamp 1 heeft een gebruiksoppervlakte van 239 m². Dit is ruim vergeleken met de gemiddelde Nederlandse woning, die een oppervlakte heeft van ongeveer 119 m². De gebruiksoppervlakte is de maat die wordt gebruikt in de BAG-registratie, de landelijke registratie van de Nederlandse overheid.
de Wilmskamp 1 heeft als functie: wonen. Deze gebruiksfunctie(s) zijn vastgelegd in de BAG-registratie en geven aan waarvoor het adres officieel mag worden gebruikt.
de Wilmskamp 1 is gelegen op kadastraal perceel HGL01M1760. Deze kadastrale aanduiding is uniek en wordt gebruikt door het Kadaster om eigendomsrechten en andere zakelijke rechten vast te leggen. Het perceel maakt onderdeel uit van de kadastrale gemeente Hengelo Overijssel.
Het perceel waarop de Wilmskamp 1 staat heeft een oppervlakte van 895 m². Dit is een groot perceel. De perceeloppervlakte wordt geregistreerd door het Kadaster. Gedetailleerde informatie over de maten van dit perceel kunt u vinden in het rapport Kadastrale kaart met maatvoering van de Wilmskamp 1.
De eigenaar van de Wilmskamp 1 is op te vragen op deze pagina.
De informatie over dit adres is afkomstig uit officiële overheidsregistraties, voornamelijk de Basisregistratie Adressen en Gebouwen (BAG) en de Basisregistratie Kadaster (BRK). Deze gegevens worden beheerd door respectievelijk gemeenten en het Kadaster, en worden regelmatig bijgewerkt. Energielabelgegevens komen uit de database van de Rijksdienst voor Ondernemend Nederland (RVO).
