
Kroeskarperstraat 32 is gelegen in de plaats Hengelo, de gemeente Hengelo en de provincie Overijssel. De oppervlakte van het verblijfsobject is met 201 m² aan de grote kant. Het perceel heeft een oppervlakte van 277 m². Het adres is klein vergeleken met andere objecten in de straat. Het grootste object in de straat heeft een oppervlakte van 1990 m², het kleinste is 185 m² groot. Kroeskarperstraat 32 ligt in een gebouw uit het jaar 2003. Daarmee behoort het tot de groep panden van na 1984, die we als relatief nieuw bestempelen. Dit object is relatief nieuw in de straat. Het nieuwste gebouw komt er uit het jaar 2015 en het oudste uit het jaar 1957. De volgende gebruiksdoelen zijn geregistreerd voor dit adres: 'woonfunctie'.
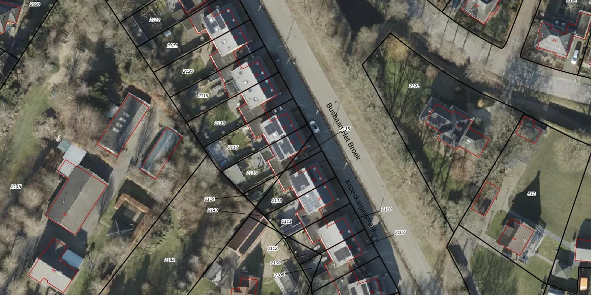
Het adres ligt op het perceel HGL01-U-2116, dat zich in de kadastrale gemeente Hengelo Overijssel bevindt. Het perceel is 277 m² groot. Dat is kleiner dan de gemiddelde perceeloppervlakte in Hengelo Overijssel, dat op 1639,63 m² ligt. Het grootste perceel in de kadastrale gemeente is 57,4 ha. Het kleinste perceel heeft een oppervlakte van 0 m². Op het perceel bevinden zich geen andere adressen. De laatste wijziging in het de Basisregistratie Kadaster (BRK) was op 27-09-2012.
Het adres ligt in een gebouw van het type 'twee-onder-een-kap / rijwoning hoek met het subtype twee-onder-een-kap'. Bij de laatste meting is voor het adres het energielabel A geregistreerd. Het hoogste energielabel in de straat is A+++; het laagste is G. Het gemiddelde energielabel is er A. Het adres Kroeskarperstraat 32 heeft als status: 'verblijfsobject in gebruik'. Het pand waarin dit adres ligt heeft als status: 'pand in gebruik'.
Kroeskarperstraat 32 is een adres gelegen in de gemeente Hengelo, provincie Overijssel. Dit adres is geregistreerd in de Basisregistratie Adressen en Gebouwen (BAG) met als unieke identificatie 0164010000041534.
Het pand op Kroeskarperstraat 32 is gebouwd in 2003, wat betekent dat het 23 jaar oud is. Dit is een relatief modern pand. Ten opzichte van de nationale woningvoorraad is het pand relatief modern, maar er kunnen enkele verouderde elementen zijn die aandacht nodig hebben.
De woning op Kroeskarperstraat 32 heeft een gebruiksoppervlakte van 201 m². Dit is ruim vergeleken met de gemiddelde Nederlandse woning, die een oppervlakte heeft van ongeveer 119 m². De gebruiksoppervlakte is de maat die wordt gebruikt in de BAG-registratie, de landelijke registratie van de Nederlandse overheid.
Kroeskarperstraat 32 heeft als functie: wonen. Deze gebruiksfunctie(s) zijn vastgelegd in de BAG-registratie en geven aan waarvoor het adres officieel mag worden gebruikt.
Kroeskarperstraat 32 is gelegen op kadastraal perceel HGL01U2116. Deze kadastrale aanduiding is uniek en wordt gebruikt door het Kadaster om eigendomsrechten en andere zakelijke rechten vast te leggen. Het perceel maakt onderdeel uit van de kadastrale gemeente Hengelo Overijssel.
Het perceel waarop Kroeskarperstraat 32 staat heeft een oppervlakte van 277 m². Dit is een middelgroot perceel. De perceeloppervlakte wordt geregistreerd door het Kadaster. Gedetailleerde informatie over de maten van dit perceel kunt u vinden in het rapport Kadastrale kaart met maatvoering van Kroeskarperstraat 32.
De eigenaar van Kroeskarperstraat 32 is op te vragen op deze pagina.
De informatie over dit adres is afkomstig uit officiële overheidsregistraties, voornamelijk de Basisregistratie Adressen en Gebouwen (BAG) en de Basisregistratie Kadaster (BRK). Deze gegevens worden beheerd door respectievelijk gemeenten en het Kadaster, en worden regelmatig bijgewerkt. Energielabelgegevens komen uit de database van de Rijksdienst voor Ondernemend Nederland (RVO).
