
Zaagstraat 1-13 is een adres in Hengelo, dat zich bevindt binnen de gemeentegrenzen van Hengelo en de grenzen van de provincie Overijssel. De oppervlakte bedraagt 262 m², waarmee het adres groter dan gemiddeld is. De grootte van het perceel waarop het adres ligt is 575 m². De oppervlakte van het adres is klein vergeleken met de andere objecten in de straat. De oppervlakte van het kleinste object in de straat bedraagt 46 m², terwijl het grootste object 1575 m² groot is. In het jaar 2005 is het pand waarin Zaagstraat 1-13 ligt gebouwd. Dat is relatief recent: de meeste gebouwen in Nederland zijn gebouwd in de periode 1965-1984. In de straat is dit het nieuwste pand en stamt het oudste object uit het jaar 1965. Het gemiddelde bouwjaar in de straat is 1977. Het verblijfsobject heeft de volgende gebruiksdoelen: 'winkelfunctie'.
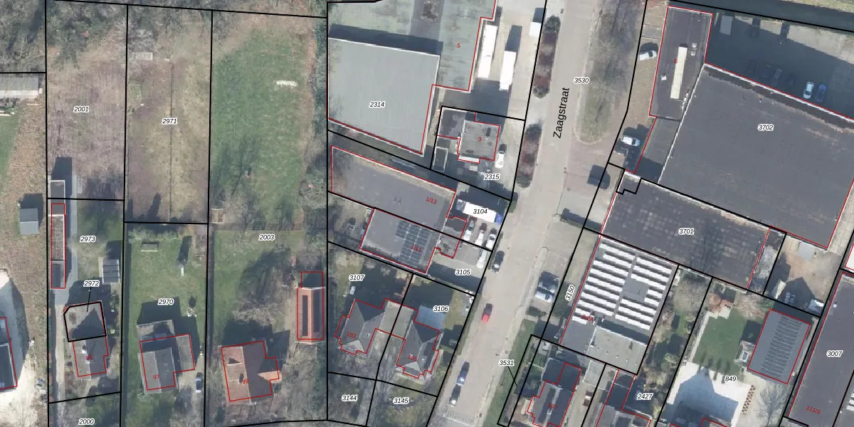
Het adres is gelegen op perceel 3104 in de sectie P en de kadastrale gemeente Hengelo Overijssel. De kadastrale aanduiding is aldus HGL01-P-3104. Het perceel is kleiner dan gemiddeld in Hengelo Overijssel. Het perceel is 575 m² groot, terwijl het gemiddelde ligt op 1639,76 m². De grootste perceeloppervlakte in de kadastrale gemeente is 57,4 ha. De kleinste oppervlakte bedraagt 0 m². Er zijn geen andere adressen aanwezig op het perceel. De huidige grenzen van het perceel zijn digitaal in de Basisregistratie Kadaster (BRK) geregistreerd op 09-01-2006.
Er is geen energielabel geregistreerd voor het adres. Het hoogste energielabel in de straat is A; het laagste is G. Het gemiddelde energielabel is er A. Het adres Zaagstraat 1-13 heeft als status: 'verblijfsobject in gebruik'. Het pand waarin dit adres ligt heeft als status: 'pand in gebruik'.
Zaagstraat 1-13 is een adres gelegen in de gemeente Hengelo, provincie Overijssel. Dit adres is geregistreerd in de Basisregistratie Adressen en Gebouwen (BAG) met als unieke identificatie 0164010000026453.
Het pand op Zaagstraat 1-13 is gebouwd in 2005, wat betekent dat het 21 jaar oud is. Dit is een relatief modern pand. Ten opzichte van de nationale woningvoorraad is het pand relatief modern, maar er kunnen enkele verouderde elementen zijn die aandacht nodig hebben.
De woning op Zaagstraat 1-13 heeft een gebruiksoppervlakte van 262 m². Dit is ruim vergeleken met de gemiddelde Nederlandse woning, die een oppervlakte heeft van ongeveer 119 m². De gebruiksoppervlakte is de maat die wordt gebruikt in de BAG-registratie, de landelijke registratie van de Nederlandse overheid.
Zaagstraat 1-13 heeft als functie: winkel/handel. Deze gebruiksfunctie(s) zijn vastgelegd in de BAG-registratie en geven aan waarvoor het adres officieel mag worden gebruikt.
Zaagstraat 1-13 is gelegen op kadastraal perceel HGL01P3104. Deze kadastrale aanduiding is uniek en wordt gebruikt door het Kadaster om eigendomsrechten en andere zakelijke rechten vast te leggen. Het perceel maakt onderdeel uit van de kadastrale gemeente Hengelo Overijssel.
Het perceel waarop Zaagstraat 1-13 staat heeft een oppervlakte van 575 m². Dit is een groot perceel. De perceeloppervlakte wordt geregistreerd door het Kadaster. Gedetailleerde informatie over de maten van dit perceel kunt u vinden in het rapport Kadastrale kaart met maatvoering van Zaagstraat 1-13.
De eigenaar van Zaagstraat 1-13 is op te vragen op deze pagina.
De informatie over dit adres is afkomstig uit officiële overheidsregistraties, voornamelijk de Basisregistratie Adressen en Gebouwen (BAG) en de Basisregistratie Kadaster (BRK). Deze gegevens worden beheerd door respectievelijk gemeenten en het Kadaster, en worden regelmatig bijgewerkt. Energielabelgegevens komen uit de database van de Rijksdienst voor Ondernemend Nederland (RVO).
