
Het adres Bosscherhof 1-K122 bevindt zich in de plaats Herkenbosch, in de gemeente Herkenbosch en de provincie Limburg. De oppervlakte van het object bedraagt 47 m². Dat is klein vergeleken met het Nederlandse gemiddelde. Het perceel waarop het adres ligt is 5460 m² groot. De oppervlakte van het adres is klein vergeleken met de andere objecten in de straat. De oppervlakte van het kleinste object in de straat bedraagt 24 m², terwijl het grootste object 3016 m² groot is. Het pand waarin Bosscherhof 1-K122 ligt is gebouwd in het jaar 2007. Panden die gebouwd zijn na het jaar 1984 noemen we hier relatief nieuw. In de straat is dit het nieuwste pand en stamt het oudste object uit het jaar 1982. Het gemiddelde bouwjaar in de straat is 2002. Voor het verblijfsobject gelden deze gebruiksdoelen: 'woonfunctie' en 'gezondheidszorgfunctie'.
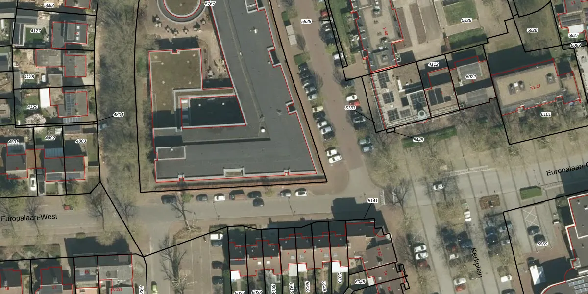
Het adres is gelegen op perceel 5767 in de sectie A en de kadastrale gemeente Melick en Herkenbosch. De kadastrale aanduiding is aldus MLK00-A-5767. Het perceel is met 5460 m² relatief groot. Het gemiddelde ligt in de kadastrale gemeente Melick en Herkenbosch op 4462,63 m². Het kleinste perceel in de kadastrale gemeente is 0 m² groot. De grootste perceeloppervlakte is 94,0 ha. Op het perceel zijn 67 adressen aanwezig. In de Basisregistratie Kadaster (BRK) werden de grenzen van het perceel geregistreerd op 04-11-2011.
Er is geen energielabel geregistreerd voor het adres. Het hoogste energielabel in de straat is A+; het laagste is G. Het gemiddelde energielabel is er A. Het adres Bosscherhof 1-K122 heeft als status: 'verblijfsobject in gebruik'. Het pand waarin dit adres ligt heeft als status: 'pand in gebruik'.
Bosscherhof 1-K122 is een adres gelegen in de gemeente Roerdalen, provincie Limburg. Dit adres is geregistreerd in de Basisregistratie Adressen en Gebouwen (BAG) met als unieke identificatie 1669010000238530.
Het pand op Bosscherhof 1-K122 is gebouwd in 2007, wat betekent dat het 19 jaar oud is. Dit is een relatief modern pand. Ten opzichte van de nationale woningvoorraad is het pand relatief modern, maar er kunnen enkele verouderde elementen zijn die aandacht nodig hebben.
De woning op Bosscherhof 1-K122 heeft een gebruiksoppervlakte van 47 m². Dit is relatief klein vergeleken met de gemiddelde Nederlandse woning, die een oppervlakte heeft van ongeveer 119 m². De gebruiksoppervlakte is de maat die wordt gebruikt in de BAG-registratie, de landelijke registratie van de Nederlandse overheid.
Bosscherhof 1-K122 heeft als functie: wonen en gezondheidszorg. Deze gebruiksfunctie(s) zijn vastgelegd in de BAG-registratie en geven aan waarvoor het adres officieel mag worden gebruikt.
Bosscherhof 1-K122 is gelegen op kadastraal perceel MLK00A5767. Deze kadastrale aanduiding is uniek en wordt gebruikt door het Kadaster om eigendomsrechten en andere zakelijke rechten vast te leggen. Het perceel maakt onderdeel uit van de kadastrale gemeente Melick en Herkenbosch.
Het perceel waarop Bosscherhof 1-K122 staat heeft een oppervlakte van 5460 m². Dit is een zeer groot perceel. De perceeloppervlakte wordt geregistreerd door het Kadaster. Gedetailleerde informatie over de maten van dit perceel kunt u vinden in het rapport Kadastrale kaart met maatvoering van Bosscherhof 1-K122.
De eigenaar van Bosscherhof 1-K122 is op te vragen op deze pagina.
De informatie over dit adres is afkomstig uit officiële overheidsregistraties, voornamelijk de Basisregistratie Adressen en Gebouwen (BAG) en de Basisregistratie Kadaster (BRK). Deze gegevens worden beheerd door respectievelijk gemeenten en het Kadaster, en worden regelmatig bijgewerkt. Energielabelgegevens komen uit de database van de Rijksdienst voor Ondernemend Nederland (RVO).
