
Steenovenlaan 20 is een adres in Heteren, dat zich bevindt binnen de gemeentegrenzen van Heteren en de grenzen van de provincie Gelderland. De oppervlakte bedraagt 212 m², waarmee het adres groter dan gemiddeld is. De grootte van het perceel waarop het adres ligt is 645 m². Vergeleken met de andere verblijfsobjecten in de straat is dit object groot. De oppervlakte van het grootste object in de straat is 559 m², die van het kleinste bedraagt 134 m². In het jaar 2007 is het pand waarin Steenovenlaan 20 ligt gebouwd. Dat is relatief recent: de meeste gebouwen in Nederland zijn gebouwd in de periode 1965-1984. In de straat is dit het nieuwste pand en stamt het oudste object uit het jaar 1999. Het gemiddelde bouwjaar in de straat is 2001. Het verblijfsobject heeft de volgende gebruiksdoelen: 'woonfunctie'.
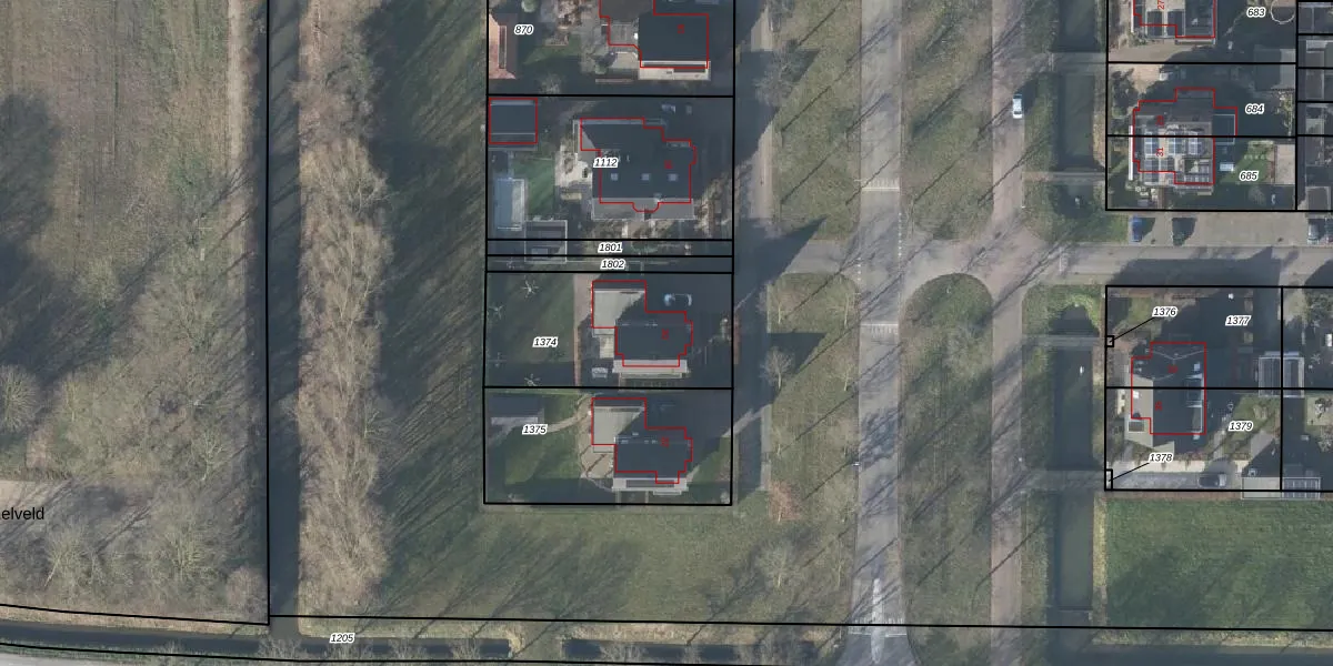
Het adres is gelegen op perceel 1374 in de sectie F en de kadastrale gemeente Heteren. De kadastrale aanduiding is aldus HTR00-F-1374. Het perceel is kleiner dan gemiddeld in Heteren. Het perceel is 645 m² groot, terwijl het gemiddelde ligt op 5524,4 m². De grootste perceeloppervlakte in de kadastrale gemeente is 55,5 ha. De kleinste oppervlakte bedraagt 1 m². Er zijn geen andere adressen aanwezig op het perceel. De huidige grenzen van het perceel zijn digitaal in de Basisregistratie Kadaster (BRK) geregistreerd op 05-10-2022.
Er is geen energielabel geregistreerd voor het adres. Het hoogste energielabel in de straat is A; het laagste is G. Het gemiddelde energielabel is er A. Het adres Steenovenlaan 20 heeft als status: 'verblijfsobject in gebruik'. Het pand waarin dit adres ligt heeft als status: 'pand in gebruik'.
Steenovenlaan 20 is een adres gelegen in de gemeente Overbetuwe, provincie Gelderland. Dit adres is geregistreerd in de Basisregistratie Adressen en Gebouwen (BAG) met als unieke identificatie 1734010000041316.
Het pand op Steenovenlaan 20 is gebouwd in 2007, wat betekent dat het 19 jaar oud is. Dit is een relatief modern pand. Ten opzichte van de nationale woningvoorraad is het pand relatief modern, maar er kunnen enkele verouderde elementen zijn die aandacht nodig hebben.
De woning op Steenovenlaan 20 heeft een gebruiksoppervlakte van 212 m². Dit is ruim vergeleken met de gemiddelde Nederlandse woning, die een oppervlakte heeft van ongeveer 119 m². De gebruiksoppervlakte is de maat die wordt gebruikt in de BAG-registratie, de landelijke registratie van de Nederlandse overheid.
Steenovenlaan 20 heeft als functie: wonen. Deze gebruiksfunctie(s) zijn vastgelegd in de BAG-registratie en geven aan waarvoor het adres officieel mag worden gebruikt.
Steenovenlaan 20 is gelegen op kadastraal perceel HTR00F1374. Deze kadastrale aanduiding is uniek en wordt gebruikt door het Kadaster om eigendomsrechten en andere zakelijke rechten vast te leggen. Het perceel maakt onderdeel uit van de kadastrale gemeente Heteren.
Het perceel waarop Steenovenlaan 20 staat heeft een oppervlakte van 645 m². Dit is een groot perceel. De perceeloppervlakte wordt geregistreerd door het Kadaster. Gedetailleerde informatie over de maten van dit perceel kunt u vinden in het rapport Kadastrale kaart met maatvoering van Steenovenlaan 20.
De eigenaar van Steenovenlaan 20 is op te vragen op deze pagina.
De informatie over dit adres is afkomstig uit officiële overheidsregistraties, voornamelijk de Basisregistratie Adressen en Gebouwen (BAG) en de Basisregistratie Kadaster (BRK). Deze gegevens worden beheerd door respectievelijk gemeenten en het Kadaster, en worden regelmatig bijgewerkt. Energielabelgegevens komen uit de database van de Rijksdienst voor Ondernemend Nederland (RVO).
