
Het adres Uilenburgsestraat 5-29 bevindt zich in de plaats Heteren, in de gemeente Heteren en de provincie Gelderland. Het perceel waarop het adres gelegen is heeft een oppervlakte van 4,0 ha. Het verblijfsobject is met 45 m² relatief klein. Het object is klein ten opzichte van de andere adressen in de straat. Het grootste verblijfsobject is 1404 m² groot en het kleinste is 25 m². Uilenburgsestraat 5-29 ligt in een gebouw uit het jaar 1995. Daarmee behoort het tot de groep panden van na 1984, die we als relatief nieuw bestempelen. Vergeleken met de andere panden in de straat is dit gebouw nieuw. Het vroegste bouwjaar is er 1750 en het laatste is 2017. De volgende gebruiksdoelen zijn geregistreerd voor dit adres: 'logiesfunctie'.
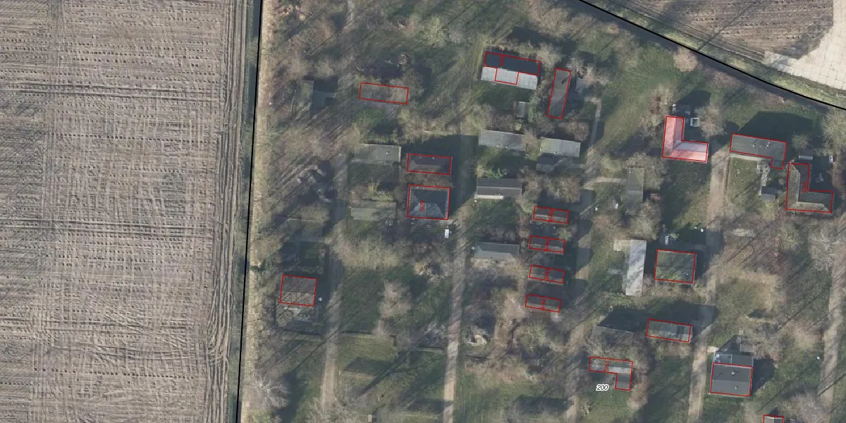
Het perceel waarop het adres ligt is HTR00-F-200. De afkorting 'HTR00' staat voor kadastrale gemeente Heteren. De oppervlakte van het perceel is 4,0 ha. Dat is groter dan gemiddeld in Heteren, waar de gemiddelde perceeloppervlakte op 5525,45 m² ligt. Het grootste perceel in de kadastrale gemeente is 55,5 ha. Het kleinste perceel heeft een oppervlakte van 1 m². Er zijn 16 adressen aanwezig op het perceel. In de Basisregistratie Kadaster (BRK) werden de grenzen van het perceel geregistreerd op 22-06-1999.
Er is geen energielabel geregistreerd voor het adres. Het hoogste energielabel in de straat is A; het laagste is G. Het gemiddelde energielabel is er C. Het adres Uilenburgsestraat 5-29 heeft als status: 'verblijfsobject in gebruik'. Het pand waarin dit adres ligt heeft als status: 'pand in gebruik'.
Uilenburgsestraat 5-29 is een adres gelegen in de gemeente Overbetuwe, provincie Gelderland. Dit adres is geregistreerd in de Basisregistratie Adressen en Gebouwen (BAG) met als unieke identificatie 1734016000000198.
Het pand op Uilenburgsestraat 5-29 is gebouwd in 1995, wat betekent dat het 31 jaar oud is. Dit is een pand van middelbare leeftijd. Het pand is van gemiddelde leeftijd en zal waarschijnlijk verouderde elementen bevatten.
De woning op Uilenburgsestraat 5-29 heeft een gebruiksoppervlakte van 45 m². Dit is relatief klein vergeleken met de gemiddelde Nederlandse woning, die een oppervlakte heeft van ongeveer 119 m². De gebruiksoppervlakte is de maat die wordt gebruikt in de BAG-registratie, de landelijke registratie van de Nederlandse overheid.
Uilenburgsestraat 5-29 heeft als functie: logies/verblijf. Deze gebruiksfunctie(s) zijn vastgelegd in de BAG-registratie en geven aan waarvoor het adres officieel mag worden gebruikt.
Uilenburgsestraat 5-29 is gelegen op kadastraal perceel HTR00F200. Deze kadastrale aanduiding is uniek en wordt gebruikt door het Kadaster om eigendomsrechten en andere zakelijke rechten vast te leggen. Het perceel maakt onderdeel uit van de kadastrale gemeente Heteren.
Het perceel waarop Uilenburgsestraat 5-29 staat heeft een oppervlakte van 4,0 ha. Dit is een zeer groot perceel. De perceeloppervlakte wordt geregistreerd door het Kadaster. Gedetailleerde informatie over de maten van dit perceel kunt u vinden in het rapport Kadastrale kaart met maatvoering van Uilenburgsestraat 5-29.
De eigenaar van Uilenburgsestraat 5-29 is op te vragen op deze pagina.
De informatie over dit adres is afkomstig uit officiële overheidsregistraties, voornamelijk de Basisregistratie Adressen en Gebouwen (BAG) en de Basisregistratie Kadaster (BRK). Deze gegevens worden beheerd door respectievelijk gemeenten en het Kadaster, en worden regelmatig bijgewerkt. Energielabelgegevens komen uit de database van de Rijksdienst voor Ondernemend Nederland (RVO).
