
Vosseneindseweg 46-R242 is gelegen in de plaats Heumen, de gemeente Heumen en de provincie Gelderland. Het verblijfsobject is vergeleken met het Nederlandse gemiddelde aan de kleine kant: de oppervlakte is 44 m². Het perceel waarop het adres zich bevindt heeft een oppervlakte van 14,3 ha. De oppervlakte van het adres is klein vergeleken met de andere objecten in de straat. De oppervlakte van het kleinste object in de straat bedraagt 5 m², terwijl het grootste object 984 m² groot is. Vosseneindseweg 46-R242 ligt in een gebouw uit het jaar 2011. Daarmee behoort het tot de groep panden van na 1984, die we als relatief nieuw bestempelen. Dit object is relatief nieuw in de straat. Het nieuwste gebouw komt er uit het jaar 2024 en het oudste uit het jaar 1779. Voor het verblijfsobject gelden deze gebruiksdoelen: 'logiesfunctie'.
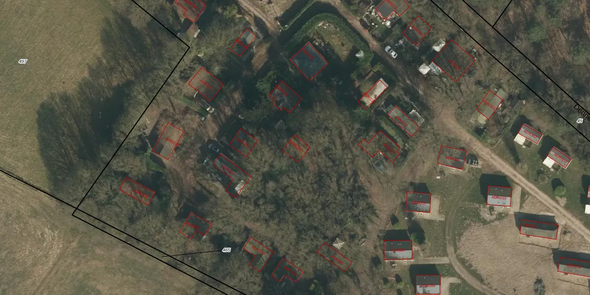
Het adres is gelegen op perceel 364 in de sectie I en de kadastrale gemeente Heumen. De kadastrale aanduiding is aldus HMN01-I-364. Het perceel is met 14,3 ha relatief groot. Het gemiddelde ligt in de kadastrale gemeente Heumen op 2941,35 m². Het grootste perceel in de kadastrale gemeente is 50,5 ha. Het kleinste perceel heeft een oppervlakte van 0 m². Op het perceel liggen in totaal 198 adressen. De laatste wijziging in het de Basisregistratie Kadaster (BRK) was op 29-09-2004.
Er is geen energielabel geregistreerd voor het adres. Het hoogste energielabel in de straat is A; het laagste is G. Het gemiddelde energielabel is er C. Het adres Vosseneindseweg 46-R242 heeft als status: 'verblijfsobject in gebruik'. Het pand waarin dit adres ligt heeft als status: 'pand in gebruik'.
Vosseneindseweg 46-R242 is een adres gelegen in de gemeente Heumen, provincie Gelderland. Dit adres is geregistreerd in de Basisregistratie Adressen en Gebouwen (BAG) met als unieke identificatie 0252010000020065.
Het pand op Vosseneindseweg 46-R242 is gebouwd in 2011, wat betekent dat het 15 jaar oud is. Dit is een relatief modern pand. Ten opzichte van de nationale woningvoorraad is het pand relatief modern, maar er kunnen enkele verouderde elementen zijn die aandacht nodig hebben.
De woning op Vosseneindseweg 46-R242 heeft een gebruiksoppervlakte van 44 m². Dit is relatief klein vergeleken met de gemiddelde Nederlandse woning, die een oppervlakte heeft van ongeveer 119 m². De gebruiksoppervlakte is de maat die wordt gebruikt in de BAG-registratie, de landelijke registratie van de Nederlandse overheid.
Vosseneindseweg 46-R242 heeft als functie: logies/verblijf. Deze gebruiksfunctie(s) zijn vastgelegd in de BAG-registratie en geven aan waarvoor het adres officieel mag worden gebruikt.
Vosseneindseweg 46-R242 is gelegen op kadastraal perceel HMN01I364. Deze kadastrale aanduiding is uniek en wordt gebruikt door het Kadaster om eigendomsrechten en andere zakelijke rechten vast te leggen. Het perceel maakt onderdeel uit van de kadastrale gemeente Heumen.
Het perceel waarop Vosseneindseweg 46-R242 staat heeft een oppervlakte van 14,3 ha. Dit is een zeer groot perceel. De perceeloppervlakte wordt geregistreerd door het Kadaster. Gedetailleerde informatie over de maten van dit perceel kunt u vinden in het rapport Kadastrale kaart met maatvoering van Vosseneindseweg 46-R242.
De eigenaar van Vosseneindseweg 46-R242 is op te vragen op deze pagina.
De informatie over dit adres is afkomstig uit officiële overheidsregistraties, voornamelijk de Basisregistratie Adressen en Gebouwen (BAG) en de Basisregistratie Kadaster (BRK). Deze gegevens worden beheerd door respectievelijk gemeenten en het Kadaster, en worden regelmatig bijgewerkt. Energielabelgegevens komen uit de database van de Rijksdienst voor Ondernemend Nederland (RVO).
