
Zomerweg 5-B is gelegen in de plaats Hierden, de gemeente Harderwijk en de provincie Gelderland. De oppervlakte van het object bedraagt 44 m². Dat is klein vergeleken met het Nederlandse gemiddelde. Het perceel waarop het adres ligt is 5540 m² groot. Het object is klein ten opzichte van de andere adressen in de straat. Het grootste verblijfsobject is 360 m² groot en het kleinste is 41 m². In Nederland komt het grootste deel van de gebouwen uit de periode 1965-1984. Ook het bouwjaar van Zomerweg 5-B is afkomstig uit die periode: het betreft namelijk een pand uit 1970. In de straat komt het nieuwste gebouw uit het jaar 2026 en het oudste uit 1938. Het bouwjaar van dit object is relatief oud. Voor het verblijfsobject gelden deze gebruiksdoelen: 'woonfunctie'.
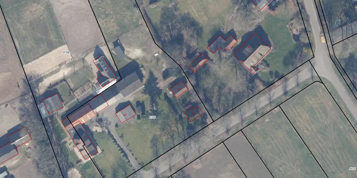
Het perceel waarop het adres ligt is HDW00-B-6709. De afkorting 'HDW00' staat voor kadastrale gemeente Harderwijk. Het perceel is met 5540 m² relatief groot. Het gemiddelde ligt in de kadastrale gemeente Harderwijk op 2356,71 m². Het grootste perceel in de kadastrale gemeente is 1,96 km². Het kleinste perceel heeft een oppervlakte van 0 m². Op het perceel zijn 4 adressen aanwezig. De laatste wijziging in het de Basisregistratie Kadaster (BRK) was op 16-09-2004.
Er is geen energielabel geregistreerd voor het adres. Het hoogste energielabel in de straat is C; het laagste is G. Het gemiddelde energielabel is er C. Het adres Zomerweg 5-B heeft als status: 'verblijfsobject in gebruik'. Het pand waarin dit adres ligt heeft als status: 'pand in gebruik'.
Zomerweg 5-B is een adres gelegen in de gemeente Harderwijk, provincie Gelderland. Dit adres is geregistreerd in de Basisregistratie Adressen en Gebouwen (BAG) met als unieke identificatie 0243010001377265.
Het pand op Zomerweg 5-B is gebouwd in 1970, wat betekent dat het 56 jaar oud is. Dit is een ouder pand. Het pand heeft mogelijk aanzienlijke renovaties nodig om aan de huidige standaarden te voldoen.
De woning op Zomerweg 5-B heeft een gebruiksoppervlakte van 44 m². Dit is relatief klein vergeleken met de gemiddelde Nederlandse woning, die een oppervlakte heeft van ongeveer 119 m². De gebruiksoppervlakte is de maat die wordt gebruikt in de BAG-registratie, de landelijke registratie van de Nederlandse overheid.
Zomerweg 5-B heeft als functie: wonen. Deze gebruiksfunctie(s) zijn vastgelegd in de BAG-registratie en geven aan waarvoor het adres officieel mag worden gebruikt.
Zomerweg 5-B is gelegen op kadastraal perceel HDW00B6709. Deze kadastrale aanduiding is uniek en wordt gebruikt door het Kadaster om eigendomsrechten en andere zakelijke rechten vast te leggen. Het perceel maakt onderdeel uit van de kadastrale gemeente Harderwijk.
Het perceel waarop Zomerweg 5-B staat heeft een oppervlakte van 5540 m². Dit is een zeer groot perceel. De perceeloppervlakte wordt geregistreerd door het Kadaster. Gedetailleerde informatie over de maten van dit perceel kunt u vinden in het rapport Kadastrale kaart met maatvoering van Zomerweg 5-B.
De eigenaar van Zomerweg 5-B is op te vragen op deze pagina.
De informatie over dit adres is afkomstig uit officiële overheidsregistraties, voornamelijk de Basisregistratie Adressen en Gebouwen (BAG) en de Basisregistratie Kadaster (BRK). Deze gegevens worden beheerd door respectievelijk gemeenten en het Kadaster, en worden regelmatig bijgewerkt. Energielabelgegevens komen uit de database van de Rijksdienst voor Ondernemend Nederland (RVO).
