
Hoog Spul 9-A is een adres in Hilvarenbeek, dat zich bevindt binnen de gemeentegrenzen van Hilvarenbeek en de grenzen van de provincie Noord-Brabant. De oppervlakte van het verblijfsobject is met 308 m² aan de grote kant. Het perceel heeft een oppervlakte van 1521 m². Het adres is klein vergeleken met andere objecten in de straat. Het grootste object in de straat heeft een oppervlakte van 708 m², het kleinste is 53 m² groot. Hoog Spul 9-A bevindt zich in een pand uit het jaar 1953. Daarmee behoort het tot de groep relatief oude panden in Nederland die gebouwd zijn vóór 1965. Het nieuwste gebouw in de straat komt uit 2019 en het oudste uit 1930. Dit object is relatief oud. De volgende gebruiksdoelen zijn geregistreerd voor dit adres: 'industriefunctie'.
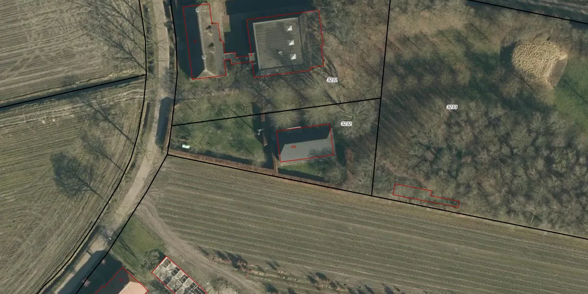
Het adres ligt op het perceel HVR00-P-3232, dat zich in de kadastrale gemeente Hilvarenbeek bevindt. Het perceel is 1521 m² groot. Dat is kleiner dan de gemiddelde perceeloppervlakte in Hilvarenbeek, dat op 1,0 ha ligt. Het grootste perceel in de kadastrale gemeente is 3,92 km². Het kleinste perceel heeft een oppervlakte van 0 m². Op het perceel bevinden zich geen andere adressen. De huidige grenzen van het perceel zijn digitaal in de Basisregistratie Kadaster (BRK) geregistreerd op 08-05-2024.
Het adres ligt in een gebouw van het type 'vrijstaande woning'. Bij de laatste meting is voor het adres het energielabel B geregistreerd. Het hoogste energielabel in de straat is A; het laagste is G. Het gemiddelde energielabel is er B. Het adres Hoog Spul 9-A heeft als status: 'verblijfsobject in gebruik'. Het pand waarin dit adres ligt heeft als status: 'pand in gebruik'.
Hoog Spul 9-A is een adres gelegen in de gemeente Hilvarenbeek, provincie Noord-Brabant. Dit adres is geregistreerd in de Basisregistratie Adressen en Gebouwen (BAG) met als unieke identificatie 0798010000003008.
Het pand op Hoog Spul 9-A is gebouwd in 1953, wat betekent dat het 73 jaar oud is. Dit is een ouder pand. Het pand heeft mogelijk aanzienlijke renovaties nodig om aan de huidige standaarden te voldoen.
De woning op Hoog Spul 9-A heeft een gebruiksoppervlakte van 308 m². Dit is ruim vergeleken met de gemiddelde Nederlandse woning, die een oppervlakte heeft van ongeveer 119 m². De gebruiksoppervlakte is de maat die wordt gebruikt in de BAG-registratie, de landelijke registratie van de Nederlandse overheid.
Hoog Spul 9-A heeft als functie: industrie. Deze gebruiksfunctie(s) zijn vastgelegd in de BAG-registratie en geven aan waarvoor het adres officieel mag worden gebruikt.
Hoog Spul 9-A is gelegen op kadastraal perceel HVR00P3232. Deze kadastrale aanduiding is uniek en wordt gebruikt door het Kadaster om eigendomsrechten en andere zakelijke rechten vast te leggen. Het perceel maakt onderdeel uit van de kadastrale gemeente Hilvarenbeek.
Het perceel waarop Hoog Spul 9-A staat heeft een oppervlakte van 1521 m². Dit is een zeer groot perceel. De perceeloppervlakte wordt geregistreerd door het Kadaster. Gedetailleerde informatie over de maten van dit perceel kunt u vinden in het rapport Kadastrale kaart met maatvoering van Hoog Spul 9-A.
De eigenaar van Hoog Spul 9-A is op te vragen op deze pagina.
De informatie over dit adres is afkomstig uit officiële overheidsregistraties, voornamelijk de Basisregistratie Adressen en Gebouwen (BAG) en de Basisregistratie Kadaster (BRK). Deze gegevens worden beheerd door respectievelijk gemeenten en het Kadaster, en worden regelmatig bijgewerkt. Energielabelgegevens komen uit de database van de Rijksdienst voor Ondernemend Nederland (RVO).
