
Het adres Wolvenlaan 263 bevindt zich in de plaats Hilversum, in de gemeente Hilversum en de provincie Noord-Holland. De oppervlakte van het object bedraagt 52 m². Dat is klein vergeleken met het Nederlandse gemiddelde. Het perceel waarop het adres ligt is 1525 m² groot. Het object is klein ten opzichte van de andere adressen in de straat. Het grootste verblijfsobject is 158 m² groot en het kleinste is 15 m². Het adres Wolvenlaan 263 ligt in een relatief oud pand uit het jaar 1959. Panden van vóór het jaar 1965 hebben we hier geclassificeerd als oud. Dit is het oudste object in de straat. Het nieuwste pand komt uit 1993 en het gemiddelde bouwjaar in de straat is 1963. De volgende gebruiksdoelen zijn geregistreerd voor dit adres: 'woonfunctie'.
Deze woning is voor het laatst verkocht op 1 oktober 2000. Meer informatie over deze transactie? Bestel het Woningtransactierapport om de verkoopprijs en andere informatie te zien.
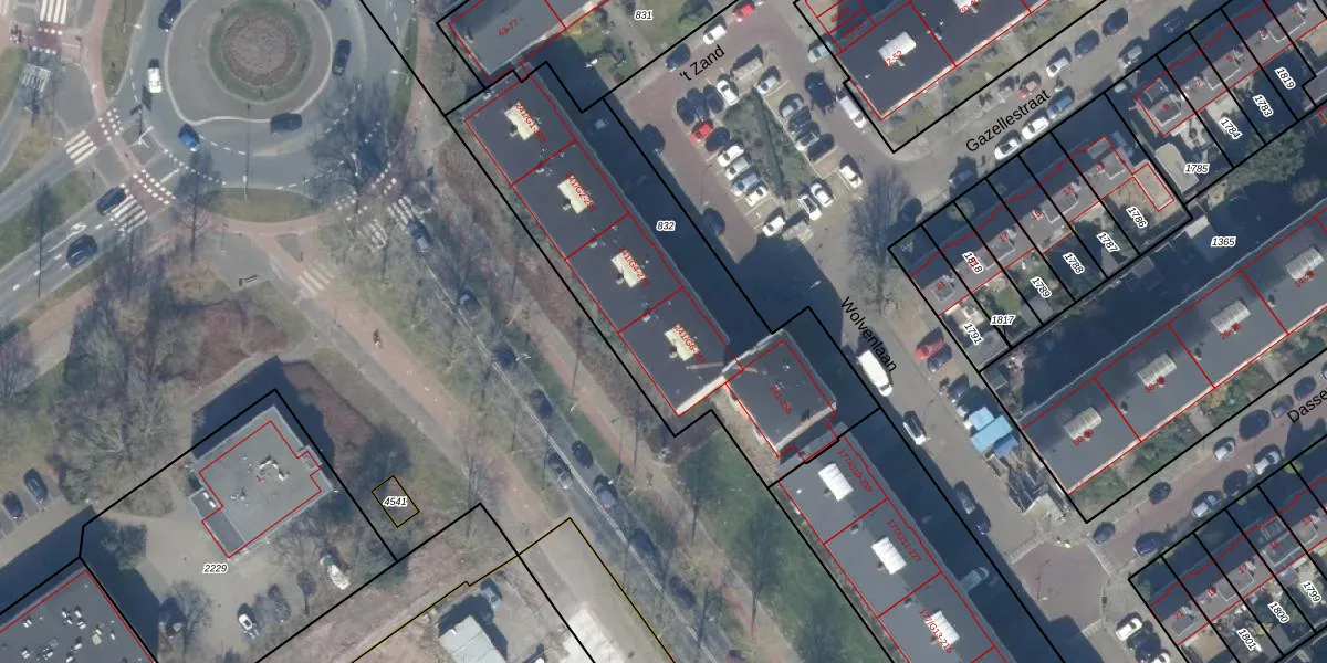
Het perceel waarop het adres ligt is HVS00-O-832. De afkorting 'HVS00' staat voor kadastrale gemeente Hilversum. De oppervlakte van het perceel is 1525 m². Dat is groter dan gemiddeld in Hilversum, waar de gemiddelde perceeloppervlakte op 1394,51 m² ligt. De grootste perceeloppervlakte in de kadastrale gemeente is 91,7 ha. De kleinste oppervlakte bedraagt 0 m². Op het perceel zijn 40 adressen aanwezig. In de Basisregistratie Kadaster (BRK) werden de grenzen van het perceel geregistreerd op 12-11-2009.
Er is geen energielabel geregistreerd voor het adres. Het hoogste energielabel in de straat is A; het laagste is G. Het gemiddelde energielabel is er D. Het adres Wolvenlaan 263 heeft als status: 'verblijfsobject in gebruik'. Het pand waarin dit adres ligt heeft als status: 'pand in gebruik'.
Wolvenlaan 263 is een adres gelegen in de gemeente Hilversum, provincie Noord-Holland. Dit adres is geregistreerd in de Basisregistratie Adressen en Gebouwen (BAG) met als unieke identificatie 0402010001584774.
Het pand op Wolvenlaan 263 is gebouwd in 1959, wat betekent dat het 67 jaar oud is. Dit is een ouder pand. Het pand heeft mogelijk aanzienlijke renovaties nodig om aan de huidige standaarden te voldoen.
De woning op Wolvenlaan 263 heeft een gebruiksoppervlakte van 52 m². Dit is relatief klein vergeleken met de gemiddelde Nederlandse woning, die een oppervlakte heeft van ongeveer 119 m². De gebruiksoppervlakte is de maat die wordt gebruikt in de BAG-registratie, de landelijke registratie van de Nederlandse overheid.
Wolvenlaan 263 heeft als functie: wonen. Deze gebruiksfunctie(s) zijn vastgelegd in de BAG-registratie en geven aan waarvoor het adres officieel mag worden gebruikt.
Wolvenlaan 263 is gelegen op kadastraal perceel HVS00O832. Deze kadastrale aanduiding is uniek en wordt gebruikt door het Kadaster om eigendomsrechten en andere zakelijke rechten vast te leggen. Het perceel maakt onderdeel uit van de kadastrale gemeente Hilversum.
Het perceel waarop Wolvenlaan 263 staat heeft een oppervlakte van 1525 m². Dit is een zeer groot perceel. De perceeloppervlakte wordt geregistreerd door het Kadaster. Gedetailleerde informatie over de maten van dit perceel kunt u vinden in het rapport Kadastrale kaart met maatvoering van Wolvenlaan 263.
De eigenaar van Wolvenlaan 263 is op te vragen op deze pagina.
De informatie over dit adres is afkomstig uit officiële overheidsregistraties, voornamelijk de Basisregistratie Adressen en Gebouwen (BAG) en de Basisregistratie Kadaster (BRK). Deze gegevens worden beheerd door respectievelijk gemeenten en het Kadaster, en worden regelmatig bijgewerkt. Energielabelgegevens komen uit de database van de Rijksdienst voor Ondernemend Nederland (RVO).
