
Miggelenbergweg 29-3 is een adres in Hoenderloo, dat zich bevindt binnen de gemeentegrenzen van Hoenderloo en de grenzen van de provincie Gelderland. Het verblijfsobject is vergeleken met het Nederlandse gemiddelde aan de kleine kant: de oppervlakte is 29 m². Het perceel waarop het adres zich bevindt heeft een oppervlakte van 5330 m². Het object is klein ten opzichte van de andere adressen in de straat. Het grootste verblijfsobject is 418 m² groot en het kleinste is 19 m². Het adres Miggelenbergweg 29-3 ligt in een relatief oud pand uit het jaar null. Panden van vóór het jaar 1965 hebben we hier geclassificeerd als oud. Gemiddeld zijn de gebouwen in de straat gebouwd in 1988. Dit is het oudste pand in de straat. Het meest recente komt uit het jaar 2026. Voor het verblijfsobject gelden deze gebruiksdoelen: 'standplaats'.
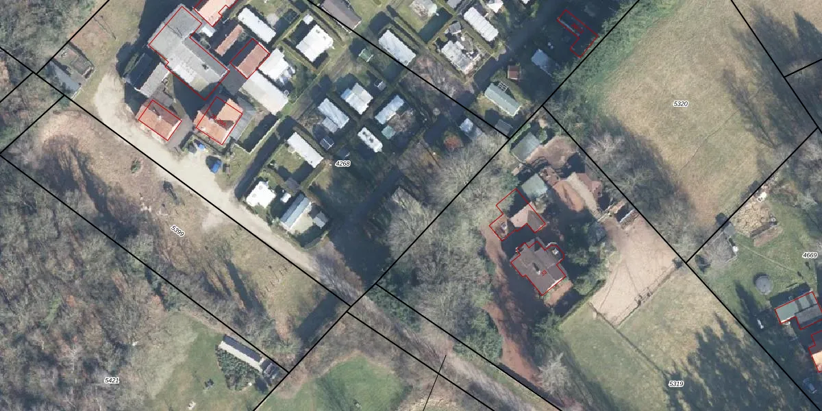
Het perceel waarop het adres ligt is BBG01-F-4268. De afkorting 'BBG01' staat voor kadastrale gemeente Beekbergen. De gemiddelde perceelgrootte in Beekbergen is 9059,24 m². Dit perceel is kleiner: de perceeloppervlakte bedraagt 5330 m². De grootste perceeloppervlakte in de kadastrale gemeente is 1,65 km². De kleinste oppervlakte bedraagt 0 m². Op het perceel liggen in totaal 14 adressen. De huidige grenzen van het perceel zijn digitaal in de Basisregistratie Kadaster (BRK) geregistreerd op 25-09-2000.
Er is geen energielabel geregistreerd voor het adres. Het hoogste energielabel in de straat is A++; het laagste is G. Het gemiddelde energielabel is er C. Het adres Miggelenbergweg 29-3 heeft als status: 'plaats aangewezen'. Het pand waarin dit adres ligt heeft als status: 'undefined'.
Miggelenbergweg 29-3 is een adres gelegen in de gemeente Apeldoorn, provincie Gelderland. Dit adres is geregistreerd in de Basisregistratie Adressen en Gebouwen (BAG) met als unieke identificatie 0200030003977779.
De woning op Miggelenbergweg 29-3 heeft een gebruiksoppervlakte van 29 m². Dit is relatief klein vergeleken met de gemiddelde Nederlandse woning, die een oppervlakte heeft van ongeveer 119 m². De gebruiksoppervlakte is de maat die wordt gebruikt in de BAG-registratie, de landelijke registratie van de Nederlandse overheid.
Miggelenbergweg 29-3 heeft als functie: standplaats. Deze gebruiksfunctie(s) zijn vastgelegd in de BAG-registratie en geven aan waarvoor het adres officieel mag worden gebruikt.
Miggelenbergweg 29-3 is gelegen op kadastraal perceel BBG01F4268. Deze kadastrale aanduiding is uniek en wordt gebruikt door het Kadaster om eigendomsrechten en andere zakelijke rechten vast te leggen. Het perceel maakt onderdeel uit van de kadastrale gemeente Beekbergen.
Het perceel waarop Miggelenbergweg 29-3 staat heeft een oppervlakte van 5330 m². Dit is een zeer groot perceel. De perceeloppervlakte wordt geregistreerd door het Kadaster. Gedetailleerde informatie over de maten van dit perceel kunt u vinden in het rapport Kadastrale kaart met maatvoering van Miggelenbergweg 29-3.
De eigenaar van Miggelenbergweg 29-3 is op te vragen op deze pagina.
De informatie over dit adres is afkomstig uit officiële overheidsregistraties, voornamelijk de Basisregistratie Adressen en Gebouwen (BAG) en de Basisregistratie Kadaster (BRK). Deze gegevens worden beheerd door respectievelijk gemeenten en het Kadaster, en worden regelmatig bijgewerkt. Energielabelgegevens komen uit de database van de Rijksdienst voor Ondernemend Nederland (RVO).
