
Scheidingsweg 9-0106 is een adres in Hoevelaken, dat zich bevindt binnen de gemeentegrenzen van Hoevelaken en de grenzen van de provincie Gelderland. De oppervlakte van het verblijfsobject is met 188 m² aan de grote kant. Het perceel heeft een oppervlakte van 3,6 ha. In vergelijking met de andere adressen in de straat is de oppervlakte van dit object relatief groot. Het grootste verblijfsobject heeft een oppervlakte van 262 m², de oppervlakte van het kleinste object bedraagt 107 m². Scheidingsweg 9-0106 bevindt zich in een pand uit het jaar null. Daarmee behoort het tot de groep relatief oude panden in Nederland die gebouwd zijn vóór 1965. Gemiddeld zijn de gebouwen in de straat gebouwd in 1969. Dit is het oudste pand in de straat. Het meest recente komt uit het jaar 1969. Het verblijfsobject heeft de volgende gebruiksdoelen: 'standplaats'.
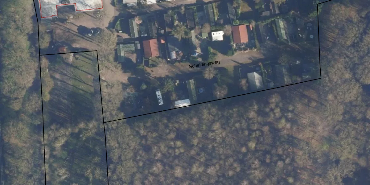
Het perceel waarop het adres ligt is HVL00-A-1475. De afkorting 'HVL00' staat voor kadastrale gemeente Hoevelaken. De gemiddelde perceeloppervlakte in de kadastrale gemeente Hoevelaken is 1355,39 m². Dit perceel is met zijn 3,6 ha dus groter dan gemiddeld. Het grootste perceel in de kadastrale gemeente is 16,6 ha. Het kleinste perceel heeft een oppervlakte van 0 m². Op het perceel liggen in totaal 94 adressen. De huidige grenzen van het perceel zijn digitaal in de Basisregistratie Kadaster (BRK) geregistreerd op 20-10-2010.
Er is geen energielabel geregistreerd voor het adres. Het hoogste energielabel in de straat is G; het laagste is G. Het gemiddelde energielabel is er G. Het adres Scheidingsweg 9-0106 heeft als status: 'plaats aangewezen'. Het pand waarin dit adres ligt heeft als status: 'undefined'.
Scheidingsweg 9-0106 is een adres gelegen in de gemeente Nijkerk, provincie Gelderland. Dit adres is geregistreerd in de Basisregistratie Adressen en Gebouwen (BAG) met als unieke identificatie 0267030000000851.
De woning op Scheidingsweg 9-0106 heeft een gebruiksoppervlakte van 188 m². Dit is ruim vergeleken met de gemiddelde Nederlandse woning, die een oppervlakte heeft van ongeveer 119 m². De gebruiksoppervlakte is de maat die wordt gebruikt in de BAG-registratie, de landelijke registratie van de Nederlandse overheid.
Scheidingsweg 9-0106 heeft als functie: standplaats. Deze gebruiksfunctie(s) zijn vastgelegd in de BAG-registratie en geven aan waarvoor het adres officieel mag worden gebruikt.
Scheidingsweg 9-0106 is gelegen op kadastraal perceel HVL00A1475. Deze kadastrale aanduiding is uniek en wordt gebruikt door het Kadaster om eigendomsrechten en andere zakelijke rechten vast te leggen. Het perceel maakt onderdeel uit van de kadastrale gemeente Hoevelaken.
Het perceel waarop Scheidingsweg 9-0106 staat heeft een oppervlakte van 3,6 ha. Dit is een zeer groot perceel. De perceeloppervlakte wordt geregistreerd door het Kadaster. Gedetailleerde informatie over de maten van dit perceel kunt u vinden in het rapport Kadastrale kaart met maatvoering van Scheidingsweg 9-0106.
De eigenaar van Scheidingsweg 9-0106 is op te vragen op deze pagina.
De informatie over dit adres is afkomstig uit officiële overheidsregistraties, voornamelijk de Basisregistratie Adressen en Gebouwen (BAG) en de Basisregistratie Kadaster (BRK). Deze gegevens worden beheerd door respectievelijk gemeenten en het Kadaster, en worden regelmatig bijgewerkt. Energielabelgegevens komen uit de database van de Rijksdienst voor Ondernemend Nederland (RVO).
