
Graaf Floris V weg 32-254 is gelegen in de plaats Hollandsche Rading, de gemeente De Bilt en de provincie Utrecht. Het perceel waarop het adres gelegen is heeft een oppervlakte van 1,8 ha. Het verblijfsobject is met 52 m² relatief klein. De oppervlakte van het adres is klein vergeleken met de andere objecten in de straat. De oppervlakte van het kleinste object in de straat bedraagt 9 m², terwijl het grootste object 1020 m² groot is. Het pand waarin Graaf Floris V weg 32-254 ligt is gebouwd in het jaar 1995. Panden die gebouwd zijn na het jaar 1984 noemen we hier relatief nieuw. Vergeleken met de andere panden in de straat is dit gebouw nieuw. Het vroegste bouwjaar is er 1870 en het laatste is 2024. Het verblijfsobject heeft de volgende gebruiksdoelen: 'logiesfunctie'.
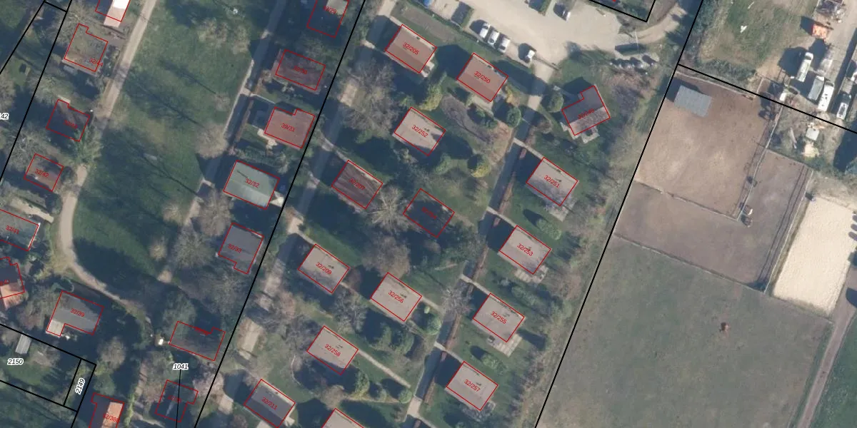
Het adres is gelegen op perceel 2556 in de sectie K en de kadastrale gemeente Maartensdijk. De kadastrale aanduiding is aldus MTD02-K-2556. De gemiddelde perceeloppervlakte in de kadastrale gemeente Maartensdijk is 6671,98 m². Dit perceel is met zijn 1,8 ha dus groter dan gemiddeld. Het kleinste perceel in de kadastrale gemeente is 0 m² groot. De grootste perceeloppervlakte is 99,0 ha. Er zijn 25 adressen aanwezig op het perceel. De laatste wijziging in het de Basisregistratie Kadaster (BRK) was op 06-08-2025.
Er is geen energielabel geregistreerd voor het adres. Het hoogste energielabel in de straat is A+++; het laagste is G. Het gemiddelde energielabel is er D. Het adres Graaf Floris V weg 32-254 heeft als status: 'verblijfsobject in gebruik'. Het pand waarin dit adres ligt heeft als status: 'pand in gebruik'.
Graaf Floris V weg 32-254 is een adres gelegen in de gemeente De Bilt, provincie Utrecht. Dit adres is geregistreerd in de Basisregistratie Adressen en Gebouwen (BAG) met als unieke identificatie 0310010000685855.
Het pand op Graaf Floris V weg 32-254 is gebouwd in 1995, wat betekent dat het 31 jaar oud is. Dit is een pand van middelbare leeftijd. Het pand is van gemiddelde leeftijd en zal waarschijnlijk verouderde elementen bevatten.
De woning op Graaf Floris V weg 32-254 heeft een gebruiksoppervlakte van 52 m². Dit is relatief klein vergeleken met de gemiddelde Nederlandse woning, die een oppervlakte heeft van ongeveer 119 m². De gebruiksoppervlakte is de maat die wordt gebruikt in de BAG-registratie, de landelijke registratie van de Nederlandse overheid.
Graaf Floris V weg 32-254 heeft als functie: logies/verblijf. Deze gebruiksfunctie(s) zijn vastgelegd in de BAG-registratie en geven aan waarvoor het adres officieel mag worden gebruikt.
Graaf Floris V weg 32-254 is gelegen op kadastraal perceel MTD02K2556. Deze kadastrale aanduiding is uniek en wordt gebruikt door het Kadaster om eigendomsrechten en andere zakelijke rechten vast te leggen. Het perceel maakt onderdeel uit van de kadastrale gemeente Maartensdijk.
Het perceel waarop Graaf Floris V weg 32-254 staat heeft een oppervlakte van 1,8 ha. Dit is een zeer groot perceel. De perceeloppervlakte wordt geregistreerd door het Kadaster. Gedetailleerde informatie over de maten van dit perceel kunt u vinden in het rapport Kadastrale kaart met maatvoering van Graaf Floris V weg 32-254.
De eigenaar van Graaf Floris V weg 32-254 is op te vragen op deze pagina.
De informatie over dit adres is afkomstig uit officiële overheidsregistraties, voornamelijk de Basisregistratie Adressen en Gebouwen (BAG) en de Basisregistratie Kadaster (BRK). Deze gegevens worden beheerd door respectievelijk gemeenten en het Kadaster, en worden regelmatig bijgewerkt. Energielabelgegevens komen uit de database van de Rijksdienst voor Ondernemend Nederland (RVO).
