
Het adres Riegshoogtendijk 154 bevindt zich in de plaats Hollandscheveld, in de gemeente Hollandscheveld en de provincie Drenthe. De oppervlakte bedraagt 322 m², waarmee het adres groter dan gemiddeld is. De grootte van het perceel waarop het adres ligt is 1805 m². In vergelijking met de andere adressen in de straat is de oppervlakte van dit object relatief groot. Het grootste verblijfsobject heeft een oppervlakte van 5155 m², de oppervlakte van het kleinste object bedraagt 3 m². Het adres Riegshoogtendijk 154 ligt in een relatief oud pand uit het jaar 1909. Panden van vóór het jaar 1965 hebben we hier geclassificeerd als oud. In de straat komt het nieuwste gebouw uit het jaar 2025 en het oudste uit 1836. Het bouwjaar van dit object is relatief oud. Het verblijfsobject heeft de volgende gebruiksdoelen: 'woonfunctie'.
Deze woning is voor het laatst verkocht op 1 april 2022. Meer informatie over deze transactie? Bestel het Woningtransactierapport om de verkoopprijs en andere informatie te zien.
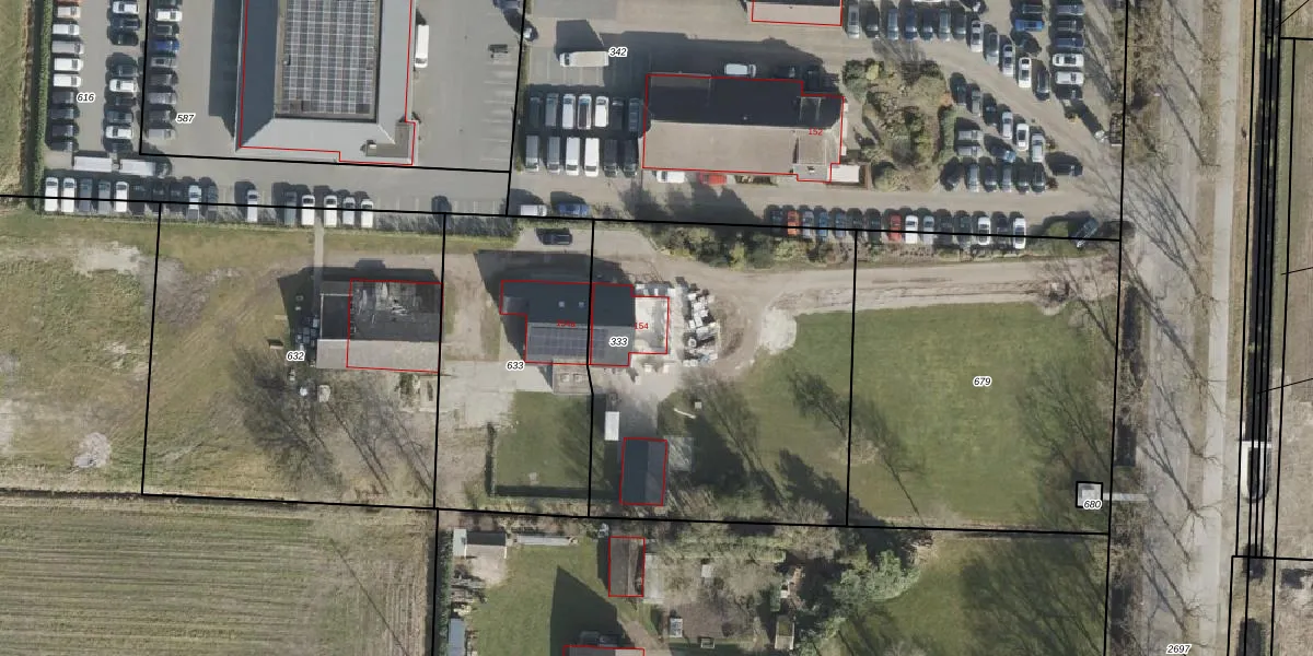
Het perceel waarop het adres ligt is HGV00-Q-333. De afkorting 'HGV00' staat voor kadastrale gemeente Hoogeveen. Het perceel is kleiner dan gemiddeld in Hoogeveen. Het perceel is 1805 m² groot, terwijl het gemiddelde ligt op 4425,14 m². De grootste perceeloppervlakte in de kadastrale gemeente is 56,8 ha. De kleinste oppervlakte bedraagt 0 m². Er zijn geen andere adressen aanwezig op het perceel. In de Basisregistratie Kadaster (BRK) werden de grenzen van het perceel geregistreerd op 04-02-2013.
Er is geen energielabel geregistreerd voor het adres. Het hoogste energielabel in de straat is A++++; het laagste is G. Het gemiddelde energielabel is er B. Het adres Riegshoogtendijk 154 heeft als status: 'verblijfsobject in gebruik'. Het pand waarin dit adres ligt heeft als status: 'pand in gebruik'.
Riegshoogtendijk 154 is een adres gelegen in de gemeente Hoogeveen, provincie Drenthe. Dit adres is geregistreerd in de Basisregistratie Adressen en Gebouwen (BAG) met als unieke identificatie 0118010900087106.
Het pand op Riegshoogtendijk 154 is gebouwd in 1909, wat betekent dat het 117 jaar oud is. Dit is een ouder pand. Het pand heeft mogelijk aanzienlijke renovaties nodig om aan de huidige standaarden te voldoen.
De woning op Riegshoogtendijk 154 heeft een gebruiksoppervlakte van 322 m². Dit is ruim vergeleken met de gemiddelde Nederlandse woning, die een oppervlakte heeft van ongeveer 119 m². De gebruiksoppervlakte is de maat die wordt gebruikt in de BAG-registratie, de landelijke registratie van de Nederlandse overheid.
Riegshoogtendijk 154 heeft als functie: wonen. Deze gebruiksfunctie(s) zijn vastgelegd in de BAG-registratie en geven aan waarvoor het adres officieel mag worden gebruikt.
Riegshoogtendijk 154 is gelegen op kadastraal perceel HGV00Q333. Deze kadastrale aanduiding is uniek en wordt gebruikt door het Kadaster om eigendomsrechten en andere zakelijke rechten vast te leggen. Het perceel maakt onderdeel uit van de kadastrale gemeente Hoogeveen.
Het perceel waarop Riegshoogtendijk 154 staat heeft een oppervlakte van 1805 m². Dit is een zeer groot perceel. De perceeloppervlakte wordt geregistreerd door het Kadaster. Gedetailleerde informatie over de maten van dit perceel kunt u vinden in het rapport Kadastrale kaart met maatvoering van Riegshoogtendijk 154.
De eigenaar van Riegshoogtendijk 154 is op te vragen op deze pagina.
De informatie over dit adres is afkomstig uit officiële overheidsregistraties, voornamelijk de Basisregistratie Adressen en Gebouwen (BAG) en de Basisregistratie Kadaster (BRK). Deze gegevens worden beheerd door respectievelijk gemeenten en het Kadaster, en worden regelmatig bijgewerkt. Energielabelgegevens komen uit de database van de Rijksdienst voor Ondernemend Nederland (RVO).
