
Het adres Wilfred Stillweg 4-a bevindt zich in de plaats Hollandscheveld, in de gemeente Hollandscheveld en de provincie Drenthe. Het perceel waarop het adres gelegen is heeft een oppervlakte van 2405 m². Het verblijfsobject is met 55 m² relatief klein. Het adres is klein vergeleken met andere objecten in de straat. Het grootste object in de straat heeft een oppervlakte van 477 m², het kleinste is 3 m² groot. Wilfred Stillweg 4-a ligt in een gebouw uit het jaar 2005. Daarmee behoort het tot de groep panden van na 1984, die we als relatief nieuw bestempelen. Vergeleken met de andere panden in de straat is dit gebouw nieuw. Het vroegste bouwjaar is er 1904 en het laatste is 2019. Voor het verblijfsobject gelden deze gebruiksdoelen: 'woonfunctie'.
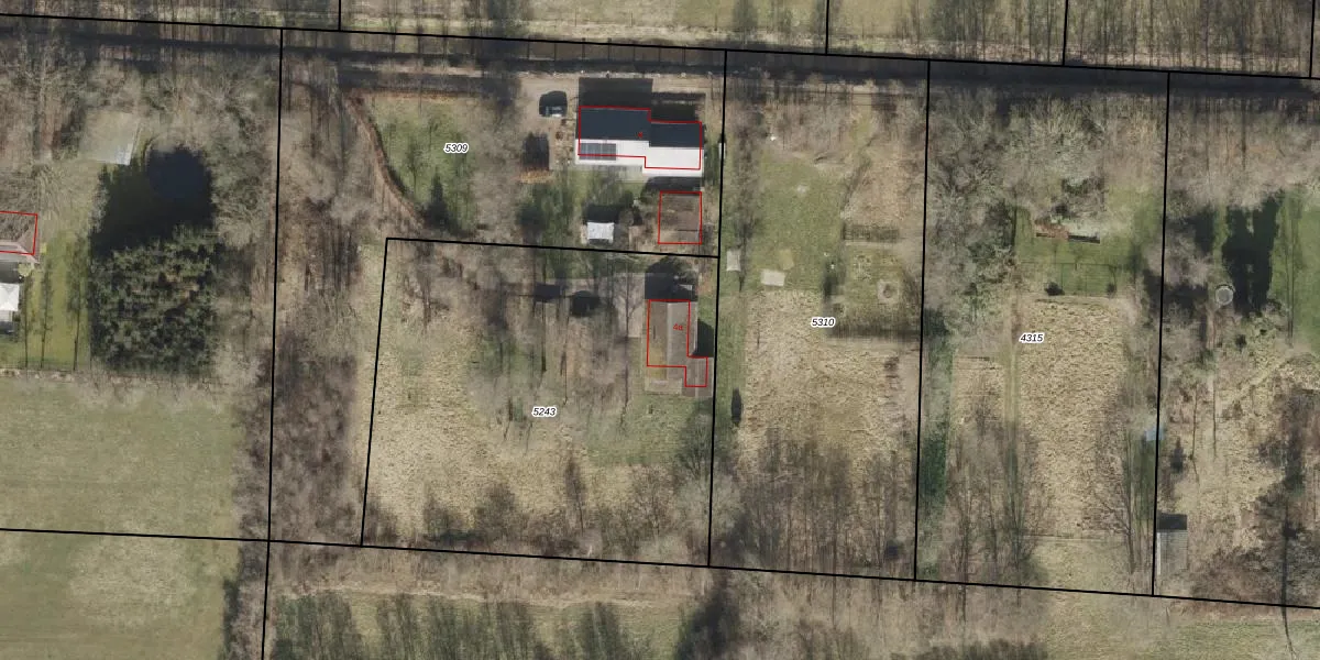
Het adres ligt op het perceel HGV00-K-5243, dat zich in de kadastrale gemeente Hoogeveen bevindt. De gemiddelde perceelgrootte in Hoogeveen is 4425,14 m². Dit perceel is kleiner: de perceeloppervlakte bedraagt 2405 m². Het grootste perceel in de kadastrale gemeente is 56,8 ha. Het kleinste perceel heeft een oppervlakte van 0 m². Dit is het enige adres dat aanwezig is op het perceel. In de Basisregistratie Kadaster (BRK) werden de grenzen van het perceel geregistreerd op 24-04-2009.
Er is geen energielabel geregistreerd voor het adres. Het hoogste energielabel in de straat is A+; het laagste is G. Het gemiddelde energielabel is er C. Het adres Wilfred Stillweg 4-a heeft als status: 'verblijfsobject in gebruik'. Het pand waarin dit adres ligt heeft als status: 'pand in gebruik'.
Wilfred Stillweg 4-a is een adres gelegen in de gemeente Hoogeveen, provincie Drenthe. Dit adres is geregistreerd in de Basisregistratie Adressen en Gebouwen (BAG) met als unieke identificatie 0118010000079289.
Het pand op Wilfred Stillweg 4-a is gebouwd in 2005, wat betekent dat het 21 jaar oud is. Dit is een relatief modern pand. Ten opzichte van de nationale woningvoorraad is het pand relatief modern, maar er kunnen enkele verouderde elementen zijn die aandacht nodig hebben.
De woning op Wilfred Stillweg 4-a heeft een gebruiksoppervlakte van 55 m². Dit is relatief klein vergeleken met de gemiddelde Nederlandse woning, die een oppervlakte heeft van ongeveer 119 m². De gebruiksoppervlakte is de maat die wordt gebruikt in de BAG-registratie, de landelijke registratie van de Nederlandse overheid.
Wilfred Stillweg 4-a heeft als functie: wonen. Deze gebruiksfunctie(s) zijn vastgelegd in de BAG-registratie en geven aan waarvoor het adres officieel mag worden gebruikt.
Wilfred Stillweg 4-a is gelegen op kadastraal perceel HGV00K5243. Deze kadastrale aanduiding is uniek en wordt gebruikt door het Kadaster om eigendomsrechten en andere zakelijke rechten vast te leggen. Het perceel maakt onderdeel uit van de kadastrale gemeente Hoogeveen.
Het perceel waarop Wilfred Stillweg 4-a staat heeft een oppervlakte van 2405 m². Dit is een zeer groot perceel. De perceeloppervlakte wordt geregistreerd door het Kadaster. Gedetailleerde informatie over de maten van dit perceel kunt u vinden in het rapport Kadastrale kaart met maatvoering van Wilfred Stillweg 4-a.
De eigenaar van Wilfred Stillweg 4-a is op te vragen op deze pagina.
De informatie over dit adres is afkomstig uit officiële overheidsregistraties, voornamelijk de Basisregistratie Adressen en Gebouwen (BAG) en de Basisregistratie Kadaster (BRK). Deze gegevens worden beheerd door respectievelijk gemeenten en het Kadaster, en worden regelmatig bijgewerkt. Energielabelgegevens komen uit de database van de Rijksdienst voor Ondernemend Nederland (RVO).
