
Jan Roepespad 81 is gelegen in de plaats Hollum, de gemeente Ameland en de provincie Friesland. Het verblijfsobject is vergeleken met het Nederlandse gemiddelde aan de kleine kant: de oppervlakte is 70 m². Het perceel waarop het adres zich bevindt heeft een oppervlakte van 670 m². Het adres is klein vergeleken met andere objecten in de straat. Het grootste object in de straat heeft een oppervlakte van 2263 m², het kleinste is 48 m² groot. In Nederland komt het grootste deel van de gebouwen uit de periode 1965-1984. Ook het bouwjaar van Jan Roepespad 81 is afkomstig uit die periode: het betreft namelijk een pand uit 1972. Het nieuwste gebouw in de straat komt uit 2021 en het oudste uit 1960. Dit object is relatief oud. Voor het verblijfsobject gelden deze gebruiksdoelen: 'logiesfunctie'.
Deze woning is voor het laatst verkocht op 1 juli 2016. Meer informatie over deze transactie? Bestel het Woningtransactierapport om de verkoopprijs en andere informatie te zien.
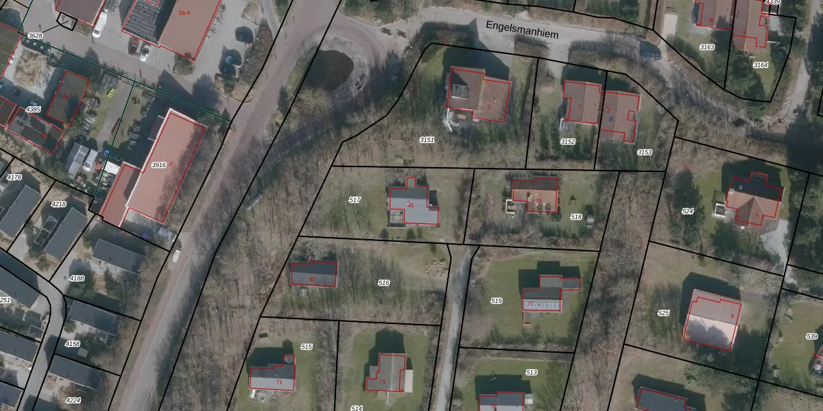
Het adres ligt op het perceel BLM00-G-517, dat zich in de kadastrale gemeente Ballum bevindt. De gemiddelde perceelgrootte in Ballum is 8771,48 m². Dit perceel is kleiner: de perceeloppervlakte bedraagt 670 m². Het grootste perceel in de kadastrale gemeente is 1,00 km². Het kleinste perceel heeft een oppervlakte van 0 m². Op het perceel bevinden zich geen andere adressen. De laatste wijziging in het de Basisregistratie Kadaster (BRK) was op 01-05-2012.
Er is geen energielabel geregistreerd voor het adres. Het hoogste energielabel in de straat is A+; het laagste is G. Het gemiddelde energielabel is er C. Het adres Jan Roepespad 81 heeft als status: 'verblijfsobject in gebruik'. Het pand waarin dit adres ligt heeft als status: 'pand in gebruik'.
Jan Roepespad 81 is een adres gelegen in de gemeente Ameland, provincie Friesland. Dit adres is geregistreerd in de Basisregistratie Adressen en Gebouwen (BAG) met als unieke identificatie 0060010000129610.
Het pand op Jan Roepespad 81 is gebouwd in 1972, wat betekent dat het 54 jaar oud is. Dit is een ouder pand. Het pand heeft mogelijk aanzienlijke renovaties nodig om aan de huidige standaarden te voldoen.
De woning op Jan Roepespad 81 heeft een gebruiksoppervlakte van 70 m². Dit is relatief klein vergeleken met de gemiddelde Nederlandse woning, die een oppervlakte heeft van ongeveer 119 m². De gebruiksoppervlakte is de maat die wordt gebruikt in de BAG-registratie, de landelijke registratie van de Nederlandse overheid.
Jan Roepespad 81 heeft als functie: logies/verblijf. Deze gebruiksfunctie(s) zijn vastgelegd in de BAG-registratie en geven aan waarvoor het adres officieel mag worden gebruikt.
Jan Roepespad 81 is gelegen op kadastraal perceel BLM00G517. Deze kadastrale aanduiding is uniek en wordt gebruikt door het Kadaster om eigendomsrechten en andere zakelijke rechten vast te leggen. Het perceel maakt onderdeel uit van de kadastrale gemeente Ballum.
Het perceel waarop Jan Roepespad 81 staat heeft een oppervlakte van 670 m². Dit is een groot perceel. De perceeloppervlakte wordt geregistreerd door het Kadaster. Gedetailleerde informatie over de maten van dit perceel kunt u vinden in het rapport Kadastrale kaart met maatvoering van Jan Roepespad 81.
De eigenaar van Jan Roepespad 81 is op te vragen op deze pagina.
De informatie over dit adres is afkomstig uit officiële overheidsregistraties, voornamelijk de Basisregistratie Adressen en Gebouwen (BAG) en de Basisregistratie Kadaster (BRK). Deze gegevens worden beheerd door respectievelijk gemeenten en het Kadaster, en worden regelmatig bijgewerkt. Energielabelgegevens komen uit de database van de Rijksdienst voor Ondernemend Nederland (RVO).
