
Veldweg 1-3 is gelegen in de plaats Holsloot, de gemeente Coevorden en de provincie Drenthe. De oppervlakte van het adres is 140 m². Dat is vergelijkbaar met het gemiddelde Nederlandse oppervlakte van 119 m². De oppervlakte van het perceel waarin het adres ligt is 1,1 ha. De oppervlakte van het adres is klein vergeleken met de andere objecten in de straat. De oppervlakte van het kleinste object in de straat bedraagt 66 m², terwijl het grootste object 246 m² groot is. Veldweg 1-3 bevindt zich in een pand uit het jaar null. Daarmee behoort het tot de groep relatief oude panden in Nederland die gebouwd zijn vóór 1965. Gemiddeld zijn de gebouwen in de straat gebouwd in 1969. Dit is het oudste pand in de straat. Het meest recente komt uit het jaar 2011. Het verblijfsobject heeft de volgende gebruiksdoelen: 'standplaats'.
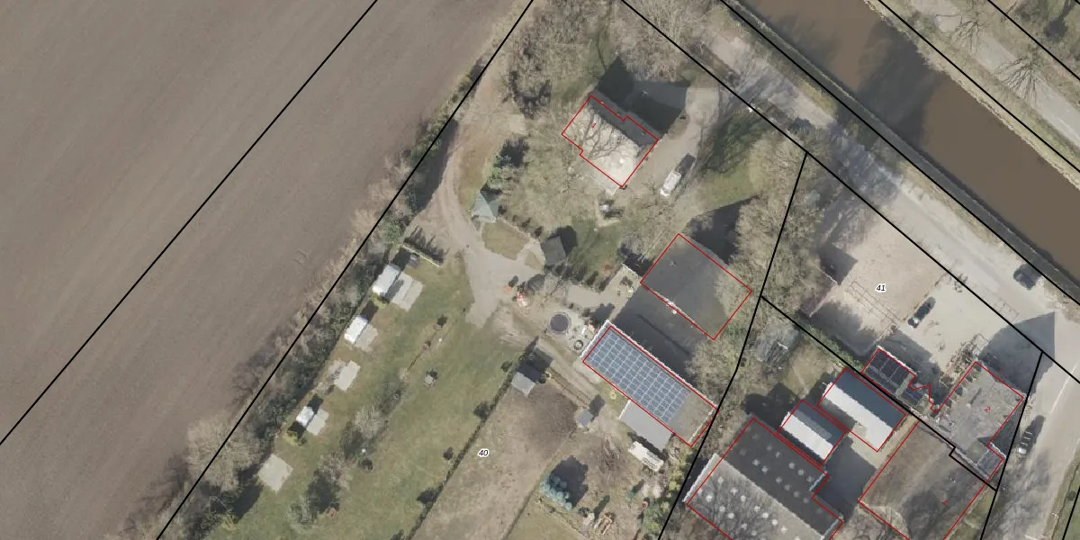
Het adres is gelegen op perceel 40 in de sectie L en de kadastrale gemeente Sleen. De kadastrale aanduiding is aldus SLE00-L-40. De gemiddelde perceeloppervlakte in de kadastrale gemeente Sleen is 1,1 ha. Dit perceel is met zijn 1,1 ha dus groter dan gemiddeld. Het grootste perceel in de kadastrale gemeente is 2,51 km². Het kleinste perceel heeft een oppervlakte van 1 m². Op het perceel liggen in totaal 5 adressen. De laatste wijziging in het de Basisregistratie Kadaster (BRK) was op 13-06-2024.
Er is geen energielabel geregistreerd voor het adres. Het hoogste energielabel in de straat is D; het laagste is G. Het gemiddelde energielabel is er F. Het adres Veldweg 1-3 heeft als status: 'plaats aangewezen'. Het pand waarin dit adres ligt heeft als status: 'undefined'.
Veldweg 1-3 is een adres gelegen in de gemeente Coevorden, provincie Drenthe. Dit adres is geregistreerd in de Basisregistratie Adressen en Gebouwen (BAG) met als unieke identificatie 0109030000000215.
De woning op Veldweg 1-3 heeft een gebruiksoppervlakte van 140 m². Dit is gemiddeld vergeleken met de gemiddelde Nederlandse woning, die een oppervlakte heeft van ongeveer 119 m². De gebruiksoppervlakte is de maat die wordt gebruikt in de BAG-registratie, de landelijke registratie van de Nederlandse overheid.
Veldweg 1-3 heeft als functie: standplaats. Deze gebruiksfunctie(s) zijn vastgelegd in de BAG-registratie en geven aan waarvoor het adres officieel mag worden gebruikt.
Veldweg 1-3 is gelegen op kadastraal perceel SLE00L40. Deze kadastrale aanduiding is uniek en wordt gebruikt door het Kadaster om eigendomsrechten en andere zakelijke rechten vast te leggen. Het perceel maakt onderdeel uit van de kadastrale gemeente Sleen.
Het perceel waarop Veldweg 1-3 staat heeft een oppervlakte van 1,1 ha. Dit is een zeer groot perceel. De perceeloppervlakte wordt geregistreerd door het Kadaster. Gedetailleerde informatie over de maten van dit perceel kunt u vinden in het rapport Kadastrale kaart met maatvoering van Veldweg 1-3.
De eigenaar van Veldweg 1-3 is op te vragen op deze pagina.
De informatie over dit adres is afkomstig uit officiële overheidsregistraties, voornamelijk de Basisregistratie Adressen en Gebouwen (BAG) en de Basisregistratie Kadaster (BRK). Deze gegevens worden beheerd door respectievelijk gemeenten en het Kadaster, en worden regelmatig bijgewerkt. Energielabelgegevens komen uit de database van de Rijksdienst voor Ondernemend Nederland (RVO).
