
Landuwerweg 17-135 is gelegen in de plaats Holten, de gemeente Rijssen-Holten en de provincie Overijssel. De oppervlakte van het object bedraagt 48 m². Dat is klein vergeleken met het Nederlandse gemiddelde. Het perceel waarop het adres ligt is 17,6 ha groot. Het adres is klein vergeleken met andere objecten in de straat. Het grootste object in de straat heeft een oppervlakte van 2846 m², het kleinste is 41 m² groot. De meeste Nederlandse gebouwen zijn gebouwd in de periode 1965-1984. Zo ook het pand waarin Landuwerweg 17-135 ligt, dat gebouwd is in 1978. In de straat komt het nieuwste gebouw uit het jaar 2025 en het oudste uit 1930. Het bouwjaar van dit object is relatief oud. Het verblijfsobject heeft de volgende gebruiksdoelen: 'logiesfunctie'.
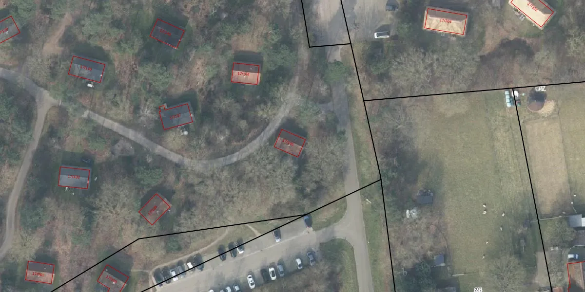
Het adres ligt op het perceel HTN03-B-4755, dat zich in de kadastrale gemeente Holten bevindt. De gemiddelde perceeloppervlakte in de kadastrale gemeente Holten is 7833,83 m². Dit perceel is met zijn 17,6 ha dus groter dan gemiddeld. De grootste perceeloppervlakte in de kadastrale gemeente is 62,1 ha. De kleinste oppervlakte bedraagt 0 m². Op het perceel zijn 177 adressen aanwezig. De laatste wijziging in het de Basisregistratie Kadaster (BRK) was op 26-03-2013.
Het adres ligt in een gebouw van het type 'logieswoning'. Bij de laatste meting is voor het adres het energielabel E geregistreerd. Het hoogste energielabel in de straat is A++; het laagste is G. Het gemiddelde energielabel is er D. Het adres Landuwerweg 17-135 heeft als status: 'verblijfsobject in gebruik'. Het pand waarin dit adres ligt heeft als status: 'pand in gebruik'.
Landuwerweg 17-135 is een adres gelegen in de gemeente Rijssen-Holten, provincie Overijssel. Dit adres is geregistreerd in de Basisregistratie Adressen en Gebouwen (BAG) met als unieke identificatie 1742010000015408.
Het pand op Landuwerweg 17-135 is gebouwd in 1978, wat betekent dat het 48 jaar oud is. Dit is een pand van middelbare leeftijd. Het pand is van gemiddelde leeftijd en zal waarschijnlijk verouderde elementen bevatten.
De woning op Landuwerweg 17-135 heeft een gebruiksoppervlakte van 48 m². Dit is relatief klein vergeleken met de gemiddelde Nederlandse woning, die een oppervlakte heeft van ongeveer 119 m². De gebruiksoppervlakte is de maat die wordt gebruikt in de BAG-registratie, de landelijke registratie van de Nederlandse overheid.
Landuwerweg 17-135 heeft als functie: logies/verblijf. Deze gebruiksfunctie(s) zijn vastgelegd in de BAG-registratie en geven aan waarvoor het adres officieel mag worden gebruikt.
Landuwerweg 17-135 is gelegen op kadastraal perceel HTN03B4755. Deze kadastrale aanduiding is uniek en wordt gebruikt door het Kadaster om eigendomsrechten en andere zakelijke rechten vast te leggen. Het perceel maakt onderdeel uit van de kadastrale gemeente Holten.
Het perceel waarop Landuwerweg 17-135 staat heeft een oppervlakte van 17,6 ha. Dit is een zeer groot perceel. De perceeloppervlakte wordt geregistreerd door het Kadaster. Gedetailleerde informatie over de maten van dit perceel kunt u vinden in het rapport Kadastrale kaart met maatvoering van Landuwerweg 17-135.
De eigenaar van Landuwerweg 17-135 is op te vragen op deze pagina.
De informatie over dit adres is afkomstig uit officiële overheidsregistraties, voornamelijk de Basisregistratie Adressen en Gebouwen (BAG) en de Basisregistratie Kadaster (BRK). Deze gegevens worden beheerd door respectievelijk gemeenten en het Kadaster, en worden regelmatig bijgewerkt. Energielabelgegevens komen uit de database van de Rijksdienst voor Ondernemend Nederland (RVO).
