
Pannenweg 20-25 is een adres in Holten, dat zich bevindt binnen de gemeentegrenzen van Holten en de grenzen van de provincie Overijssel. Het verblijfsobject is vergeleken met het Nederlandse gemiddelde aan de kleine kant: de oppervlakte is 49 m². Het perceel waarop het adres zich bevindt heeft een oppervlakte van 2,0 ha. Het object is klein ten opzichte van de andere adressen in de straat. Het grootste verblijfsobject is 757 m² groot en het kleinste is 31 m². In Nederland komt het grootste deel van de gebouwen uit de periode 1965-1984. Ook het bouwjaar van Pannenweg 20-25 is afkomstig uit die periode: het betreft namelijk een pand uit 1976. Het nieuwste gebouw in de straat komt uit 2025 en het oudste uit 1930. Dit object is relatief oud. Het verblijfsobject heeft de volgende gebruiksdoelen: 'logiesfunctie'.
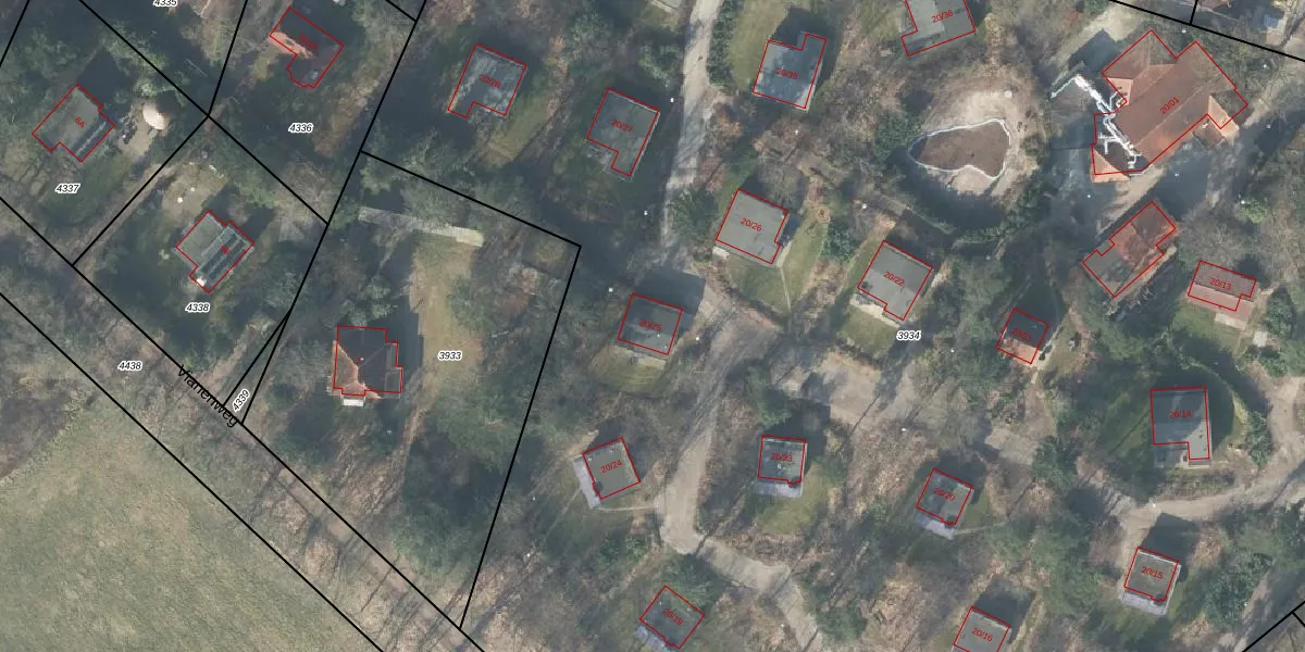
Het perceel waarop het adres ligt is HTN03-B-3934. De afkorting 'HTN03' staat voor kadastrale gemeente Holten. De gemiddelde perceeloppervlakte in de kadastrale gemeente Holten is 7833,83 m². Dit perceel is met zijn 2,0 ha dus groter dan gemiddeld. Het grootste perceel in de kadastrale gemeente is 62,1 ha. Het kleinste perceel heeft een oppervlakte van 0 m². Op het perceel liggen in totaal 24 adressen. De huidige grenzen van het perceel zijn digitaal in de Basisregistratie Kadaster (BRK) geregistreerd op 25-11-2025.
Er is geen energielabel geregistreerd voor het adres. Het hoogste energielabel in de straat is A; het laagste is G. Het gemiddelde energielabel is er B. Het adres Pannenweg 20-25 heeft als status: 'verblijfsobject in gebruik'. Het pand waarin dit adres ligt heeft als status: 'pand in gebruik'.
Pannenweg 20-25 is een adres gelegen in de gemeente Rijssen-Holten, provincie Overijssel. Dit adres is geregistreerd in de Basisregistratie Adressen en Gebouwen (BAG) met als unieke identificatie 1742010000005858.
Het pand op Pannenweg 20-25 is gebouwd in 1976, wat betekent dat het 50 jaar oud is. Dit is een ouder pand. Het pand heeft mogelijk aanzienlijke renovaties nodig om aan de huidige standaarden te voldoen.
De woning op Pannenweg 20-25 heeft een gebruiksoppervlakte van 49 m². Dit is relatief klein vergeleken met de gemiddelde Nederlandse woning, die een oppervlakte heeft van ongeveer 119 m². De gebruiksoppervlakte is de maat die wordt gebruikt in de BAG-registratie, de landelijke registratie van de Nederlandse overheid.
Pannenweg 20-25 heeft als functie: logies/verblijf. Deze gebruiksfunctie(s) zijn vastgelegd in de BAG-registratie en geven aan waarvoor het adres officieel mag worden gebruikt.
Pannenweg 20-25 is gelegen op kadastraal perceel HTN03B3934. Deze kadastrale aanduiding is uniek en wordt gebruikt door het Kadaster om eigendomsrechten en andere zakelijke rechten vast te leggen. Het perceel maakt onderdeel uit van de kadastrale gemeente Holten.
Het perceel waarop Pannenweg 20-25 staat heeft een oppervlakte van 2,0 ha. Dit is een zeer groot perceel. De perceeloppervlakte wordt geregistreerd door het Kadaster. Gedetailleerde informatie over de maten van dit perceel kunt u vinden in het rapport Kadastrale kaart met maatvoering van Pannenweg 20-25.
De eigenaar van Pannenweg 20-25 is op te vragen op deze pagina.
De informatie over dit adres is afkomstig uit officiële overheidsregistraties, voornamelijk de Basisregistratie Adressen en Gebouwen (BAG) en de Basisregistratie Kadaster (BRK). Deze gegevens worden beheerd door respectievelijk gemeenten en het Kadaster, en worden regelmatig bijgewerkt. Energielabelgegevens komen uit de database van de Rijksdienst voor Ondernemend Nederland (RVO).
