
Winkelbergweg 5 is een adres in Holten, dat zich bevindt binnen de gemeentegrenzen van Holten en de grenzen van de provincie Overijssel. Het perceel waarop het adres gelegen is heeft een oppervlakte van 900 m². Het verblijfsobject is met 81 m² relatief klein. In vergelijking met de andere adressen in de straat is de oppervlakte van dit object relatief groot. Het grootste verblijfsobject heeft een oppervlakte van 129 m², de oppervlakte van het kleinste object bedraagt 44 m². In Nederland komt het grootste deel van de gebouwen uit de periode 1965-1984. Ook het bouwjaar van Winkelbergweg 5 is afkomstig uit die periode: het betreft namelijk een pand uit 1970. Het bouwjaar is oud vergeleken met dat van de andere panden in de straat. Het oudste bouwjaar is er 1946 en de nieuwste is 2025. Voor het verblijfsobject gelden deze gebruiksdoelen: 'logiesfunctie'.
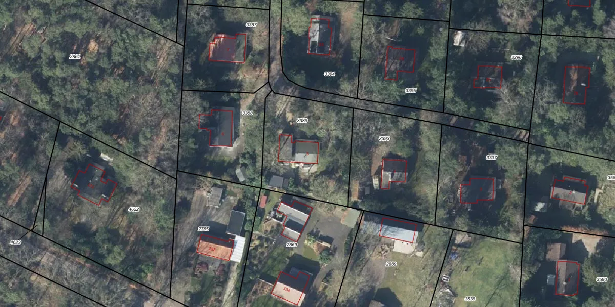
Het perceel waarop het adres ligt is HTN03-B-3389. De afkorting 'HTN03' staat voor kadastrale gemeente Holten. De gemiddelde perceelgrootte in Holten is 7833,83 m². Dit perceel is kleiner: de perceeloppervlakte bedraagt 900 m². Het grootste perceel in de kadastrale gemeente is 62,1 ha. Het kleinste perceel heeft een oppervlakte van 0 m². Dit is het enige adres dat aanwezig is op het perceel. De huidige grenzen van het perceel zijn digitaal in de Basisregistratie Kadaster (BRK) geregistreerd op 13-03-2001.
Er is geen energielabel geregistreerd voor het adres. Het hoogste energielabel in de straat is A; het laagste is G. Het gemiddelde energielabel is er D. Het adres Winkelbergweg 5 heeft als status: 'verblijfsobject in gebruik'. Het pand waarin dit adres ligt heeft als status: 'pand in gebruik'.
Winkelbergweg 5 is een adres gelegen in de gemeente Rijssen-Holten, provincie Overijssel. Dit adres is geregistreerd in de Basisregistratie Adressen en Gebouwen (BAG) met als unieke identificatie 1742010000006121.
Het pand op Winkelbergweg 5 is gebouwd in 1970, wat betekent dat het 56 jaar oud is. Dit is een ouder pand. Het pand heeft mogelijk aanzienlijke renovaties nodig om aan de huidige standaarden te voldoen.
De woning op Winkelbergweg 5 heeft een gebruiksoppervlakte van 81 m². Dit is onder het gemiddelde vergeleken met de gemiddelde Nederlandse woning, die een oppervlakte heeft van ongeveer 119 m². De gebruiksoppervlakte is de maat die wordt gebruikt in de BAG-registratie, de landelijke registratie van de Nederlandse overheid.
Winkelbergweg 5 heeft als functie: logies/verblijf. Deze gebruiksfunctie(s) zijn vastgelegd in de BAG-registratie en geven aan waarvoor het adres officieel mag worden gebruikt.
Winkelbergweg 5 is gelegen op kadastraal perceel HTN03B3389. Deze kadastrale aanduiding is uniek en wordt gebruikt door het Kadaster om eigendomsrechten en andere zakelijke rechten vast te leggen. Het perceel maakt onderdeel uit van de kadastrale gemeente Holten.
Het perceel waarop Winkelbergweg 5 staat heeft een oppervlakte van 900 m². Dit is een groot perceel. De perceeloppervlakte wordt geregistreerd door het Kadaster. Gedetailleerde informatie over de maten van dit perceel kunt u vinden in het rapport Kadastrale kaart met maatvoering van Winkelbergweg 5.
De eigenaar van Winkelbergweg 5 is op te vragen op deze pagina.
De informatie over dit adres is afkomstig uit officiële overheidsregistraties, voornamelijk de Basisregistratie Adressen en Gebouwen (BAG) en de Basisregistratie Kadaster (BRK). Deze gegevens worden beheerd door respectievelijk gemeenten en het Kadaster, en worden regelmatig bijgewerkt. Energielabelgegevens komen uit de database van de Rijksdienst voor Ondernemend Nederland (RVO).
