
Akkerdreef 2 is een adres in Hoogerheide, dat zich bevindt binnen de gemeentegrenzen van Hoogerheide en de grenzen van de provincie Noord-Brabant. Het object heeft een oppervlakte van 286 m², wat relatief groot is. Het perceel waarop het adres ligt is 1622 m² groot. De oppervlakte van dit adres is groot vergeleken met de oppervlaktes van andere adressen in de straat. De kleinste oppervlakte bedraagt er 198 m², de grootste 306 m². Akkerdreef 2 bevindt zich in een pand uit het jaar null. Daarmee behoort het tot de groep relatief oude panden in Nederland die gebouwd zijn vóór 1965. Het gemiddelde bouwjaar in de straat is null en dat van het oudste pand is null. Dit is het nieuwste object in de straat. Het verblijfsobject heeft de volgende gebruiksdoelen: 'standplaats'.
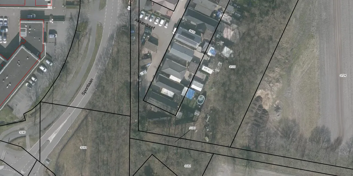
Het adres ligt op het perceel WDT00-D-3420, dat zich in de kadastrale gemeente Woensdrecht bevindt. Het perceel is kleiner dan gemiddeld in Woensdrecht. Het perceel is 1622 m² groot, terwijl het gemiddelde ligt op 4403,78 m². Het grootste perceel in de kadastrale gemeente is 2,12 km². Het kleinste perceel heeft een oppervlakte van 0 m². Er zijn 8 adressen aanwezig op het perceel. De huidige grenzen van het perceel zijn digitaal in de Basisregistratie Kadaster (BRK) geregistreerd op 06-01-2009.
Er is geen energielabel geregistreerd voor het adres. Het hoogste energielabel in de straat is G; het laagste is G. Het gemiddelde energielabel is er G. Het adres Akkerdreef 2 heeft als status: 'plaats aangewezen'. Het pand waarin dit adres ligt heeft als status: 'undefined'.
Akkerdreef 2 is een adres gelegen in de gemeente Woensdrecht, provincie Noord-Brabant. Dit adres is geregistreerd in de Basisregistratie Adressen en Gebouwen (BAG) met als unieke identificatie 0873030000452703.
De woning op Akkerdreef 2 heeft een gebruiksoppervlakte van 286 m². Dit is ruim vergeleken met de gemiddelde Nederlandse woning, die een oppervlakte heeft van ongeveer 119 m². De gebruiksoppervlakte is de maat die wordt gebruikt in de BAG-registratie, de landelijke registratie van de Nederlandse overheid.
Akkerdreef 2 heeft als functie: standplaats. Deze gebruiksfunctie(s) zijn vastgelegd in de BAG-registratie en geven aan waarvoor het adres officieel mag worden gebruikt.
Akkerdreef 2 is gelegen op kadastraal perceel WDT00D3420. Deze kadastrale aanduiding is uniek en wordt gebruikt door het Kadaster om eigendomsrechten en andere zakelijke rechten vast te leggen. Het perceel maakt onderdeel uit van de kadastrale gemeente Woensdrecht.
Het perceel waarop Akkerdreef 2 staat heeft een oppervlakte van 1622 m². Dit is een zeer groot perceel. De perceeloppervlakte wordt geregistreerd door het Kadaster. Gedetailleerde informatie over de maten van dit perceel kunt u vinden in het rapport Kadastrale kaart met maatvoering van Akkerdreef 2.
De eigenaar van Akkerdreef 2 is op te vragen op deze pagina.
De informatie over dit adres is afkomstig uit officiële overheidsregistraties, voornamelijk de Basisregistratie Adressen en Gebouwen (BAG) en de Basisregistratie Kadaster (BRK). Deze gegevens worden beheerd door respectievelijk gemeenten en het Kadaster, en worden regelmatig bijgewerkt. Energielabelgegevens komen uit de database van de Rijksdienst voor Ondernemend Nederland (RVO).
