
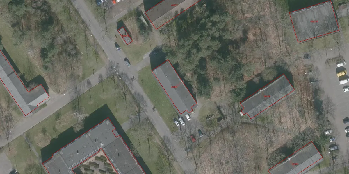
Kooiweg 40-d-52 is een adres in Hoogerheide, dat zich bevindt binnen de gemeentegrenzen van Hoogerheide en de grenzen van de provincie Noord-Brabant. Het object heeft een oppervlakte van 584 m², wat relatief groot is. Het perceel waarop het adres ligt is 1,79 km² groot. De oppervlakte van het adres is klein vergeleken met de andere objecten in de straat. De oppervlakte van het kleinste object in de straat bedraagt 3 m², terwijl het grootste object 2,8 ha groot is. Kooiweg 40-d-52 bevindt zich in een pand uit het jaar 1955. Daarmee behoort het tot de groep relatief oude panden in Nederland die gebouwd zijn vóór 1965. Het bouwjaar is oud vergeleken met dat van de andere panden in de straat. Het oudste bouwjaar is er 1939 en de nieuwste is 2025. Voor het verblijfsobject gelden deze gebruiksdoelen: 'kantoorfunctie'.
Het adres is gelegen op perceel 2523 in de sectie C en de kadastrale gemeente Woensdrecht. De kadastrale aanduiding is aldus WDT00-C-2523. Het perceel is met 1,79 km² relatief groot. Het gemiddelde ligt in de kadastrale gemeente Woensdrecht op 4407,87 m². Het grootste perceel in de kadastrale gemeente is 2,12 km². Het kleinste perceel heeft een oppervlakte van 0 m². Er zijn 208 adressen aanwezig op het perceel. De huidige grenzen van het perceel zijn digitaal in de Basisregistratie Kadaster (BRK) geregistreerd op 15-05-2020.
Bij de laatste meting is voor het adres het energielabel D geregistreerd. Het hoogste energielabel in de straat is A++++; het laagste is G. Het gemiddelde energielabel is er C. Het adres Kooiweg 40-d-52 heeft als status: 'verblijfsobject in gebruik'. Het pand waarin dit adres ligt heeft als status: 'pand in gebruik'.
Kooiweg 40-d-52 is een adres gelegen in de gemeente Woensdrecht, provincie Noord-Brabant. Dit adres is geregistreerd in de Basisregistratie Adressen en Gebouwen (BAG) met als unieke identificatie 0873010000447860.
Het pand op Kooiweg 40-d-52 is gebouwd in 1955, wat betekent dat het 71 jaar oud is. Dit is een ouder pand. Het pand heeft mogelijk aanzienlijke renovaties nodig om aan de huidige standaarden te voldoen.
De woning op Kooiweg 40-d-52 heeft een gebruiksoppervlakte van 584 m². Dit is ruim vergeleken met de gemiddelde Nederlandse woning, die een oppervlakte heeft van ongeveer 119 m². De gebruiksoppervlakte is de maat die wordt gebruikt in de BAG-registratie, de landelijke registratie van de Nederlandse overheid.
Kooiweg 40-d-52 heeft als functie: kantoor. Deze gebruiksfunctie(s) zijn vastgelegd in de BAG-registratie en geven aan waarvoor het adres officieel mag worden gebruikt.
Kooiweg 40-d-52 is gelegen op kadastraal perceel WDT00C2523. Deze kadastrale aanduiding is uniek en wordt gebruikt door het Kadaster om eigendomsrechten en andere zakelijke rechten vast te leggen. Het perceel maakt onderdeel uit van de kadastrale gemeente Woensdrecht.
Het perceel waarop Kooiweg 40-d-52 staat heeft een oppervlakte van 1,79 km². Dit is een zeer groot perceel. De perceeloppervlakte wordt geregistreerd door het Kadaster. Gedetailleerde informatie over de maten van dit perceel kunt u vinden in het rapport Kadastrale kaart met maatvoering van Kooiweg 40-d-52.
De eigenaar van Kooiweg 40-d-52 is op te vragen op deze pagina.
De informatie over dit adres is afkomstig uit officiële overheidsregistraties, voornamelijk de Basisregistratie Adressen en Gebouwen (BAG) en de Basisregistratie Kadaster (BRK). Deze gegevens worden beheerd door respectievelijk gemeenten en het Kadaster, en worden regelmatig bijgewerkt. Energielabelgegevens komen uit de database van de Rijksdienst voor Ondernemend Nederland (RVO).
