
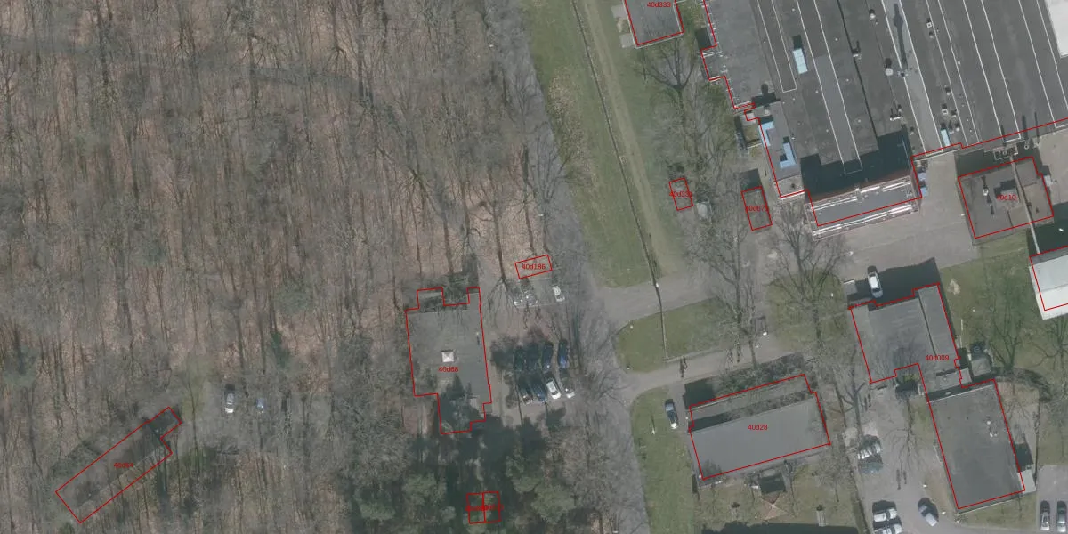
Kooiweg 40-d-186 is gelegen in de plaats Hoogerheide, de gemeente Woensdrecht en de provincie Noord-Brabant. De oppervlakte van het object bedraagt 15 m². Dat is klein vergeleken met het Nederlandse gemiddelde. Het perceel waarop het adres ligt is 1,79 km² groot. De oppervlakte van het adres is klein vergeleken met de andere objecten in de straat. De oppervlakte van het kleinste object in de straat bedraagt 3 m², terwijl het grootste object 2,8 ha groot is. De gemiddelde bouwperiode van gebouwen in Nederland ligt tussen de jaren 1965-1984. Dat geldt ook voor het bouwjaar van Kooiweg 40-d-186: het is gebouwd in het jaar 1980. In de straat komt het nieuwste gebouw uit het jaar 2025 en het oudste uit 1939. Het bouwjaar van dit object is relatief oud. Voor het verblijfsobject gelden deze gebruiksdoelen: 'industriefunctie'.
Het adres is gelegen op perceel 2523 in de sectie C en de kadastrale gemeente Woensdrecht. De kadastrale aanduiding is aldus WDT00-C-2523. Het perceel is met 1,79 km² relatief groot. Het gemiddelde ligt in de kadastrale gemeente Woensdrecht op 4407,87 m². Het kleinste perceel in de kadastrale gemeente is 0 m² groot. De grootste perceeloppervlakte is 2,12 km². Op het perceel zijn 208 adressen aanwezig. De laatste wijziging in het de Basisregistratie Kadaster (BRK) was op 15-05-2020.
Er is geen energielabel geregistreerd voor het adres. Het hoogste energielabel in de straat is A++++; het laagste is G. Het gemiddelde energielabel is er C. Het adres Kooiweg 40-d-186 heeft als status: 'verblijfsobject in gebruik'. Het pand waarin dit adres ligt heeft als status: 'pand in gebruik'.
Kooiweg 40-d-186 is een adres gelegen in de gemeente Woensdrecht, provincie Noord-Brabant. Dit adres is geregistreerd in de Basisregistratie Adressen en Gebouwen (BAG) met als unieke identificatie 0873010000447922.
Het pand op Kooiweg 40-d-186 is gebouwd in 1980, wat betekent dat het 46 jaar oud is. Dit is een pand van middelbare leeftijd. Het pand is van gemiddelde leeftijd en zal waarschijnlijk verouderde elementen bevatten.
De woning op Kooiweg 40-d-186 heeft een gebruiksoppervlakte van 15 m². Dit is relatief klein vergeleken met de gemiddelde Nederlandse woning, die een oppervlakte heeft van ongeveer 119 m². De gebruiksoppervlakte is de maat die wordt gebruikt in de BAG-registratie, de landelijke registratie van de Nederlandse overheid.
Kooiweg 40-d-186 heeft als functie: industrie. Deze gebruiksfunctie(s) zijn vastgelegd in de BAG-registratie en geven aan waarvoor het adres officieel mag worden gebruikt.
Kooiweg 40-d-186 is gelegen op kadastraal perceel WDT00C2523. Deze kadastrale aanduiding is uniek en wordt gebruikt door het Kadaster om eigendomsrechten en andere zakelijke rechten vast te leggen. Het perceel maakt onderdeel uit van de kadastrale gemeente Woensdrecht.
Het perceel waarop Kooiweg 40-d-186 staat heeft een oppervlakte van 1,79 km². Dit is een zeer groot perceel. De perceeloppervlakte wordt geregistreerd door het Kadaster. Gedetailleerde informatie over de maten van dit perceel kunt u vinden in het rapport Kadastrale kaart met maatvoering van Kooiweg 40-d-186.
De eigenaar van Kooiweg 40-d-186 is op te vragen op deze pagina.
De informatie over dit adres is afkomstig uit officiële overheidsregistraties, voornamelijk de Basisregistratie Adressen en Gebouwen (BAG) en de Basisregistratie Kadaster (BRK). Deze gegevens worden beheerd door respectievelijk gemeenten en het Kadaster, en worden regelmatig bijgewerkt. Energielabelgegevens komen uit de database van de Rijksdienst voor Ondernemend Nederland (RVO).
