
Vossenholstraat 22 is gelegen in de plaats Huijbergen, de gemeente Woensdrecht en de provincie Noord-Brabant. De oppervlakte bedraagt 265 m², waarmee het adres groter dan gemiddeld is. De grootte van het perceel waarop het adres ligt is 4635 m². In vergelijking met de andere adressen in de straat is de oppervlakte van dit object relatief groot. Het grootste verblijfsobject heeft een oppervlakte van 289 m², de oppervlakte van het kleinste object bedraagt 98 m². De gemiddelde bouwperiode van gebouwen in Nederland ligt tussen de jaren 1965-1984. Dat geldt ook voor het bouwjaar van Vossenholstraat 22: het is gebouwd in het jaar 1977. Veel andere gebouwen in de straat zijn ouder dan dit pand. Het oudste pand komt uit het jaar 1940 en het nieuwste uit 1996. Het verblijfsobject heeft de volgende gebruiksdoelen: 'woonfunctie'.
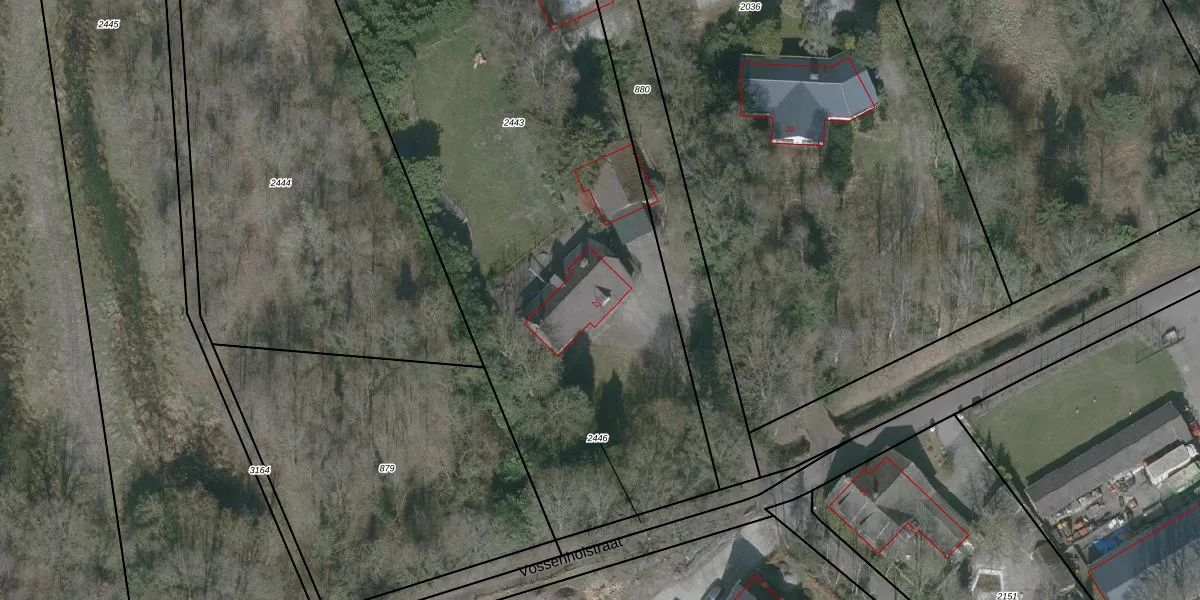
Het perceel waarop het adres ligt is HBG03-C-2443. De afkorting 'HBG03' staat voor kadastrale gemeente Huijbergen. Het perceel is kleiner dan gemiddeld in Huijbergen. Het perceel is 4635 m² groot, terwijl het gemiddelde ligt op 5081,6 m². Het kleinste perceel in de kadastrale gemeente is 1 m² groot. De grootste perceeloppervlakte is 50,9 ha. Er zijn geen andere adressen aanwezig op het perceel. De laatste wijziging in het de Basisregistratie Kadaster (BRK) was op 17-05-2005.
Er is geen energielabel geregistreerd voor het adres. Het hoogste energielabel in de straat is B; het laagste is G. Het gemiddelde energielabel is er C. Het adres Vossenholstraat 22 heeft als status: 'verblijfsobject in gebruik'. Het pand waarin dit adres ligt heeft als status: 'pand in gebruik'.
Vossenholstraat 22 is een adres gelegen in de gemeente Woensdrecht, provincie Noord-Brabant. Dit adres is geregistreerd in de Basisregistratie Adressen en Gebouwen (BAG) met als unieke identificatie 0873010000434682.
Het pand op Vossenholstraat 22 is gebouwd in 1977, wat betekent dat het 49 jaar oud is. Dit is een pand van middelbare leeftijd. Het pand is van gemiddelde leeftijd en zal waarschijnlijk verouderde elementen bevatten.
De woning op Vossenholstraat 22 heeft een gebruiksoppervlakte van 265 m². Dit is ruim vergeleken met de gemiddelde Nederlandse woning, die een oppervlakte heeft van ongeveer 119 m². De gebruiksoppervlakte is de maat die wordt gebruikt in de BAG-registratie, de landelijke registratie van de Nederlandse overheid.
Vossenholstraat 22 heeft als functie: wonen. Deze gebruiksfunctie(s) zijn vastgelegd in de BAG-registratie en geven aan waarvoor het adres officieel mag worden gebruikt.
Vossenholstraat 22 is gelegen op kadastraal perceel HBG03C2443. Deze kadastrale aanduiding is uniek en wordt gebruikt door het Kadaster om eigendomsrechten en andere zakelijke rechten vast te leggen. Het perceel maakt onderdeel uit van de kadastrale gemeente Huijbergen.
Het perceel waarop Vossenholstraat 22 staat heeft een oppervlakte van 4635 m². Dit is een zeer groot perceel. De perceeloppervlakte wordt geregistreerd door het Kadaster. Gedetailleerde informatie over de maten van dit perceel kunt u vinden in het rapport Kadastrale kaart met maatvoering van Vossenholstraat 22.
De eigenaar van Vossenholstraat 22 is op te vragen op deze pagina.
De informatie over dit adres is afkomstig uit officiële overheidsregistraties, voornamelijk de Basisregistratie Adressen en Gebouwen (BAG) en de Basisregistratie Kadaster (BRK). Deze gegevens worden beheerd door respectievelijk gemeenten en het Kadaster, en worden regelmatig bijgewerkt. Energielabelgegevens komen uit de database van de Rijksdienst voor Ondernemend Nederland (RVO).
