
Het adres Dr. A. Plesmanlaan 8 bevindt zich in de plaats Huizen, in de gemeente Huizen en de provincie Noord-Holland. De oppervlakte bedraagt 319 m², waarmee het adres groter dan gemiddeld is. De grootte van het perceel waarop het adres ligt is 2819 m². Het object is klein ten opzichte van de andere adressen in de straat. Het grootste verblijfsobject is 1024 m² groot en het kleinste is 235 m². De gemiddelde bouwperiode van gebouwen in Nederland ligt tussen de jaren 1965-1984. Dat geldt ook voor het bouwjaar van Dr. A. Plesmanlaan 8: het is gebouwd in het jaar 1978. In de straat komt het nieuwste gebouw uit het jaar 2023 en het oudste uit 1957. Het bouwjaar van dit object is relatief oud. Het verblijfsobject heeft de volgende gebruiksdoelen: 'woonfunctie'.
Deze woning is voor het laatst verkocht op 1 juli 2010. Meer informatie over deze transactie? Bestel het Woningtransactierapport om de verkoopprijs en andere informatie te zien.
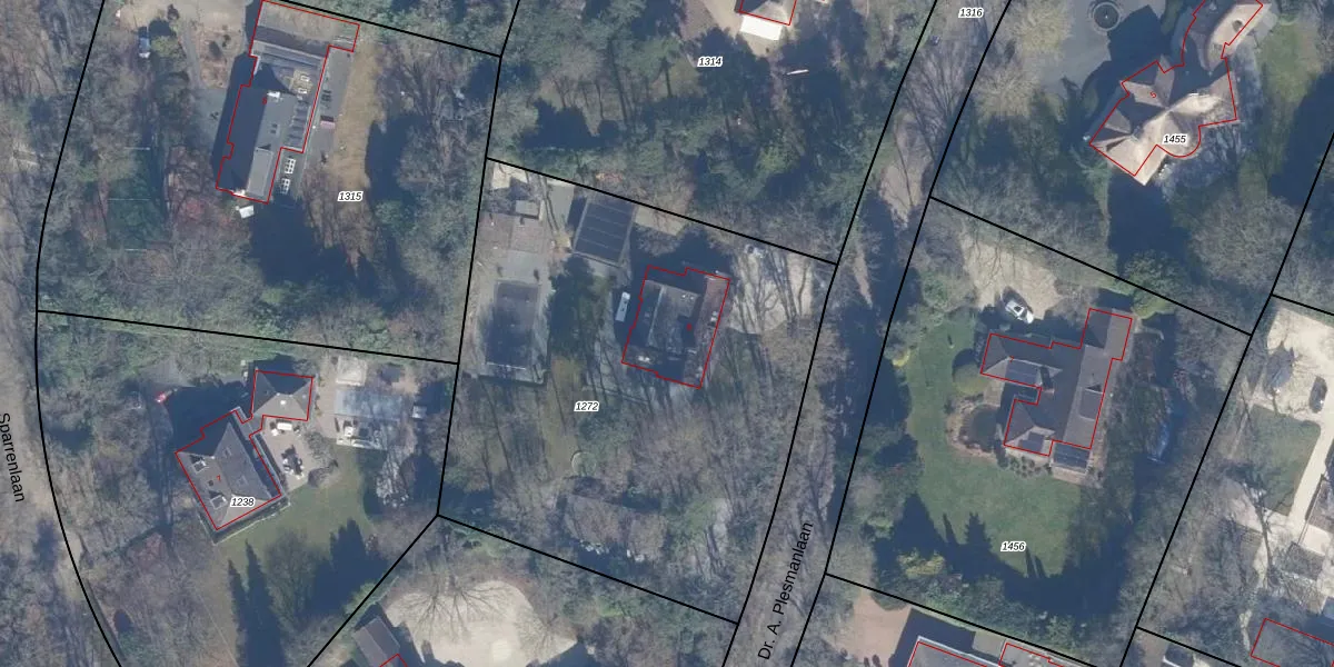
Het perceel waarop het adres ligt is HZN00-A-1272. De afkorting 'HZN00' staat voor kadastrale gemeente Huizen. De gemiddelde perceeloppervlakte in de kadastrale gemeente Huizen is 1437,02 m². Dit perceel is met zijn 2819 m² dus groter dan gemiddeld. Het kleinste perceel in de kadastrale gemeente is 0 m² groot. De grootste perceeloppervlakte is 4,26 km². Er zijn geen andere adressen aanwezig op het perceel. In de Basisregistratie Kadaster (BRK) werden de grenzen van het perceel geregistreerd op 24-05-2000.
Er is geen energielabel geregistreerd voor het adres. Het hoogste energielabel in de straat is A; het laagste is G. Het gemiddelde energielabel is er E. Het adres Dr. A. Plesmanlaan 8 heeft als status: 'verblijfsobject in gebruik'. Het pand waarin dit adres ligt heeft als status: 'pand in gebruik'.
Dr. A. Plesmanlaan 8 is een adres gelegen in de gemeente Huizen, provincie Noord-Holland. Dit adres is geregistreerd in de Basisregistratie Adressen en Gebouwen (BAG) met als unieke identificatie 0406010000001718.
Het pand op Dr. A. Plesmanlaan 8 is gebouwd in 1978, wat betekent dat het 48 jaar oud is. Dit is een pand van middelbare leeftijd. Het pand is van gemiddelde leeftijd en zal waarschijnlijk verouderde elementen bevatten.
De woning op Dr. A. Plesmanlaan 8 heeft een gebruiksoppervlakte van 319 m². Dit is ruim vergeleken met de gemiddelde Nederlandse woning, die een oppervlakte heeft van ongeveer 119 m². De gebruiksoppervlakte is de maat die wordt gebruikt in de BAG-registratie, de landelijke registratie van de Nederlandse overheid.
Dr. A. Plesmanlaan 8 heeft als functie: wonen. Deze gebruiksfunctie(s) zijn vastgelegd in de BAG-registratie en geven aan waarvoor het adres officieel mag worden gebruikt.
Dr. A. Plesmanlaan 8 is gelegen op kadastraal perceel HZN00A1272. Deze kadastrale aanduiding is uniek en wordt gebruikt door het Kadaster om eigendomsrechten en andere zakelijke rechten vast te leggen. Het perceel maakt onderdeel uit van de kadastrale gemeente Huizen.
Het perceel waarop Dr. A. Plesmanlaan 8 staat heeft een oppervlakte van 2819 m². Dit is een zeer groot perceel. De perceeloppervlakte wordt geregistreerd door het Kadaster. Gedetailleerde informatie over de maten van dit perceel kunt u vinden in het rapport Kadastrale kaart met maatvoering van Dr. A. Plesmanlaan 8.
De eigenaar van Dr. A. Plesmanlaan 8 is op te vragen op deze pagina.
De informatie over dit adres is afkomstig uit officiële overheidsregistraties, voornamelijk de Basisregistratie Adressen en Gebouwen (BAG) en de Basisregistratie Kadaster (BRK). Deze gegevens worden beheerd door respectievelijk gemeenten en het Kadaster, en worden regelmatig bijgewerkt. Energielabelgegevens komen uit de database van de Rijksdienst voor Ondernemend Nederland (RVO).
