
Het adres Flevolaan 2-a bevindt zich in de plaats Huizen, in de gemeente Huizen en de provincie Noord-Holland. Het perceel waarop het adres gelegen is heeft een oppervlakte van 46 m². Het verblijfsobject is met 8 m² relatief klein. In de straat is dit het kleinste object. Het grootste verblijfsobject heeft een oppervlakte van 4155 m². De gemiddelde grootte is er 454 m². Flevolaan 2-a bevindt zich in een pand uit het jaar 1950. Daarmee behoort het tot de groep relatief oude panden in Nederland die gebouwd zijn vóór 1965. Vergeleken met de andere panden in de straat is dit gebouw nieuw. Het vroegste bouwjaar is er 1700 en het laatste is 1997. Voor het verblijfsobject gelden deze gebruiksdoelen: 'overige gebruiksfunctie'.
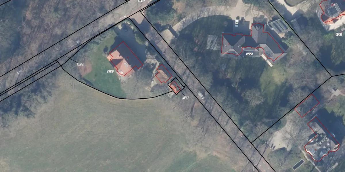
Het perceel waarop het adres ligt is HZN00-B-4600. De afkorting 'HZN00' staat voor kadastrale gemeente Huizen. De gemiddelde perceelgrootte in Huizen is 1437,02 m². Dit perceel is kleiner: de perceeloppervlakte bedraagt 46 m². Het grootste perceel in de kadastrale gemeente is 4,26 km². Het kleinste perceel heeft een oppervlakte van 0 m². Dit is het enige adres dat aanwezig is op het perceel. In de Basisregistratie Kadaster (BRK) werden de grenzen van het perceel geregistreerd op 20-06-2000.
Er is geen energielabel geregistreerd voor het adres. Het hoogste energielabel in de straat is A; het laagste is G. Het gemiddelde energielabel is er C. Het adres Flevolaan 2-a heeft als status: 'verblijfsobject in gebruik'. Het pand waarin dit adres ligt heeft als status: 'pand in gebruik'.
Flevolaan 2-a is een adres gelegen in de gemeente Huizen, provincie Noord-Holland. Dit adres is geregistreerd in de Basisregistratie Adressen en Gebouwen (BAG) met als unieke identificatie 0406010000042063.
Het pand op Flevolaan 2-a is gebouwd in 1950, wat betekent dat het 76 jaar oud is. Dit is een ouder pand. Het pand heeft mogelijk aanzienlijke renovaties nodig om aan de huidige standaarden te voldoen.
De woning op Flevolaan 2-a heeft een gebruiksoppervlakte van 8 m². Dit is relatief klein vergeleken met de gemiddelde Nederlandse woning, die een oppervlakte heeft van ongeveer 119 m². De gebruiksoppervlakte is de maat die wordt gebruikt in de BAG-registratie, de landelijke registratie van de Nederlandse overheid.
Flevolaan 2-a heeft als functie: overige doeleinden. Deze gebruiksfunctie(s) zijn vastgelegd in de BAG-registratie en geven aan waarvoor het adres officieel mag worden gebruikt.
Flevolaan 2-a is gelegen op kadastraal perceel HZN00B4600. Deze kadastrale aanduiding is uniek en wordt gebruikt door het Kadaster om eigendomsrechten en andere zakelijke rechten vast te leggen. Het perceel maakt onderdeel uit van de kadastrale gemeente Huizen.
Het perceel waarop Flevolaan 2-a staat heeft een oppervlakte van 46 m². Dit is een klein perceel. De perceeloppervlakte wordt geregistreerd door het Kadaster. Gedetailleerde informatie over de maten van dit perceel kunt u vinden in het rapport Kadastrale kaart met maatvoering van Flevolaan 2-a.
De eigenaar van Flevolaan 2-a is op te vragen op deze pagina.
De informatie over dit adres is afkomstig uit officiële overheidsregistraties, voornamelijk de Basisregistratie Adressen en Gebouwen (BAG) en de Basisregistratie Kadaster (BRK). Deze gegevens worden beheerd door respectievelijk gemeenten en het Kadaster, en worden regelmatig bijgewerkt. Energielabelgegevens komen uit de database van de Rijksdienst voor Ondernemend Nederland (RVO).
