
Nieuwe Bussummerweg 171 is een adres in Huizen, dat zich bevindt binnen de gemeentegrenzen van Huizen en de grenzen van de provincie Noord-Holland. De oppervlakte van het verblijfsobject is met 376 m² aan de grote kant. Het perceel heeft een oppervlakte van 3270 m². De oppervlakte van dit adres is groot vergeleken met de oppervlaktes van andere adressen in de straat. De kleinste oppervlakte bedraagt er 16 m², de grootste 540 m². In het jaar 2023 is het pand waarin Nieuwe Bussummerweg 171 ligt gebouwd. Dat is relatief recent: de meeste gebouwen in Nederland zijn gebouwd in de periode 1965-1984. Dit object is relatief nieuw in de straat. Het nieuwste gebouw komt er uit het jaar 2024 en het oudste uit het jaar 1906. De volgende gebruiksdoelen zijn geregistreerd voor dit adres: 'woonfunctie'.
Deze woning is voor het laatst verkocht op 1 juli 2020. Meer informatie over deze transactie? Bestel het Woningtransactierapport om de verkoopprijs en andere informatie te zien.
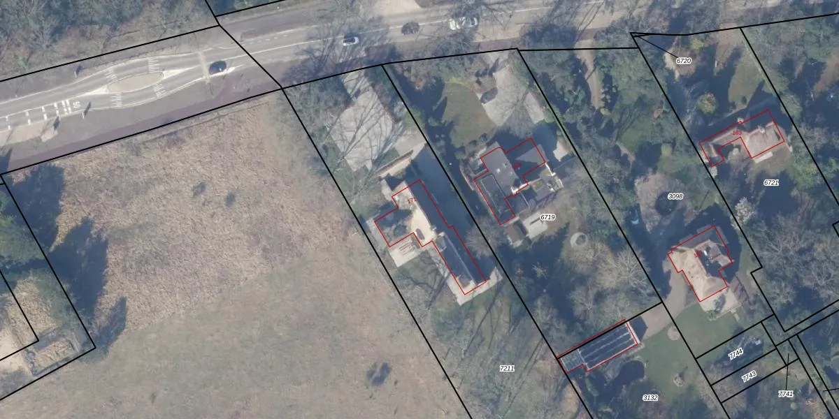
Het adres ligt op het perceel HZN00-B-7211, dat zich in de kadastrale gemeente Huizen bevindt. De oppervlakte van het perceel is 3270 m². Dat is groter dan gemiddeld in Huizen, waar de gemiddelde perceeloppervlakte op 1437,02 m² ligt. De grootste perceeloppervlakte in de kadastrale gemeente is 4,26 km². De kleinste oppervlakte bedraagt 0 m². Op het perceel bevinden zich geen andere adressen. De huidige grenzen van het perceel zijn digitaal in de Basisregistratie Kadaster (BRK) geregistreerd op 04-12-2018.
Er is geen energielabel geregistreerd voor het adres. Het hoogste energielabel in de straat is A+++; het laagste is G. Het gemiddelde energielabel is er D. Het adres Nieuwe Bussummerweg 171 heeft als status: 'verblijfsobject in gebruik'. Het pand waarin dit adres ligt heeft als status: 'pand in gebruik'.
Nieuwe Bussummerweg 171 is een adres gelegen in de gemeente Huizen, provincie Noord-Holland. Dit adres is geregistreerd in de Basisregistratie Adressen en Gebouwen (BAG) met als unieke identificatie 0406010000054654.
Het pand op Nieuwe Bussummerweg 171 is gebouwd in 2023, wat betekent dat het 3 jaar oud is. Dit is een vrij nieuw pand. Het pand is dus waarschijnlijk goed geïsoleerd, geluidsdicht en voldoet aan de huidige bouwstandaarden. Op korte termijn zijn er waarschijnlijk weinig onderhoudskosten.
De woning op Nieuwe Bussummerweg 171 heeft een gebruiksoppervlakte van 376 m². Dit is ruim vergeleken met de gemiddelde Nederlandse woning, die een oppervlakte heeft van ongeveer 119 m². De gebruiksoppervlakte is de maat die wordt gebruikt in de BAG-registratie, de landelijke registratie van de Nederlandse overheid.
Nieuwe Bussummerweg 171 heeft als functie: wonen. Deze gebruiksfunctie(s) zijn vastgelegd in de BAG-registratie en geven aan waarvoor het adres officieel mag worden gebruikt.
Nieuwe Bussummerweg 171 is gelegen op kadastraal perceel HZN00B7211. Deze kadastrale aanduiding is uniek en wordt gebruikt door het Kadaster om eigendomsrechten en andere zakelijke rechten vast te leggen. Het perceel maakt onderdeel uit van de kadastrale gemeente Huizen.
Het perceel waarop Nieuwe Bussummerweg 171 staat heeft een oppervlakte van 3270 m². Dit is een zeer groot perceel. De perceeloppervlakte wordt geregistreerd door het Kadaster. Gedetailleerde informatie over de maten van dit perceel kunt u vinden in het rapport Kadastrale kaart met maatvoering van Nieuwe Bussummerweg 171.
De eigenaar van Nieuwe Bussummerweg 171 is op te vragen op deze pagina.
De informatie over dit adres is afkomstig uit officiële overheidsregistraties, voornamelijk de Basisregistratie Adressen en Gebouwen (BAG) en de Basisregistratie Kadaster (BRK). Deze gegevens worden beheerd door respectievelijk gemeenten en het Kadaster, en worden regelmatig bijgewerkt. Energielabelgegevens komen uit de database van de Rijksdienst voor Ondernemend Nederland (RVO).
